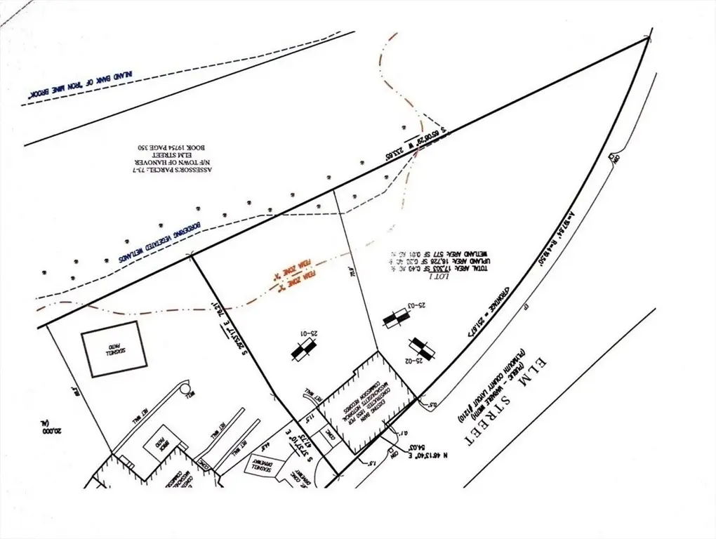
186 Elm Street, Hanover, MA 02339

Local realty services provided by:Better Homes and Gardens Real Estate The Shanahan Group
186 Elm Street,Hanover, MA 02339
$257,000
  • 0.4 Acres
  • Lots / Land
  • Active
Listed by: cathy hoy
Office: conway - hanover
MLS#:73463816
Source:MLSPIN

Price summary

  • Price:$257,000

About this home

RARE OPPORTUNITY to buy .4 acre of grassland in Hanover abutting conservation land/walking trails. Included is an open post and beam antique barn - Half is a finished, multi-use studio with insulation, modern windows & doors—ideal for an artist’s workspace, home office, or guest area. The other half preserves the authentic character of the original two-story barn - complete with vintage (double) indoor outhouse, 2 horse stalls and chicken coop! If buyer is planning to make this barn a home, it is being sold AS-IS. Can tear down or repurpose but all construction must remain on current historic footprint. The land has been surveyed as the high quality soil and now permitted for conventional 2BA/3BR septic (not mound). The 27 foot tall roofline can extend up to 35 ft tall offering a variety of architectural possibilities!

Contact an agent

contact an agent

Yes, I would like more information. Please use and/or share my information with a BHGRE®  affiliated agent to contact me about my real estate needs. By clicking Send message, I request to be contacted by phone or text message and consent to being contacted by automated means. I understand that my consent to receive calls or texts is not a condition of purchasing any property, goods, or services. Alternatively, I understand that I can access real estate services by email or I can contact the agent myself.

If a BHGRE®  affiliated agent is not available in the area where I need assistance, I agree to be contacted by a real estate agent affiliated with another brand owned or licensed by Anywhere Real Estate (CENTURY 21® , Coldwell Banker® , Corcoran® , ERA® , Sotheby's International Realty® ).
 I acknowledge that I have read and agree to theTerms of useandPrivacy notice

Home facts

  • Listing ID #:73463816
  • Updated:December 30, 2025 at 11:21 AM

Structure and exterior

  • Lot area:0.4 Acres

Utilities

  • Water:Public
  • Sewer:Private Sewer

Finances and disclosures

  • Price:$257,000
  • Tax amount:$2,900 (2025)
The property listing data and information, or the Images, set forth herein were provided to MLS Property Information Network, Inc. from third party sources, including sellers, lessors and public records, and were compiled by MLS Property Information Network, Inc. The property listing data and information, and the Images, are for the personal, non-commercial use of consumers having a good faith interest in purchasing or leasing listed properties of the type displayed to them and may not be used for any purpose other than to identify prospective properties which such consumers may have a good faith interest in purchasing or leasing. MLS Property Information Network, Inc. and its subscribers disclaim any and all representations and warranties as to the accuracy of the property listing data and information, or as to the accuracy of any of the Images, set forth herein.