American Legion Drive, Salisbury, MD 21801
Local realty services provided by:Better Homes and Gardens Real Estate Maturo
American Legion Drive,Salisbury, MD 21801
$150,000
- 9.51 Acres
- Lots / Land
- Active
Listed by: chris peek
Office: svn/miller commercial real estate
MLS#:MDWC2022338
Source:BRIGHTMLS
Price summary
- Price:$150,000
About this home
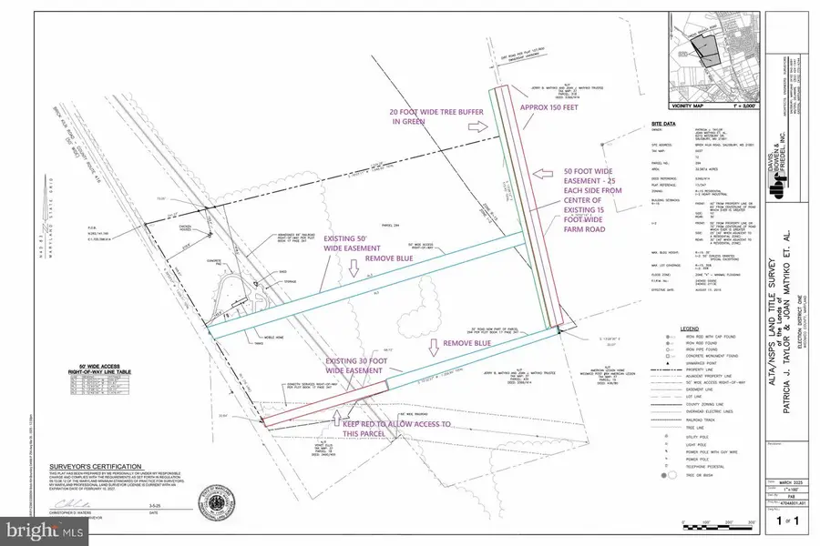
9.51 Acre Parcel off American Legion Road in Salisbury, MD
Access to the property is via a 50-foot-wide easement off of American Legion Road at the eastern border of the property. This 50-foot-wide easement is being established within the borders of the 9.51-acre section and will take up approximately 25,200 sq ft (50 x 504 ) of the parcel area. There is also a 30-foot-wide easement off of Brick Kiln Road, but this may be difficult to develop as it crosses a drainage culvert fronting on Brick Kiln. See the site map for reference. The property has access right-of-way lanes on all sides of the property. See annotated survey diagram. Current access is via a farm lane road off of Owens Branch.
There is a 150-foot-wide Conectiv easement for the power lines crossing the property that utilizes approximately 3 acres of the 9.51 total acreage. No structures other than roads can be built within this easement area under the power lines.
Zoning: The property is zoned Wicomico County R-15. Use to date has been as leased farmland. An application for a change of zoning may be possible, but please note, this property is not being sold contingent on it being re-zoned.
Well and Septic: There is currently no well and septic system serving the property. The soil is well drained and getting a perk should be very possible, but please note, this property is not being sold contingent on its perking....
Contact an agent
Home facts
- Listing ID #:MDWC2022338
- Added:1 day(s) ago
- Updated:April 04, 2026 at 05:41 AM
Structure and exterior
- Lot area:9.51 Acres
Utilities
- Sewer:No Septic System
Finances and disclosures
- Price:$150,000
- Tax amount:$520 (2024)
New listings near American Legion Drive
- New
$154,900Active2 beds 1 baths1,070 sq. ft.216 Phillip Morris Dr, SALISBURY, MD 21804
MLS# MDWC2022258Listed by: COLDWELL BANKER REALTY - New
$173,500Active3 beds 2 baths1,755 sq. ft.218 Phillip Morris Dr, SALISBURY, MD 21804
MLS# MDWC2022260Listed by: COLDWELL BANKER REALTY - Coming Soon
$384,900Coming Soon3 beds 3 baths223 Creekside Dr, SALISBURY, MD 21804
MLS# MDWC2022278Listed by: ERA MARTIN ASSOCIATES - Coming Soon
$379,000Coming Soon4 beds 4 baths420 Pinehurst Ave, SALISBURY, MD 21801
MLS# MDWC2022320Listed by: COLDWELL BANKER REALTY - New
$444,900Active4 beds 3 baths2,540 sq. ft.6147 Cadagon Ct, SALISBURY, MD 21801
MLS# MDWC2022322Listed by: COLDWELL BANKER REALTY - New
$300,000Active3 beds 2 baths1,600 sq. ft.5920 Tappan Ln, SALISBURY, MD 21801
MLS# MDWC2022290Listed by: VISION REALTY GROUP OF SALISBURY - New
$425,995Active3 beds 2 baths1,945 sq. ft.8071 Brown Rd, SALISBURY, MD 21804
MLS# MDWC2022298Listed by: WHITEHEAD REAL ESTATE EXEC. - New
$950,000Active3 beds 2 baths2,400 sq. ft.33096 Johnson Rd, SALISBURY, MD 21804
MLS# MDWC2022318Listed by: KELLER WILLIAMS REALTY - Coming Soon
$245,500Coming Soon3 beds 2 baths8100 Jersey Rd, SALISBURY, MD 21801
MLS# MDWC2022106Listed by: COMPASS