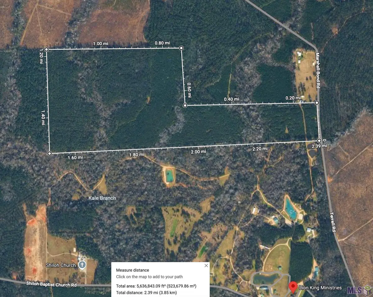
TBD Terrell Rd, Montpelier, LA 70441
Local realty services provided by:Better Homes and Gardens Real Estate Rhodes Realty
TBD Terrell Rd,Montpelier, LA 70441
$610,000
- 125 Acres
- Lots / Land
- Active
Listed by: melissa c lovett
Office: pivot realty
MLS#:BR2026003182
Source:LA_RAAMLS
Price summary
- Price:$610,000
About this home
Discover the BEAUTY and potential of this exceptional 125-acre tract located in the desirable Greensburg Land District of Montpelier, within St. Helena Parish, Louisiana. This property offers a rare opportunity to own a VERSATILE and INCOME-PRODUCING timber investment combined with OUTSTANDING recreational value. Approximately 48.7 acres of mature timber are ready to be clear cut, providing immediate income potential, while an additional 76.3 acres of timber suitable for thinning offer ongoing revenue opportunities and long-term management benefits. Whether you're an investor seeking return, a conservation-minded owner, or someone looking for a private getaway, this property delivers flexibility and value. Surrounded by the natural beauty and abundant wildlife of St. Helena Parish, this tract is perfectly suited for a HUNTING CAMP, private retreat, recreational haven, or future legacy property. Enjoy the PEACE and PRIVACY of rural Louisiana while still maintaining convenient access to nearby communities. With its blend of income potential, recreational use, and natural beauty, this property presents ENDLESS POSSIBILITES for investors, outdoorsmen, or those seeking a private escape....
Contact an agent
Home facts
- Listing ID #:BR2026003182
- Added:95 day(s) ago
- Updated:May 28, 2026 at 03:10 PM
Structure and exterior
- Lot area:125 Acres
- Lot Features:Rural, Wooded
Finances and disclosures
- Price:$610,000
Features and amenities
- Amenities:Electricity Available
Parking
- Parking description:Driveway

