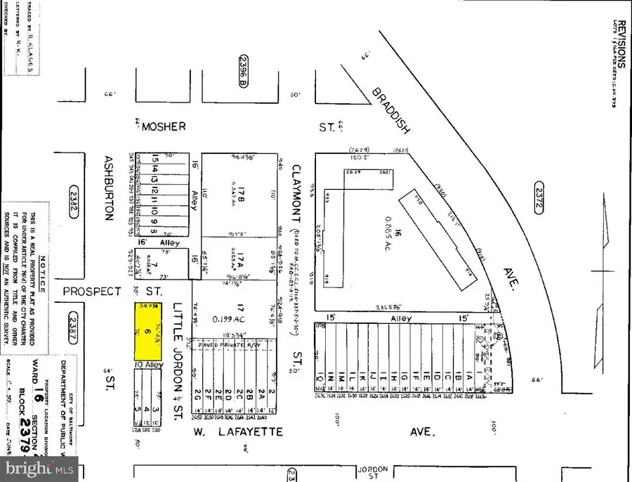
Parcel On Ashburton, Baltimore, MD 21216
Local realty services provided by:Better Homes and Gardens Real Estate Community Realty
Parcel On Ashburton,Baltimore, MD 21216
$8,000
- 0.06 Acres
- Lots / Land
- Active
Listed by: adam m shpritz, lee m shpritz
Office: ashland auction group llc.
MLS#:MDBA2209678
Source:BRIGHTMLS
Price summary
- Price:$8,000
About this home
ONLINE AUCTION: This auction takes place on the Ashland Auction Group Website Bidding Platform. Bidding begins 4/21/2026 @ 10:00 AM. Bidding ends 4/23/2026 @ 11:20 AM. List Price is Suggested Opening Bid. Deposit: $5,000.
+/ - 2,660 ft² parcel of land located in the Mosher area.
JUST MINUTES to Gwynns Falls Park.
Easy access to major traffic artery W Franklin St.
Parcel is vacant.
Contact an agent
Home facts
- Listing ID #:MDBA2209678
- Added:6 day(s) ago
- Updated:April 10, 2026 at 01:30 PM
Structure and exterior
- Lot area:0.06 Acres
Utilities
- Water:Public Hook-up Available
- Sewer:Public Hook/Up Avail
Finances and disclosures
- Price:$8,000
- Tax amount:$61 (2025)
New listings near Parcel On Ashburton
- New
$319,990Active4 beds 2 baths1,728 sq. ft.19 Mardrew Rd, BALTIMORE, MD 21229
MLS# MDBA2209174Listed by: BERKSHIRE HATHAWAY HOMESERVICES HOMESALE REALTY - Coming Soon
$275,000Coming Soon3 beds 1 baths8607 Midi Ave, BALTIMORE, MD 21234
MLS# MDBC2158892Listed by: BERKSHIRE HATHAWAY HOMESERVICES HOMESALE REALTY - New
$275,000Active5 beds 3 baths1,836 sq. ft.2428 Mcculloh St, BALTIMORE, MD 21217
MLS# MDBA2204132Listed by: KELLER WILLIAMS LEGACY - Open Sun, 12 to 2pmNew
$384,900Active5 beds 3 baths2,252 sq. ft.416 Mosher St, BALTIMORE, MD 21217
MLS# MDBA2204136Listed by: KELLER WILLIAMS LEGACY - Coming Soon
$117,500Coming Soon1 beds 1 baths3601 Greenway #507, BALTIMORE, MD 21218
MLS# MDBA2205922Listed by: LONG & FOSTER REAL ESTATE, INC. - Coming Soon
$230,000Coming Soon3 beds 2 baths3507 Greenvale Rd, BALTIMORE, MD 21229
MLS# MDBA2209870Listed by: HYATT & COMPANY REAL ESTATE, LLC - Coming Soon
$255,000Coming Soon4 beds 4 baths1619 Appleton St, BALTIMORE, MD 21217
MLS# MDBA2210338Listed by: SAMSON PROPERTIES - Coming Soon
$175,000Coming Soon3 beds 2 baths1325 W Pratt St, BALTIMORE, MD 21223
MLS# MDBA2210418Listed by: CUMMINGS & CO. REALTORS - New
$95,000Active4 beds 2 baths2125 E Preston St, BALTIMORE, MD 21213
MLS# MDBA2210420Listed by: LONG & FOSTER REAL ESTATE, INC. - New
$329,000Active1 beds 1 baths1,027 sq. ft.850 Aliceanna St #301, BALTIMORE, MD 21202
MLS# MDBA2210100Listed by: MONUMENT SOTHEBY'S INTERNATIONAL REALTY