Steffeny Rd, Randallstown, MD 21133
Local realty services provided by:Better Homes and Gardens Real Estate Reserve
Steffeny Rd,Randallstown, MD 21133
$225,000
- 4.34 Acres
- Lots / Land
- Active
Listed by: karen l donaldson
Office: re/max advantage realty
MLS#:MDBC2158512
Source:BRIGHTMLS
Price summary
- Price:$225,000
About this home
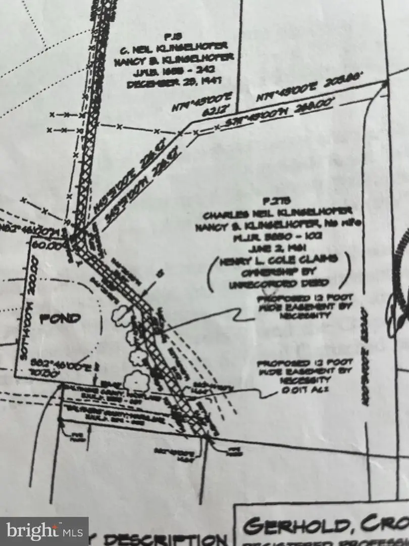
This property has been in the same family for generations. And the plan was always to build 2 homes side by side. This property has never been perc, but the area has good soil & the Owners have been told by the County that there is no reason that the property couldn't be divided in half. But the current owners do not want to deal with the work to do so & it is priced accordingly. The "low area" across from the for sale sign is part of the property for sale, but clearly not the area to build on. Reach out to the County for any perc related questions. Sellers are opened to a reasonable perc contingency.
Contact an agent
Home facts
- Listing ID #:MDBC2158512
- Added:50 day(s) ago
- Updated:May 26, 2026 at 01:32 PM
Structure and exterior
- Lot area:4.34 Acres
- Lot Features:Additional Lot(s), Hunting Available, No Thru Street, Not In Development, Pond, Secluded, Sloping, Trees/Wooded
Schools
- High school:NEW TOWN
- Middle school:DEER PARK MIDDLE MAGNET SCHOOL
- Elementary school:HERNWOOD
Utilities
- Sewer:No Septic System
Finances and disclosures
- Price:$225,000
- Tax amount:$34 (2025)
New listings near Steffeny Rd
- New
$420,000Active3 beds 3 baths2,127 sq. ft.9639 Mendoza Rd, RANDALLSTOWN, MD 21133
MLS# MDBC2163924Listed by: KELLER WILLIAMS REALTY CENTRE - New
$420,000Active4 beds 3 baths1,842 sq. ft.3505 Templar Rd, RANDALLSTOWN, MD 21133
MLS# MDBC2164004Listed by: EXECUHOME REALTY - Coming Soon
$620,000Coming Soon6 beds 4 baths6 Paige View Ct, RANDALLSTOWN, MD 21133
MLS# MDBC2163962Listed by: KELLER WILLIAMS CAPITAL PROPERTIES - Open Sat, 12 to 2pmNew
$270,000Active3 beds 2 baths1,419 sq. ft.4920 Old Court Rd, RANDALLSTOWN, MD 21133
MLS# MDBC2160958Listed by: KELLER WILLIAMS FLAGSHIP - New
$395,000Active3 beds 4 baths1,595 sq. ft.9309 Silver Charm Dr, RANDALLSTOWN, MD 21133
MLS# MDBC2163208Listed by: REALTY ONE GROUP EXCELLENCE - New
$296,900Active3 beds 2 baths1,656 sq. ft.9706 Liberty Rd, RANDALLSTOWN, MD 21133
MLS# MDBC2163644Listed by: CENTURY 21 DOWNTOWN - New
$360,000Active3 beds 3 baths1,980 sq. ft.8145 Scotts Level Rd, PIKESVILLE, MD 21208
MLS# MDBC2153996Listed by: CUMMINGS & CO. REALTORS - New
$125,000Active3 beds 3 baths1,868 sq. ft.4510 Old Court Rd, BALTIMORE, MD 21208
MLS# MDBC2163286Listed by: ALEX COOPER AUCTIONEERS, INC. - New
$325,000Active4 beds 2 baths1,665 sq. ft.3808 Marriottsville Rd, RANDALLSTOWN, MD 21133
MLS# MDBC2163214Listed by: IRON VALLEY REAL ESTATE OCEAN CITY - New
$445,000Active5 beds 3 baths2,349 sq. ft.3708 Cassen Rd, RANDALLSTOWN, MD 21133
MLS# MDBC2163328Listed by: CUMMINGS & CO. REALTORS