Lots 1-34 East Street, Slidell, LA 70461
Local realty services provided by:Better Homes and Gardens Real Estate Rhodes Realty
Lots 1-34 East Street,Slidell, LA 70461
$400,000
- 0 Acres
- Lots / Land
- Active
Listed by: monica davis
Office: all phase real estate
MLS#:NO2499935
Source:LA_RAAMLS
Price summary
- Price:$400,000
About this home
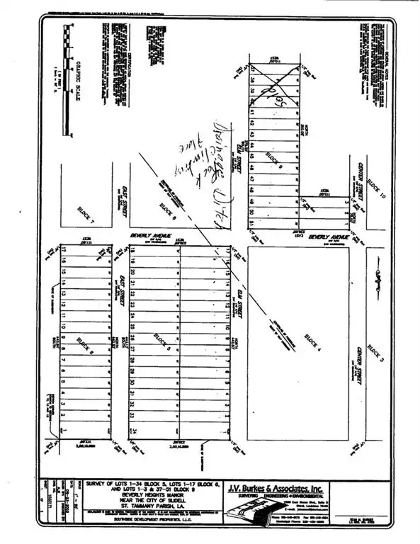
This listing offers a rare opportunity to acquire a package of 83 lots in the highly sought-after Beverly Heights Manor and Beverly Heights Subdivision, making it a exceptional investment for builders, developers and investors. The lots are strategically located across multiple streets in a prime area with excellent proximity to Hwy 190, I-12, and the rapidly expanding Fremeaux Town Center. The package includes: Lots 1-17, Block 6 on East Street, Lots 18-34, Block 5 on East Street, Lots 1-17, Block 5 on Elm Street, Lots 41-51 Block 9 on Elm Street, Lots 25-28, Square 2 on Beverly Avenue, Lots 43-59, Square 6 on Beverly Avenue. Surrounded by newer developments, this land offers immense potential for future growth and construction. With new lots size requirements for building, this package offers the ability to develop approximately 41 new homesites at 50' lot widths or 27 if 75' lot widths. Please refer to plats and surveys for detailed information.
Contact an agent
Home facts
- Listing ID #:NO2499935
- Added:45 day(s) ago
- Updated:November 17, 2025 at 04:30 PM
Finances and disclosures
- Price:$400,000
New listings near Lots 1-34 East Street
- Open Wed, 11am to 1pmNew
$1,450,000Active4 beds 5 baths4,588 sq. ft.1113 Lakeshore Boulevard, Slidell, LA 70461
MLS# 2530700Listed by: COMPASS MANDEVILLE (LATT15) - New
$199,000Active3 beds 2 baths1,218 sq. ft.2966 William Tell Street, Slidell, LA 70458
MLS# 2531096Listed by: 1% LISTS REALTY PROFESSIONALS - New
$219,000Active3 beds 2 baths1,725 sq. ft.1587 Ridgecrest Drive, Slidell, LA 70458
MLS# 2530945Listed by: DISTINCTIVE REAL ESTATE - New
$35,500Active0.91 Acres101 Troy Drive, Slidell, LA 70461
MLS# NO2530523Listed by: WEICHERT REALTORS, LOESCHER PR - New
$319,995Active3 beds 2 baths2,120 sq. ft.427 Moonraker Drive, Slidell, LA 70458
MLS# 2025021012Listed by: KELLER WILLIAMS REALTY RED STICK PARTNERS - New
$209,900Active3 beds 2 baths1,363 sq. ft.173 Lark Street, Slidell, LA 70460
MLS# 2530997Listed by: FIORELLA AVENUE REALTY - New
$290,000Active4 beds 2 baths2,079 sq. ft.1805 E Lakeshore Landing Drive, Slidell, LA 70461
MLS# 2530954Listed by: KEY TURNER REALTY LLC - New
$214,900Active3 beds 2 baths1,674 sq. ft.49 Cypress Meadow Loop, Slidell, LA 70460
MLS# 2530944Listed by: C L CRANE REAL ESTATE OF LOUISIANA LLC - New
$215,000Active3 beds 2 baths1,346 sq. ft.31 Cypress Meadow Loop, Slidell, LA 70460
MLS# 2530790Listed by: COMPASS SLIDELL (LATT14) - New
$169,000Active3 beds 2 baths1,258 sq. ft.1551 Beech Street, Slidell, LA 70460
MLS# 2530852Listed by: CONGRESS REALTY, INC.