Hwy 13, Mendenhall, MS 39114
Local realty services provided by:Better Homes and Gardens Real Estate Expect Realty
Listed by:derek havard
Office:havard real estate group, llc.
MLS#:4117615
Source:MS_UNITED
Price summary
- Price:$122,400
About this home
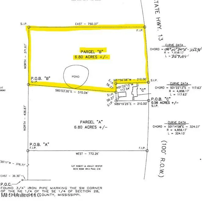
This 6.8-acre parcel in Rankin County sits within the Puckett town limits on Highway 13 about 1.1 miles from Highway 18 and offers a mix of cleared, maintained areas and mature trees for natural beauty and privacy. This land is an ideal spot to build your dream home and enjoy a true country feel with easy access to Highway 18 and just a nine-minute drive to Highway 49. Water and Sewer available through Town of Puckett, natural gas is available through Delta Utilities (formerly CenterPoint Gas), and electricity is available through Southern Pine Electric. Property has approximately 357 ft of frontage to Hwy 13. Directions: From Brandon, head south on Highway 18 to Puckett, turn right onto Highway 13, and the property is about 1.1 miles down on the right across from Tom Calhoun Road. Note: This property has a Mendenhall address but is located in Rankin County within the Town of Puckett limits and the Puckett School District.
Contact an agent
Home facts
- Listing ID #:4117615
- Added:93 day(s) ago
- Updated:September 29, 2025 at 07:14 AM
Structure and exterior
- Lot area:6.8 Acres
Schools
- High school:Puckett
- Middle school:Puckett
- Elementary school:Puckett
Utilities
- Water:Public
- Sewer:Public Sewer, Sewer Available
Finances and disclosures
- Price:$122,400
- Tax amount:$13 (2024)
New listings near Hwy 13
- New$112,000Active4 beds 2 baths2,280 sq. ft.
193 Blackwell Road, Mendenhall, MS 39114
MLS# 4126420Listed by: REAL BROKER - $170,000Pending2 beds 1 baths1,502 sq. ft.
797 County Line Road, Mendenhall, MS 39114
MLS# 4125775Listed by: TURN KEY PROPERTIES, LLC - $279,900Active4 beds 2 baths2,262 sq. ft.
306 E Court Avenue, Mendenhall, MS 39114
MLS# 4125667Listed by: HAVARD REAL ESTATE GROUP, LLC - $189,900Active4 beds 2 baths2,043 sq. ft.
129 J B Womack Road, Mendenhall, MS 39114
MLS# 4125567Listed by: E SPEED REALTY - $189,900Pending3 beds 1 baths1,400 sq. ft.
825 Poplar Springs Road, Mendenhall, MS 39114
MLS# 4125326Listed by: HAVARD REAL ESTATE GROUP, LLC - $398,900Active4 beds 3 baths2,099 sq. ft.
143 Ashwood Lane, Mendenhall, MS 39114
MLS# 4125134Listed by: HAVARD REAL ESTATE GROUP, LLC - $279,900Active4 beds 2 baths2,978 sq. ft.
250 Everett Church Road, Mendenhall, MS 39114
MLS# 4125044Listed by: MCGEE REALTY SERVICES - $95,000Active21.8 Acres
Everett Church Road, Mendenhall, MS 39114
MLS# 4124876Listed by: MCGEE REALTY SERVICES - $65,000Active6.4 Acres
274 Everett Church Road, Mendenhall, MS 39114
MLS# 4124857Listed by: MCGEE REALTY SERVICES - $469,900Active4 beds 3 baths2,469 sq. ft.
204 A.d. Mclendon Road, Mendenhall, MS 39114
MLS# 4124594Listed by: HAVARD REAL ESTATE GROUP, LLC