N St. Blase Drive, Kenner, LA 70065
Local realty services provided by:Better Homes and Gardens Real Estate Rhodes Realty
N St. Blase Drive,Kenner, LA 70065
$183,000
- 0 Acres
- Lots / Land
- Active
Listed by: katheryn best
Office: tag realty llc.
MLS#:NO2519923
Source:LA_RAAMLS
Price summary
- Price:$183,000
About this home
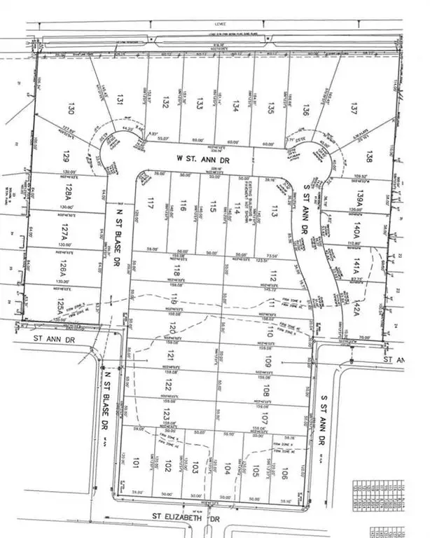
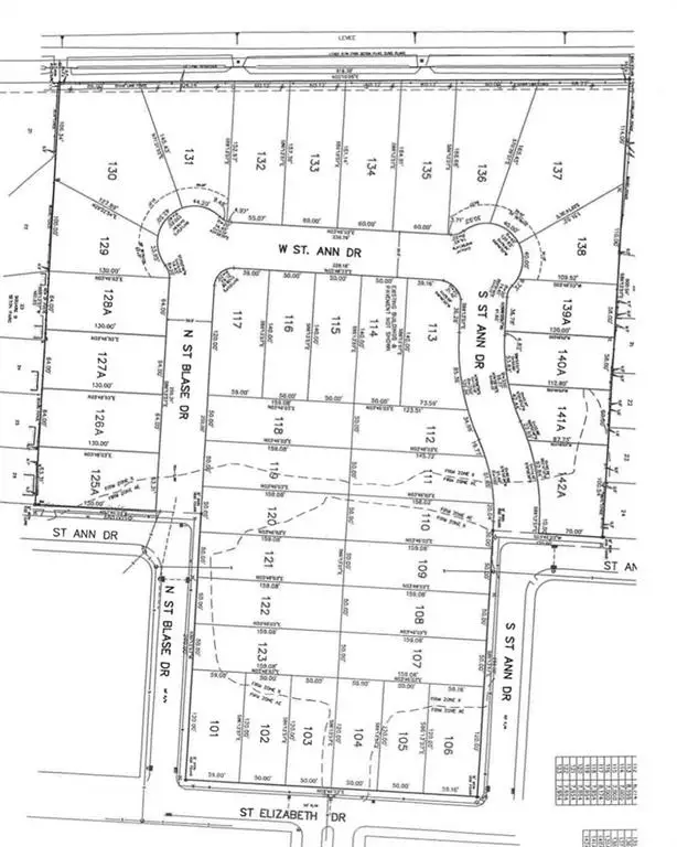
Discover this exceptional 8320 sq ft lot (64' x 130') located in the quiet, tucked-away neighborhood of Seton Parc. This ready-to-build parcel offers a fantastic opportunity for new construction. With new development in the area, access to parks, the lake and local amenities- come see what Seton Parc has to offer.
Contact an agent
Home facts
- Listing ID #:NO2519923
- Added:41 day(s) ago
- Updated:November 13, 2025 at 04:49 PM
Finances and disclosures
- Price:$183,000
New listings near N St. Blase Drive
- Open Sun, 11am to 1pmNew
$364,000Active3 beds 3 baths2,400 sq. ft.9508 Alhambra Court, River Ridge, LA 70123
MLS# 2530329Listed by: WURTH REAL ESTATE SERVICES - New
$239,900Active4 beds 2 baths1,448 sq. ft.3933 Delaware Avenue, Kenner, LA 70065
MLS# 2530559Listed by: NOLA LIVING REALTY - New
$155,000Active2 beds 2 baths1,050 sq. ft.245 Avant Garde Circle #245, Kenner, LA 70065
MLS# 2530532Listed by: RE/MAX SYNERGY - New
$325,900Active0 AcresLot 114 Louisiana Trace Boulevard, Kenner, LA 70065
MLS# 2530560Listed by: IRON HORSE LAND COMPANY - New
$319,900Active0 AcresLot 113 Louisiana Trace Boulevard, Kenner, LA 70065
MLS# 2530563Listed by: IRON HORSE LAND COMPANY - New
$65,000Active0.11 Acres3122 Albany Street, Kenner, LA 70065
MLS# 2530309Listed by: KELLER WILLIAMS REALTY 455-0100 - New
$55,000Active0.11 Acres3133 Dawson Street, Kenner, LA 70065
MLS# 2530311Listed by: KELLER WILLIAMS REALTY 455-0100 - New
$150,000Active0.34 Acres3148 Virginia Street, Kenner, LA 70065
MLS# 2530318Listed by: KELLER WILLIAMS REALTY 455-0100 - Open Sat, 1am to 3pmNew
$425,000Active4 beds 2 baths2,099 sq. ft.4461 David Drive, Kenner, LA 70065
MLS# 2530200Listed by: COMPASS UPTOWN-MAPLE ST (LATT28) - New
$525,000Active8 beds 8 baths3,896 sq. ft.4136 Georgia Avenue, Kenner, LA 70065
MLS# 2530161Listed by: UNITED REAL ESTATE PARTNERS LLC