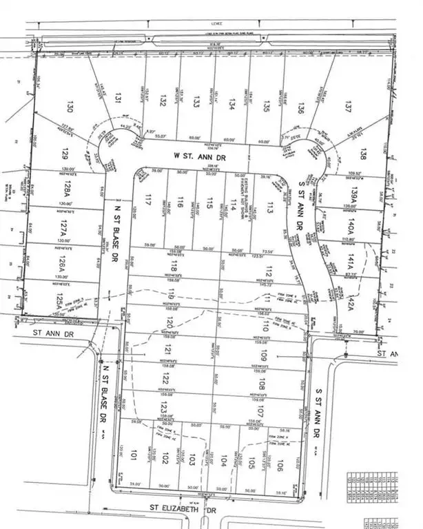
W St. Ann Drive, Kenner, LA 70065
Local realty services provided by:Better Homes and Gardens Real Estate Lindsey Realty
W St. Ann Drive,Kenner, LA 70065
$205,000
- 0 Acres
- Lots / Land
- Active
Listed by: katheryn best
Office: tag realty llc.
MLS#:2519940
Source:LA_GSREIN
Price summary
- Price:$205,000
About this home
Discover this exceptional 9327 sq ft levee lot located in the quiet, tucked-away neighborhood of Seton Parc. This ready-to-build parcel offers a fantastic opportunity for new construction. With new development in the area, access to parks, the lake and local amenities- come see what Seton Parc has to offer.
Contact an agent
Home facts
- Listing ID #:2519940
- Added:116 day(s) ago
- Updated:December 29, 2025 at 05:00 PM
Utilities
- Water:Public
- Sewer:Public Sewer
Finances and disclosures
- Price:$205,000
New listings near W St. Ann Drive
- New
$419,000Active5 beds 4 baths2,483 sq. ft.67 Coronado Street, Kenner, LA 70065
MLS# NO2535675Listed by: NOLA LIVING REALTY - New
$619,000Active-- beds -- baths4,992 sq. ft.1609 42nd Street, Kenner, LA 70065
MLS# NO2535528Listed by: NOLA LIVING REALTY - New
$148,000Active2 beds 2 baths1,150 sq. ft.36 Avant Garde Circle #36, Kenner, LA 70065
MLS# 2535580Listed by: PINTAT REALTY LLC - New
$258,000Active3 beds 2 baths1,355 sq. ft.467 Furman Drive, Kenner, LA 70062
MLS# NO2535498Listed by: COMPASS KENNER (LATT30) - New
$295,000Active3 beds 2 baths1,750 sq. ft.3213 Maryland Avenue, Kenner, LA 70065
MLS# NO2535520Listed by: HOSPITALITY REALTY - New
$349,000Active3 beds 2 baths1,774 sq. ft.1005 Minnesota Avenue, Kenner, LA 70062
MLS# NO2535319Listed by: RE/MAX LIVING - New
$159,000Active3 beds 2 baths1,725 sq. ft.1500 W Esplanade Avenue #20G, Kenner, LA 70065
MLS# 2535139Listed by: REDFIN CORPORATION - New
$140,000Active2 beds 2 baths1,432 sq. ft.1500 W Esplanade Avenue #32C, Kenner, LA 70065
MLS# 2533394Listed by: REALTY EXECUTIVES SELA - New
$109,000Active3 beds 2 baths1,180 sq. ft.636 Vouray Drive #D, Kenner, LA 70065
MLS# 2528021Listed by: FRERET REALTY - New
$109,000Active3 beds 2 baths1,144 sq. ft.828 Vouray Drive #A, Kenner, LA 70065
MLS# 2535138Listed by: FRERET REALTY