0 George Ii Highway, Bolivia, NC 28422
Local realty services provided by:Better Homes and Gardens Real Estate Lifestyle Property Partners
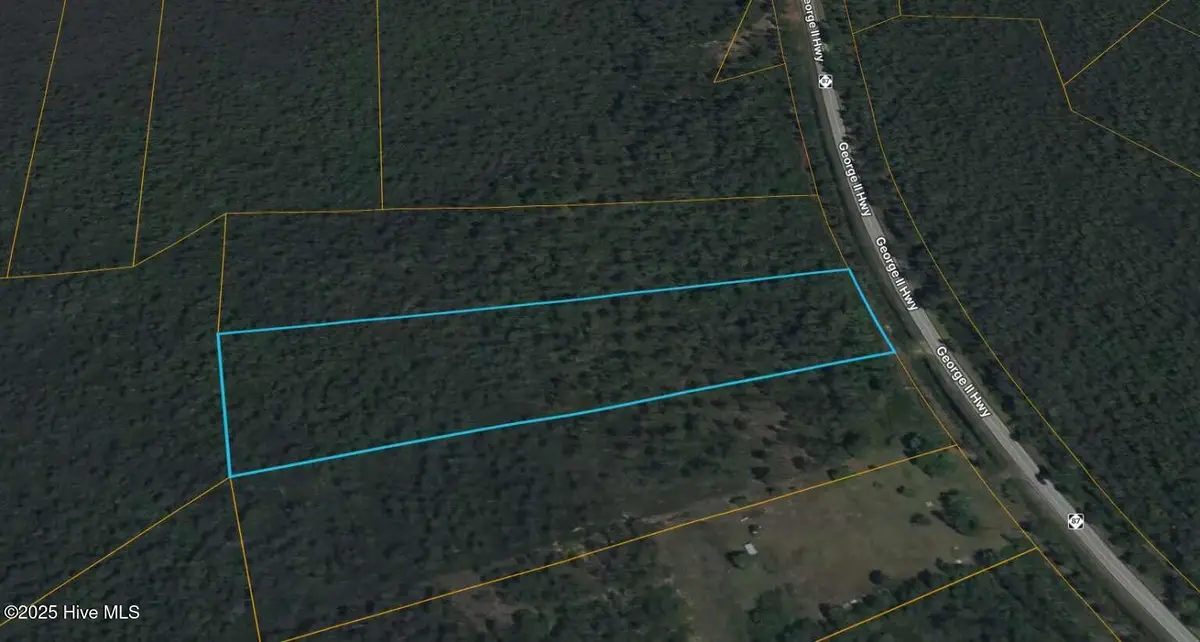
0 George Ii Highway,Bolivia, NC 28422
$89,900
- 5.5 Acres
- Lots / Land
- Active
Listed by: nicholas huscroft
Office: chosen realty of nc
MLS#:100542718
Source:NC_CCAR
Price summary
- Price:$89,900
About this home
Surrounded by quiet woodlands and the soothing rhythm of coastal Carolina, this 5.5-acre parcel offers a rare blend of natural beauty, privacy, and wide-open space for
your dream home. The land's calming atmosphere and pockets of usable high ground invite you to create a lifestyle centered around nature, serenity, and the
freedom to design your own slice of country living. Whether you're envisioning a full-time residence or a peaceful getaway, this property gives you a tranquil and inspiring canvas. Conveniently located along Hwy 87 with direct paved road frontage, this parcel provides easy access while remaining surrounded by a largely residential, quiet stretch of rural Brunswick County. Power and water are likely available nearby based on
surrounding homes, with septic feasibility dependent on a perc test—made promising by a significant dry strip of land where neighboring residences are successfully built.
Zoned C-1 but situated among residential properties and free of HOAs or deed
Contact an agent
Home facts
- Listing ID #:100542718
- Added:1 day(s) ago
- Updated:November 25, 2025 at 11:14 AM
Structure and exterior
- Lot area:5.5 Acres
Schools
- High school:South Brunswick
- Middle school:South Brunswick
- Elementary school:Bolivia
Finances and disclosures
- Price:$89,900
New listings near 0 George Ii Highway
- New
$34,900Active10.02 Acres00 George Ii Highway, Bolivia, NC 28422
MLS# 100542711Listed by: CHOSEN REALTY OF NC - New
$505,000Active2.25 Acres476 Crossland Road Sw, Bolivia, NC 28422
MLS# 100542715Listed by: INTRACOASTAL REALTY CORP
$404,000Active4 beds 3 baths2,251 sq. ft.2374 Zion Hill Road Se, Bolivia, NC 28422
MLS# 749928Listed by: CAROLINA PROPERTY SALES- New
$299,995Active3 beds 2 baths1,307 sq. ft.3343 Marlin Drive Se, Bolivia, NC 28422
MLS# 100542585Listed by: KINSTLE & COMPANY LLC. - New
$374,999Active3 beds 3 baths2,157 sq. ft.645 Ashvale Lane Se, Bolivia, NC 28422
MLS# 100542569Listed by: DISCOVER NC HOMES
$310,972Pending3 beds 2 baths1,533 sq. ft.939 Rindlewood Trail Ne, Bolivia, NC 28422
MLS# 100542488Listed by: NEXTHOME CAPE FEAR- New
$319,500Active3 beds 3 baths1,938 sq. ft.2208 Grande Palms Trail Se, Bolivia, NC 28422
MLS# 100542508Listed by: COLDWELL BANKER SLOANE - New
$449,000Active3 beds 3 baths2,420 sq. ft.680 Creekway Circle Se, Bolivia, NC 28422
MLS# 100542530Listed by: DISCOVER NC HOMES
$310,000Pending4 beds 3 baths2,321 sq. ft.311 Currents Place Se #73, Bolivia, NC 28422
MLS# 100542472Listed by: NORTHROP REALTY