Address Withheld By Seller, Jasper, MO 65079
Local realty services provided by:Better Homes and Gardens Real Estate Lake Realty
Address Withheld By Seller,Porto Cima, MO 65079
$1,070,000
- 0 Acres
- Lots / Land
- Active
Listed by: don donahoo
Office: c & j investment properties, llc.
MLS#:3583169
Source:MO_LOBR
Sorry, we are unable to map this address
Price summary
- Price:$1,070,000
About this home
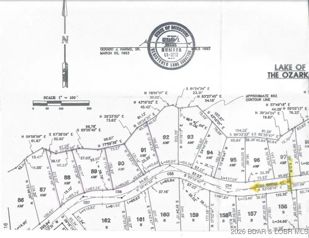
FINALLY, AFTER YEARS OF ANTICIPATION, development of the Fabled "EAGLES LOTS" is successfully complete .... and LOTS 88, 89, 90 & 91 of Grand Point Subdivision in Porto Cima .... offer to a very few Lucky Buyers, One Last OPPORTUNITY to Own a FRONT ROW SEAT to arguably one of the BEST FIREWORKS SPECTACULARS at Lake of the Ozarks ! Located at the 13MM, and directly across the Channel from the Lodge of Four Season; these NEW, PRIME LAKEFRONT Lots offer You a Unique Opportunity for the NEW CONSTRUCTION of the NEW CUSTOM HOME of YOUR DREAMS ! Buy: A.) all Four Lots, or B.) in Pairs of Two Lots; and Marvel in having the Lakefront AND the Building Envelope to accommodate most Everything those DREAMS might Include! LOCATION, LOCATION, LOCATION is the Mantra of Real Estate ... and LOTS 88, 89, 90 & 91 offer one of the "Best Locations, by Both Land & by Water, at The Lake! Come & See what these Amazing NEW LOTS, in the Heart of Porto Cima, can Offer YOU !!
Contact an agent
Home facts
- Listing ID #:3583169
- Added:40 day(s) ago
- Updated:February 10, 2026 at 04:06 PM
Utilities
- Water:Community Coop
- Sewer:Community Coop Sewer
Finances and disclosures
- Price:$1,070,000
- Tax amount:$3,023 (2025)

