Rosehill Road, Fayetteville, NC 28311
Local realty services provided by:Better Homes and Gardens Real Estate Paracle
Rosehill Road,Fayetteville, NC 28311
$425,000
- 15.31 Acres
- Lots / Land
- Active
Listed by:crawford mackethan
Office:franklin johnson commercial real estate
MLS#:732430
Source:NC_FRAR
Price summary
- Price:$425,000
About this home
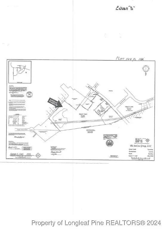
Note: No established address - estimated as 4055 Rosehill Road, Fayetteville, NC 28311 Good site for potential development as residential, multi-family, religious institution, daycare, and possible commercial use in northeast corner as currently zoned. Subject site is subject to zoning approval with specific use by the city of Fayetteville. Public sewer is available in the immediate area. Access to sewer would need to be obtained by easement. The existing pond is approximately 1.72 acres and shows up on GIS map as wetlands. Use of this area would need to be determined by an engineering firm. It should be noted that a gas line easement crosses this property. See attached plat map.
Contact an agent
Home facts
- Listing ID #:732430
- Added:370 day(s) ago
- Updated:September 29, 2025 at 03:13 PM
Structure and exterior
- Lot area:15.31 Acres
Utilities
- Water:Public
- Sewer:Public Sewer
Finances and disclosures
- Price:$425,000
New listings near Rosehill Road
- New$372,950Active4 beds 3 baths2,354 sq. ft.
3833 Bankergate (lot 75) Court, Fayetteville, NC 28311
MLS# LP750867Listed by: KELLER WILLIAMS REALTY (FAYETTEVILLE) - New$213,000Active3 beds 2 baths1,025 sq. ft.
2111 Quail Ridge Drive, Fayetteville, NC 28304
MLS# 750980Listed by: EXP REALTY LLC - New$250,000Active3 beds 2 baths1,746 sq. ft.
7016 Cordoba Court, Fayetteville, NC 28314
MLS# LP750956Listed by: EXP REALTY LLC - New$224,900Active3 beds 4 baths1,267 sq. ft.
3226 Lynnhaven Drive, Fayetteville, NC 28312
MLS# 100533220Listed by: REALTY ONE GROUP ASPIRE - New$295,000Active4 beds 3 baths1,884 sq. ft.
3609 Tenaille Street, Fayetteville, NC 28312
MLS# 750934Listed by: KELLER WILLIAMS REALTY (FAYETTEVILLE) - New$175,000Active3 beds 2 baths1,150 sq. ft.
2658 Pine Springs Drive, Fayetteville, NC 28306
MLS# 750978Listed by: ERA STROTHER REAL ESTATE - New$16,500Active0.17 Acres
212 Andy Street, Fayetteville, NC 28303
MLS# 750973Listed by: THE REAL ESTATE CONCIERGE - New$225,000Active3 beds 2 baths1,440 sq. ft.
5905 Waters Edge Drive, Fayetteville, NC 28314
MLS# 750944Listed by: TOP CHOICE HOMES REALTY - New$282,000Active3 beds 2 baths1,589 sq. ft.
1242 Brickyard Drive, Fayetteville, NC 28306
MLS# 750761Listed by: EXP REALTY LLC - New$301,000Active3 beds 3 baths1,614 sq. ft.
4805 Laurelwood Place, Fayetteville, NC 28306
MLS# 750936Listed by: ERA STROTHER REAL ESTATE