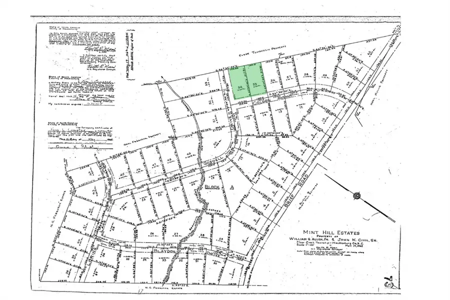
8930 Colson Avenue #54 + 55, Charlotte, NC 28227
Local realty services provided by:Better Homes and Gardens Real Estate Paracle
Listed by: kam liu walker
Office: dalton wade, inc.
MLS#:4366524
Source:CH
8930 Colson Avenue #54 + 55,Charlotte, NC 28227
$59,999
- 0.9 Acres
- Lots / Land
- Active
Price summary
- Price:$59,999
About this home
NEARLY 1 ACRE WOODED LOT IN CHARLOTTE WITH ROAD FRONTAGE NO HOA PRIVATE SETTING
Discover a rare opportunity to own nearly 1 acre in an established neighborhood in Charlotte. Located at 8930 Colson Ave, this 0.9-acre wooded lot offers a private setting with approximately 229 feet of road frontage and flat topography, making it an ideal location for a custom home.
This property consists of two original lots (Lots 54 & 55 of Mint Hill Estates) combined into one parcel, providing added flexibility in layout and design. The lot is wooded, offering natural privacy and a peaceful setting while still being conveniently located near city amenities.
Zoned residential with no HOA, this property allows for a single-family home and typical residential accessory structures. There are deed restrictions in place requiring residential use only and limiting the property to one single-family dwelling, helping preserve the character of the neighborhood.
No public water is available, and the property will require a private well and engineered septic system. A prior septic permit denial from 2008 is available, indicating that a modern engineered septic system will be required for development. Buyers are encouraged to conduct their own soil and site evaluations.
The property is not located in a flood zone and contains no mapped wetlands, offering a cleaner development path compared to many rural lots.
Enjoy a balance of privacy and accessibility with easy access to Mint Hill, Matthews, and Uptown Charlotte. This location provides convenient access to shopping, dining, and major roadways while still offering a quiet residential environment.
If you are looking for a spacious homesite in a growing Charlotte market with no HOA and strong long-term potential, this property is worth a closer look....
Contact an agent
Home facts
- Listing ID #:4366524
- Updated:April 15, 2026 at 01:24 PM
Structure and exterior
- Lot area:0.9 Acres
- Lot Features:Level, Private, Wooded
Schools
- High school:Unspecified
- Elementary school:Unspecified
Utilities
- Water:Well Needed
- Sewer:Septic Needed
Finances and disclosures
- Price:$59,999
New listings near 8930 Colson Avenue #54 + 55
- Coming Soon
$389,000Coming Soon3 beds 2 baths9600 Lawley Lane, Matthews, NC 28105
MLS# 4366424Listed by: MACKEY REALTY LLC - Open Sat, 12 to 2pmNew
$1,050,000Active3 beds 3 baths2,276 sq. ft.1310 Levy Way, Charlotte, NC 28210
MLS# 4368279Listed by: HELEN ADAMS REALTY - Coming Soon
$421,000Coming Soon3 beds 2 baths8825 Nightingale Lane, Charlotte, NC 28226
MLS# 4368899Listed by: REALTY ONE GROUP REVOLUTION - Coming SoonOpen Fri, 3 to 5pm
$550,000Coming Soon4 beds 3 baths3025 Dunaire Drive, Charlotte, NC 28205
MLS# 4369372Listed by: MY TOWNHOME - Coming Soon
$375,000Coming Soon2 beds 3 baths2718 Tranquil Oak Place, Charlotte, NC 28206
MLS# 4362826Listed by: HELEN ADAMS REALTY - New
$375,000Active4 beds 3 baths1,820 sq. ft.9901 Sweet Plum Drive #122, Charlotte, NC 28215
MLS# 4368401Listed by: NORTHGROUP REAL ESTATE LLC - Coming Soon
$449,999Coming Soon2 beds 2 baths6712 Paces Ferry Lane, Charlotte, NC 28226
MLS# 4369684Listed by: HELEN ADAMS REALTY - Coming Soon
$674,900Coming Soon3 beds 2 baths6201 Colchester Place, Charlotte, NC 28210
MLS# 4369900Listed by: ERA LIVE MOORE - Coming Soon
$1,900,000Coming Soon4 beds 4 baths12503 Three Lakes Drive, Charlotte, NC 28277
MLS# 4361015Listed by: DICKENS MITCHENER & ASSOCIATES INC - New
$470,000Active5 beds 3 baths2,746 sq. ft.5711 Stewarts Landing Road, Charlotte, NC 28215
MLS# 4367311Listed by: KELLER WILLIAMS BALLANTYNE AREA