Hardin Road, Slidell, LA 70461
Local realty services provided by:Better Homes and Gardens Real Estate Lindsey Realty
Hardin Road,Slidell, LA 70461
$60,000
- 3.98 Acres
- Lots / Land
- Active
Listed by: deana bradley
Office: atlas real estate company, llc.
MLS#:2551252
Source:LA_GSREIN
Price summary
- Price:$60,000
About this home
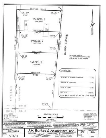
Located off Fremaux Avenue, this remarkable 3.985-acre homesite offers the perfect blend of privacy and convenience. Situated on a quiet dead-end street, the property provides a peaceful, country-like setting while remaining just minutes from shopping, dining, and everyday essentials at Fremaux Center, with easy access to I-10. Located in a highly desirable school district, this expansive tract is ideal for building your custom dream home. Property is being sold as one contiguous 3.985-acre parcel. The survey available is illustrating three (3) potential lots for future subdivision; however, subdivision is not currently in place and would be subject to parish approval after closing. A Bond for Deed option will be considered.
Contact an agent
Home facts
- Listing ID #:2551252
- Added:20 day(s) ago
- Updated:April 24, 2026 at 03:13 PM
Structure and exterior
- Lot area:3.98 Acres
- Lot Features:Outside City Limits
Finances and disclosures
- Price:$60,000
New listings near Hardin Road
- New
$341,500Active4 beds 3 baths3,006 sq. ft.425 Moonraker Drive, Slidell, LA 70458
MLS# 2552813Listed by: COMPASS SLIDELL (LATT14) - New
$529,999Active4 beds 3 baths2,418 sq. ft.512 Dockside Drive, Slidell, LA 70461
MLS# 2554589Listed by: ENGEL & VOLKERS SLIDELL - MANDEVILLE - New
$280,000Active3 beds 2 baths1,350 sq. ft.1534 Alice Avenue, Slidell, LA 70458
MLS# 2550456Listed by: EPIQUE REALTY - New
$299,000Active3 beds 2 baths2,169 sq. ft.311 Margon Court, Slidell, LA 70458
MLS# NO2554709Listed by: REMAX ALLIANCE - New
$179,900Active3 beds 2 baths1,215 sq. ft.156 South Street, Slidell, LA 70458
MLS# NO2554720Listed by: REMAX ALLIANCE
$215,000Active3 beds 2 baths1,755 sq. ft.34084 Reilly Road, Slidell, LA 70460
MLS# 2498038Listed by: COMMUNITY REALESTATE LLC- New
$315,000Active3 beds 2 baths1,835 sq. ft.204 Charles Court, Slidell, LA 70458
MLS# NO2553245Listed by: ATLAS REAL ESTATE COMPANY, LLC - New
$51,500Active0.36 Acres40017 Highway 190 E Other, Slidell, LA 70461
MLS# NO2554009Listed by: ENGEL & VOLKERS SLIDELL - MANDEVILLE - New
$39,000Active0.49 Acres58074 Carroll Road, Slidell, LA 70460
MLS# 2554160Listed by: CENTURY 21 INVESTMENT REALTY - New
$185,000Active4 beds 3 baths1,898 sq. ft.110 Fountain Drive, Slidell, LA 70458
MLS# 2554596Listed by: KPG REALTY, LLC