00 Fletcher Road, Ponchatoula, LA 70454
Local realty services provided by:Better Homes and Gardens Real Estate Rhodes Realty
00 Fletcher Road,Ponchatoula, LA 70454
$49,500
- 0 Acres
- Lots / Land
- Active
Listed by: christine curtis
Office: nola living realty
MLS#:2506975
Source:LA_GSREIN
Price summary
- Price:$49,500
About this home
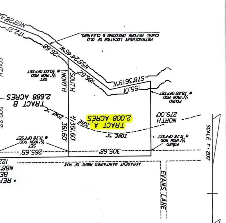
Welcome to a remarkable opportunity to own a beautiful vacant piece of property, just over 2 acres of pristine land! This unrestricted 2.008-acre tract is ideal for those looking to build their dream compound or an investment property. Manufactured and modular homes are welcome, making this a versatile option for both investors and home seekers.
Key Features:
Ideal for Multifamily Development - Perfect for creating a community or rental investment
Natural Serenity- Enjoy the peaceful surroundings filled with birds and trees
Relaxing Atmosphere- A perfect retreat to hang your hammock and unwind!!! ;0)
This gorgeous track of land is an inviting canvas for your vision. Don’t miss out on the chance to view this stunning property
Contact an agent
Home facts
- Listing ID #:2506975
- Added:269 day(s) ago
- Updated:March 10, 2026 at 04:49 AM
Structure and exterior
- Lot Features:Outside City Limits
Finances and disclosures
- Price:$49,500
New listings near 00 Fletcher Road
- New
$253,505Active3 beds 2 baths1,649 sq. ft.39859 Axis Avenue, Ponchatoula, LA 70454
MLS# NO2026004171Listed by: CICERO REALTY, LLC - New
$679,000Active3 beds 3 baths2,686 sq. ft.42587 Pleasant Ridge Ext Road, Ponchatoula, LA 70454
MLS# 2546193Listed by: BERKSHIRE HATHAWAY HOMESERVICES PREFERRED, REALTOR - New
$460,000Active3 beds 2 baths2,550 sq. ft.39797 River Oaks Dr, Ponchatoula, LA 70454
MLS# 2026003293Listed by: CENTURY 21 BESSETTE FLAVIN - New
$99,999Active3 beds 2 baths1,845 sq. ft.42246 Sweeney Lane, Ponchatoula, LA 70454
MLS# 2546418Listed by: CLEAR TO CLOSE REALTY - New
$265,000Active3 beds 2 baths1,685 sq. ft.42209 Atmore Place, Ponchatoula, LA 70454
MLS# 2546311Listed by: 1 PERCENT LISTS - New
$245,000Active3 beds 2 baths1,683 sq. ft.28507 Rosedust Lane, Ponchatoula, LA 70454
MLS# 2545486Listed by: COMPASS MANDEVILLE (LATT15) - New
$245,000Active3 beds 2 baths1,683 sq. ft.28507 Rosedust Lane, Ponchatoula, LA 70454
MLS# NO2545486Listed by: COMPASS MANDEVILLE (LATT15) - New
$329,000Active3 beds 3 baths2,785 sq. ft.11114 22 Highway, Ponchatoula, LA 70454
MLS# 2545931Listed by: NEXTHOME REAL ESTATE PROFESSIONALS
$357,536Pending5 beds 3 baths2,690 sq. ft.25305 Kingfisher Drive, Ponchatoula, LA 70454
MLS# NO2026003968Listed by: CICERO REALTY, LLC- New
$695,000Active3 beds 4 baths3,336 sq. ft.39331 Magnolia Trace, Ponchatoula, LA 70454
MLS# 2545700Listed by: 1 PERCENT LISTS PREMIER