V/L Janet Dr Parcel 4, Saranac, MI 48881
Local realty services provided by:Better Homes and Gardens Real Estate Connections
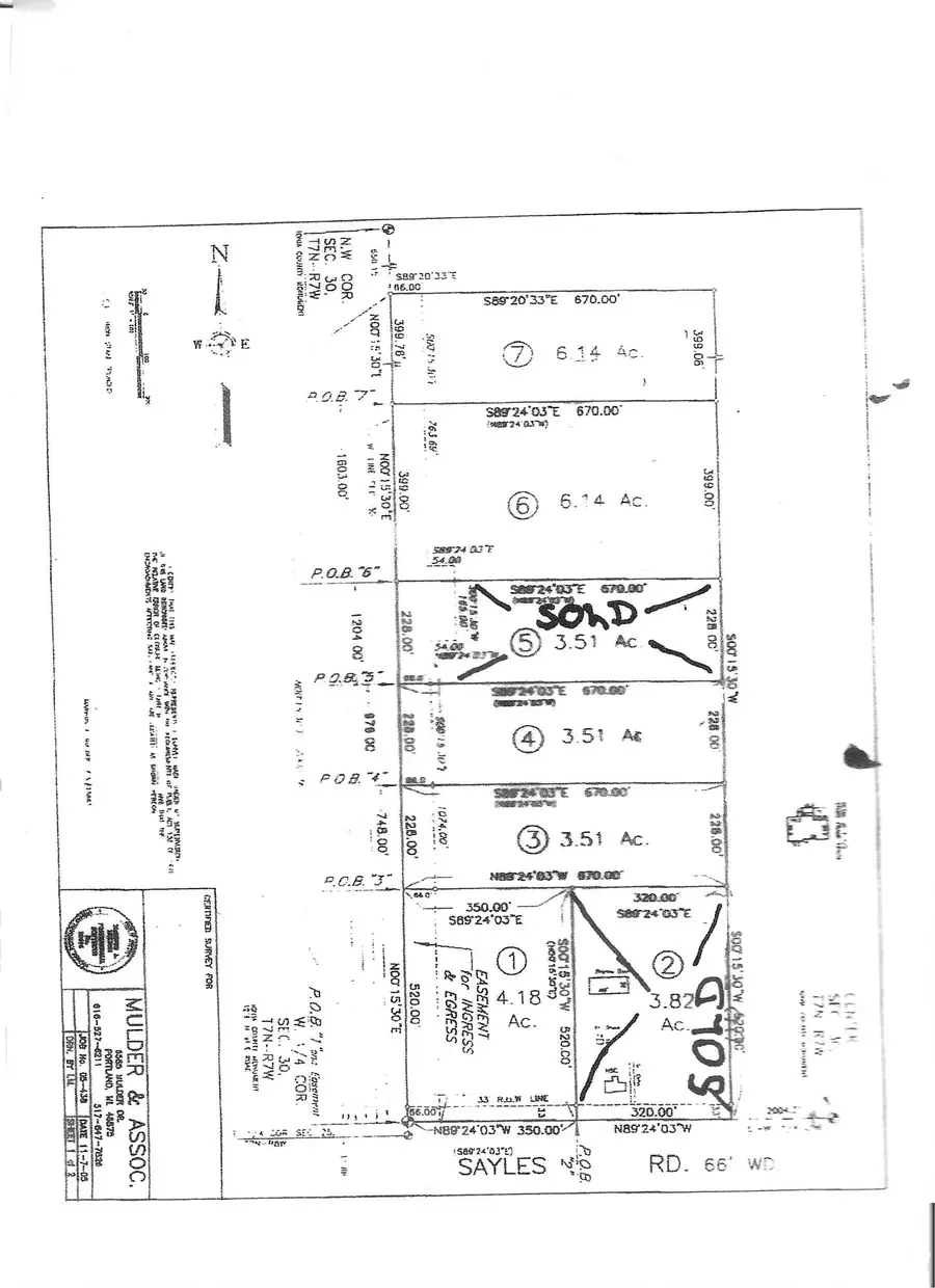
V/L Janet Dr Parcel 4,Saranac, MI 48881
$84,250
- 3.51 Acres
- Lots / Land
- Active
Listed by: shelly deyoung
Office: gatehouse real estate llc.
MLS#:26009801
Source:MI_MICHRIC
Price summary
- Price:$84,250
About this home
Country living- YES PLEASE! There are a total of 5 parcels listed for sale on Janet Drive. Currently they have the ''Qualified Agricultural'' exemption as they have been farmed for many years. They range in size from 3.51 - 6.14 acres. This is Parcel 4 at 3.51 acres. Come check out these fantastic build sites- you will fall in love!
Contact an agent
Home facts
- Listing ID #:26009801
- Added:14 day(s) ago
- Updated:March 28, 2026 at 02:56 PM
Structure and exterior
- Lot area:3.51 Acres
- Lot Features:Buildable, Cleared, Tillable
Finances and disclosures
- Price:$84,250
- Tax amount:$250 (2025)
New listings near V/L Janet Dr Parcel 4
- New
$700,000Active3 beds 3 baths2,014 sq. ft.6390 Lakeshore Drive, Saranac, MI 48881
MLS# 26012262Listed by: CHILDRESS & ASSOCIATES REALTY - New
$279,900Active2 beds 2 baths960 sq. ft.3708 Pine Lane, Saranac, MI 48881
MLS# 26012102Listed by: UNITED COUNTRY MIDWEST LIFESTYLE PROPERTIES - New
$297,500Active8.5 Acres0 Sayles Road, Saranac, MI 48881
MLS# 26011610Listed by: ROGERS NEIGHBORHOOD REALTY
$149,900Pending3 beds 1 baths1,288 sq. ft.86 S Vosper Street, Saranac, MI 48881
MLS# 26010979Listed by: FIVE STAR REAL ESTATE (WALKER)
$84,250Active3.51 AcresV/L Janet Dr Parcel 3, Saranac, MI 48881
MLS# 26009800Listed by: GATEHOUSE REAL ESTATE LLC
$153,500Active6.14 AcresV/L Janet Dr Parcel 6, Saranac, MI 48881
MLS# 26009802Listed by: GATEHOUSE REAL ESTATE LLC
$153,500Active6.14 AcresV/L Janet Dr Parcel 7, Saranac, MI 48881
MLS# 26009803Listed by: GATEHOUSE REAL ESTATE LLC
$108,680Active4.18 AcresV/L Janet Dr Parcel 1, Saranac, MI 48881
MLS# 26009799Listed by: GATEHOUSE REAL ESTATE LLC
$199,000Pending2 beds 1 baths948 sq. ft.68 Dewitt Street, Saranac, MI 48881
MLS# 26009475Listed by: GREENRIDGE REALTY (LOWELL)