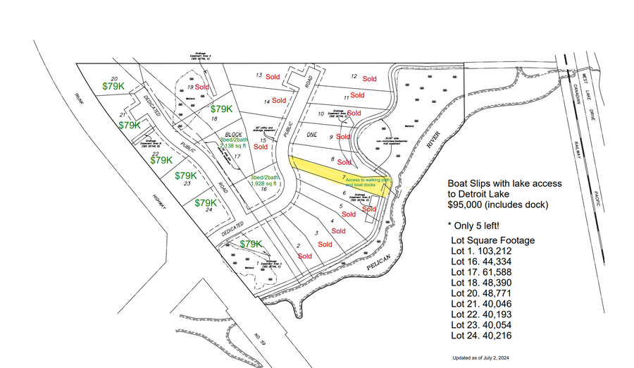
18 Branch Creek Road, Detroit Lakes, MN 56501
Local realty services provided by:Better Homes and Gardens Real Estate First Choice
18 Branch Creek Road,Detroit Lakes, MN 56501
$79,000
- 1.11 Acres
- Lots / Land
- Active
Listed by: lisa jasken
Office: re/max lakes region
MLS#:6754295
Source:NSMLS
Price summary
- Price:$79,000
- Monthly HOA dues:$16.67
About this home
An excellent construction team from architect to interiors ensured that this home flows with added features for luxurious and practical living. 4 en-suite bedrooms, plenty of light, sparkling pool and stunning forest views. The streamlined kitchen boasts high-end appliances and a built-in coffee machine and breakfast bar. Home automation and audio, with underfloor heating throughout.
An inter-leading garage with additional space for golf cart. The main entrance has an attractive feature wall and water feature. The asking price is VAT inclusive = no transfer duty on purchase. The 'Field of Dreams" is situated close by with tennis courts and golf driving range. Horse riding is also available to explore the estate, together with organised hike and canoe trips on the Noetzie River. Stunning rural living with ultimate security, and yet within easy access of Pezula Golf Club, Hotel and world-class Spa, gym and pool.
Contact an agent
Home facts
- Listing ID #:6754295
- Added:535 day(s) ago
- Updated:December 17, 2025 at 09:43 PM
Structure and exterior
- Lot area:1.11 Acres
Finances and disclosures
- Price:$79,000
- Tax amount:$28 (2024)
New listings near 18 Branch Creek Road
- New
$335,000Active2 beds 2 baths1,359 sq. ft.624 N Shore Drive, Detroit Lakes, MN 56501
MLS# 6826115Listed by: HOMESMART ADVENTURE REALTY
$385,000Active1 beds 1 baths864 sq. ft.315 Park Lake Boulevard #207, Detroit Lakes, MN 56501
MLS# 6825141Listed by: COUNSELOR REALTY DETROIT LAKES
$379,900Active3 beds 2 baths1,568 sq. ft.317 Oak Hills Drive, Detroit Lakes, MN 56501
MLS# 6823543Listed by: HOMECOIN.COM
$399,000Active2 beds 2 baths1,489 sq. ft.1037 Village Lane, Detroit Lakes, MN 56501
MLS# 6824539Listed by: THE REAL ESTATE COMPANY OF DETROIT LAKES
$399,000Active2 beds 2 baths1,489 sq. ft.1037 Village Lane, Detroit Lakes, MN 56501
MLS# 6824539Listed by: THE REAL ESTATE COMPANY OF DETROIT LAKES
Listed by BHGRE$750,000Active3 beds 2 baths2,064 sq. ft.1590 W Lake Drive, Detroit Lakes, MN 56501
MLS# 6820372Listed by: BETTER HOMES AND GARDENS REAL
Listed by BHGRE$750,000Active3 beds 2 baths1,032 sq. ft.1590 W Lake Drive, Detroit Lakes, MN 56501
MLS# 6820372Listed by: BETTER HOMES AND GARDENS REAL
$1,490,000Active5 beds 4 baths3,593 sq. ft.1082 W Lake Drive, Detroit Lakes, MN 56501
MLS# 6823720Listed by: KELLER WILLIAMS REALTY PROFESS
$177,000Active1 beds 1 baths630 sq. ft.315 Park Lake Boulevard #302, Detroit Lakes, MN 56501
MLS# 6821592Listed by: LAKEPLACE.COM-LAKESHORE & MORE
$177,000Active1 beds 1 baths630 sq. ft.315 Park Lake Boulevard #302, Detroit Lakes, MN 56501
MLS# 6821592Listed by: LAKEPLACE.COM-LAKESHORE & MORE