TBD 4th St., Lismore, MN 56155
Local realty services provided by:Better Homes and Gardens Real Estate Advantage One
TBD 4th St.,Lismore, MN 56155
$12,000
- 1.1 Acres
- Lots / Land
- Active
Listed by: davi g. bullerman
Office: johnson builders & realty inc
MLS#:6651565
Source:ND_FMAAR
Price summary
- Price:$12,000
About this home
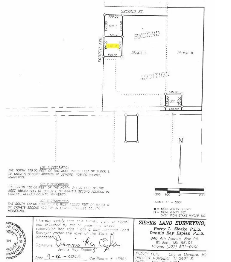
Vacant Lot for Sale in Lismore, MN – 166x341x150
This spacious and uniquely-shaped lot, measuring 166x341x150, offers a fantastic opportunity to build your dream home or investment property in the peaceful town of Lismore, MN. With a generous area and varied dimensions, the lot provides ample space for a custom build, outdoor living areas, and even additional structures like a garage or shed.
Property Highlights:
Lot Size: 166x341x150 (1.1 acres)
Location: Quiet, residential location in Lismore, MN
Zoning: Residential (perfect for a single-family home)
Utilities: Available nearby (buyer to verify)
Access: Easy access via paved roads
Nearby Amenities: Close to local park and shops
Incentive: Take advantage of Nobles County’s 5-year tax abatement program (buyer to verify eligibility)
This expansive lot offers the flexibility to create a home and outdoor space that perfectly fits your vision. With its ideal location and sizable dimensions, this property is a rare find in Lismore.
Contact an agent
Home facts
- Listing ID #:6651565
- Added:360 day(s) ago
- Updated:January 13, 2026 at 04:32 PM
Structure and exterior
- Lot area:1.1 Acres
Finances and disclosures
- Price:$12,000
