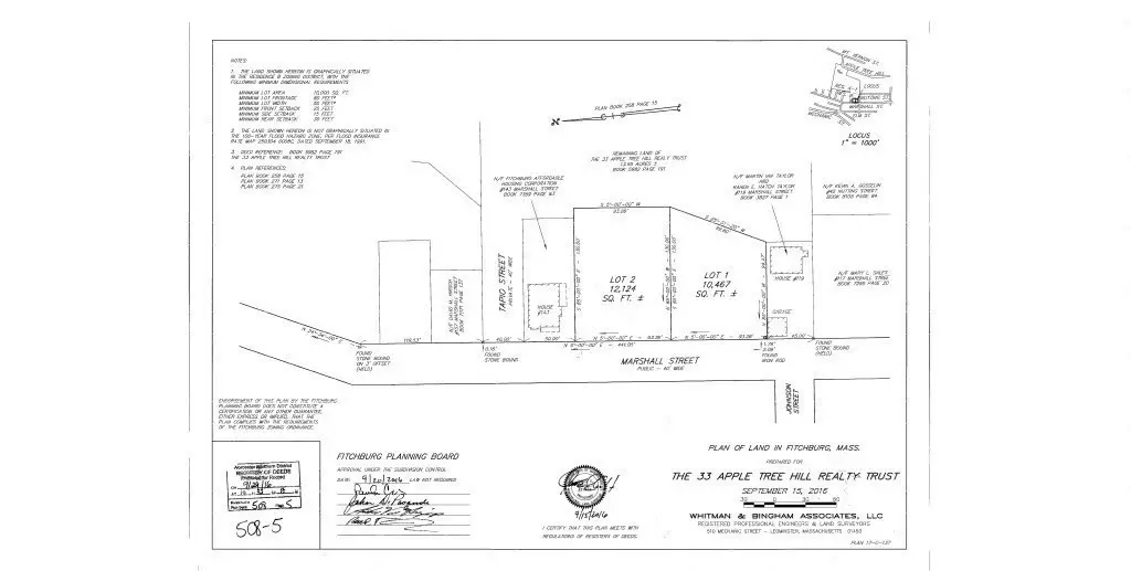
0 Marshall St. L2, Fitchburg, MA 01420

Local realty services provided by:Better Homes and Gardens Real Estate The Masiello Group
0 Marshall St. L2,Fitchburg, MA 01420
$125,000
  • 0.28 Acres
  • Lots / Land
  • Active
Listed by: hisham loji
Office: keller williams realty boston south west
MLS#:73479467
Source:MLSPIN

Price summary

  • Price:$125,000

About this home

Attention Investors, Developers, and Builders! Take advantage of this 12,123 Sq. Ft. (0.28-acre) parcel offering strong potential in today’s buyer’s market. Whether you’re looking to build and sell, develop a duplex, or create a custom residence with income potential, this lot provides flexibility to fit your strategy. Engineering plans for a duplex are available, and utilities are located at the street, offering a streamlined path toward development. The property is part of a two-parcel offering (MLS #73479466), allowing for individual purchase or the opportunity to acquire both parcels for expanded possibilities. This is an excellent opportunity to secure land at today’s pricing and build for resale or long-term investment. Buyer and buyer’s agent to perform all due diligence regarding use, permits, and approvals.

Contact an agent

contact an agent

Yes, I would like more information. Please use and/or share my information with a BHGRE®  affiliated agent to contact me about my real estate needs. By clicking Send message, I request to be contacted by phone or text message and consent to being contacted by automated means. I understand that my consent to receive calls or texts is not a condition of purchasing any property, goods, or services. Alternatively, I understand that I can access real estate services by email or I can contact the agent myself.

If a BHGRE®  affiliated agent is not available in the area where I need assistance, I agree to be contacted by a real estate agent affiliated with another brand owned or licensed by Anywhere Real Estate (CENTURY 21® , Coldwell Banker® , Corcoran® , ERA® , Sotheby's International Realty® ).
 I acknowledge that I have read and agree to theTerms of useandPrivacy notice

Home facts

  • Listing ID #:73479467
  • Updated:February 27, 2026 at 11:36 AM

Structure and exterior

  • Lot area:0.28 Acres
  • Lot Features:Sloped

Utilities

  • Water:At Street
  • Sewer:At Street

Finances and disclosures

  • Price:$125,000
  • Tax amount:$594 (2025)
The property listing data and information, or the Images, set forth herein were provided to MLS Property Information Network, Inc. from third party sources, including sellers, lessors and public records, and were compiled by MLS Property Information Network, Inc. The property listing data and information, and the Images, are for the personal, non-commercial use of consumers having a good faith interest in purchasing or leasing listed properties of the type displayed to them and may not be used for any purpose other than to identify prospective properties which such consumers may have a good faith interest in purchasing or leasing. MLS Property Information Network, Inc. and its subscribers disclaim any and all representations and warranties as to the accuracy of the property listing data and information, or as to the accuracy of any of the Images, set forth herein.