0 Highway 22 & 445 Highway, Ponchatoula, LA 70454
Local realty services provided by:Better Homes and Gardens Real Estate Rhodes Realty
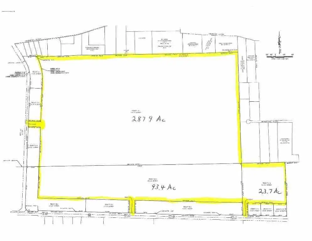
0 Highway 22 & 445 Highway,Ponchatoula, LA 70454
$3,361,500
- 405 Acres
- Lots / Land
- Active
Listed by: skip scoggin
Office: scoggin properties, inc.
MLS#:NO2425570
Source:LA_RAAMLS
Price summary
- Price:$3,361,500
About this home
Unlimited potential for this 405- Acre, tract. Residential or Mixed Use. Pricing reflects a significant portion of site includes both greenspace and wetlands. Excellent access points from Hwy 22 and Hwy 445. Open canvass for your project. Rapidly growing area with great location and easy access to Interstate Hwy l-12, Ponchatoula and Madisonville. Located in Tangipahoa Parish and strategically situated offering numerous long term development options.
Contact an agent
Home facts
- Listing ID #:NO2425570
- Added:62 day(s) ago
- Updated:December 01, 2025 at 04:23 PM
Structure and exterior
- Lot area:405 Acres
Finances and disclosures
- Price:$3,361,500
New listings near 0 Highway 22 & 445 Highway
- New
$265,000Active3 beds 2 baths1,887 sq. ft.20151 Carolina Court, Ponchatoula, LA 70454
MLS# NO2531931Listed by: UNITED REAL ESTATE PARTNERS - New
$240,000Active3 beds 2 baths1,560 sq. ft.27366 Deborah Drive, Ponchatoula, LA 70454
MLS# NO2532570Listed by: KELLER WILLIAMS REALTY SERVICES - New
$379,900Active3 beds 3 baths2,206 sq. ft.26105 Dove Street, Ponchatoula, LA 70454
MLS# NO2532655Listed by: GEAUX SOUTH REALTY LLC - New
$225,000Active3 beds 2 baths1,478 sq. ft.41949 Snowball Cir, Ponchatoula, LA 70454
MLS# BR2025020865Listed by: CLIENTS FIRST REALTY, LLC - New
$265,000Active3 beds 2 baths1,503 sq. ft.18526 S Brookfield Dr, Ponchatoula, LA 70454
MLS# BR2025021610Listed by: MAGNOLIA ROOTS REALTY LLC - New
$269,000Active3 beds 2 baths1,887 sq. ft.42321 Cy Circle, Ponchatoula, LA 70454
MLS# NO2529566Listed by: BERKSHIRE HATHAWAY HOMESERVICES PREFERRED, REALTOR - New
$224,900Active3 beds 2 baths1,276 sq. ft.40106 Cordgrass Lane, Ponchatoula, LA 70454
MLS# NO2529954Listed by: D.R.HORTON REALTY OF LOUISIANA - New
$334,900Active4 beds 3 baths2,443 sq. ft.24431 Arrowhead Road, Ponchatoula, LA 70454
MLS# NO2529956Listed by: D.R.HORTON REALTY OF LOUISIANA - New
$280,900Active4 beds 2 baths2,400 sq. ft.24452 Arrowhead Road, Ponchatoula, LA 70454
MLS# NO2529957Listed by: D.R.HORTON REALTY OF LOUISIANA - New
$225,000Active3 beds 2 baths1,394 sq. ft.42125 Dothan Place, Ponchatoula, LA 70454
MLS# NO2530007Listed by: COMPASS MANDEVILLE (LATT15)