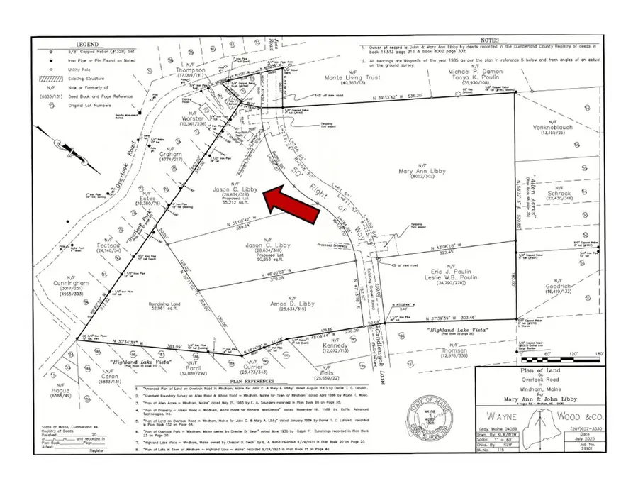
0 Lot #2 Candlewyck Road, Windham, ME 04062
Local realty services provided by:Better Homes and Gardens Real Estate The Masiello Group
0 Lot #2 Candlewyck Road,Windham, ME 04062
$99,000
- 1.26 Acres
- Lots / Land
- Pending
Listed by: deborah meek
Office: keller williams realty
MLS#:1653381
Source:ME_MREIS
Price summary
- Price:$99,000
- Monthly HOA dues:$29.17
About this home
Beautiful land in the same family for multiple generations! A genuine slice of pure Maine to build your dreams upon, yet only 25 minutes to Portland. Ideal location to lakes, mountains, bars and eateries and entertainment! If you've been having a challenge finding a genuine buildable lot - without wetland or complications - then look no further. Located in a popular neighborhood. Gentle treed sloping lot providing natural privacy and possibly a walk-out basement - quiet and picturesque, ideal for nature lovers and dog lovers. Hikers' paradise and enjoy the scenic beauty as it unfolds every season. This lot is 1.26 acres, surveyed and soils tested with HHE-200 Septic Design, with the town's OK - meeting dimensional standards for a building lot. Small annual fee to Overlook Road Association once property developed. Bring your builder or your plans and explore this rare offering. This parcel will need the buyer to build out the right-of-way for access with hammerhead. See survey. Buyers to verify with town of Windham - private way minor road spec - does not require black top. Don't miss. It's surveyed and pinned!...
Contact an agent
Home facts
- Listing ID #:1653381
- Updated:April 25, 2026 at 07:31 AM
Structure and exterior
- Lot area:1.26 Acres
- Lot Features:Cul-De-Sac, Neighborhood, Rolling/Sloping, Subdivided, Wooded
Utilities
- Water:Private, Well Needed on Site
- Sewer:Perc Test On File, Private Sewer, Septic Design Available, Septic Needed
Finances and disclosures
- Price:$99,000
- Tax amount:$1,705 (25)
Parking
- Parking description:No Driveway, On Site
New listings near 0 Lot #2 Candlewyck Road
- New
$235,000Active1.84 Acres39 Cook Road, Windham, ME 04062
MLS# 1659202Listed by: KELLER WILLIAMS REALTY - New
$275,000Active2.96 Acres0 Cook Road, Windham, ME 04062
MLS# 1659210Listed by: KELLER WILLIAMS REALTY - New
$435,000Active1 beds 1 baths632 sq. ft.12 Shore Road, Windham, ME 04062
MLS# 1659036Listed by: ROCKSTAR REAL ESTATE - New
$499,900Active3 beds 2 baths1,632 sq. ft.9 Shepherd Lane #13, Windham, ME 04062
MLS# 1658962Listed by: RE/MAX BY THE BAY - Open Sat, 11am to 1pm
$120,000Pending2.02 Acres0 Jules Drive, Windham, ME 04062
MLS# 1658941Listed by: KELLER WILLIAMS REALTY - Open Sun, 12 to 2pmNew
$999,000Active4 beds 4 baths3,555 sq. ft.35 Woldbrook Drive, Windham, ME 04062
MLS# 1658929Listed by: KRAININ REAL ESTATE - Coming Soon
$585,000Coming Soon3 beds 2 baths70 Nash Road, Windham, ME 04062
MLS# 1658870Listed by: WAYPOINT BROKERS COLLECTIVE - Open Sun, 11am to 1pmNew
$547,500Active3 beds 3 baths1,853 sq. ft.52 Harvest Hill Road, Windham, ME 04062
MLS# 1658765Listed by: MAINE REAL ESTATE EXPERTS
$599,000Active3 beds 2 baths1,400 sq. ft.53B Johnson Road, Windham, ME 04062
MLS# 1653411Listed by: PLOWMAN REALTY GROUP- New
$429,990Active2 beds 1 baths936 sq. ft.3 Washout Way, Windham, ME 04062
MLS# 1658352Listed by: SIGNATURE HOMES REAL ESTATE GROUP, LLC