0 Caleb Setzer Road, Newton, NC 28658

Local realty services provided by:Better Homes and Gardens Real Estate Foothills
Listed by: yer yang
Office: exp realty llc. mooresville
MLS#:4326028
Source:CH
0 Caleb Setzer Road,Newton, NC 28658
$30,000
  • 0.53 Acres
  • Lots / Land
  • Active

Price summary

  • Price:$30,000

About this home

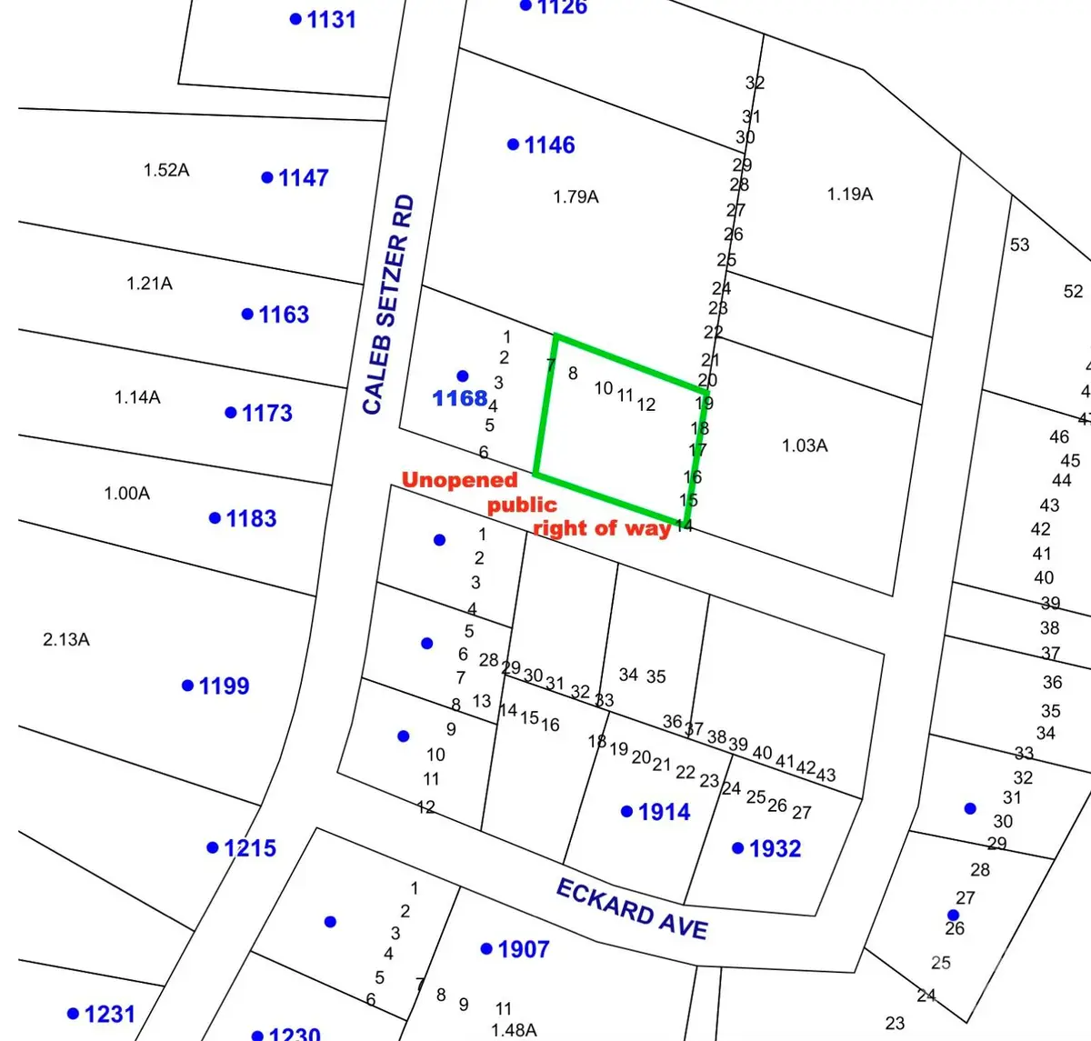
Tucked behind 1168 Caleb Setzer Rd, this 0.75± acre interior lot offers privacy and room to build. The parcel fronts an unopened platted public right-of-way—not a built road—keeping the homesite away from traffic while still providing platted access, per County. An existing detached garage on a concrete slab remains on site and previously had electrical service (now disconnected). Wooded, gently sloping topography offers several potential homesite locations. Buyer to verify access improvements, utilities, tap fee and suitability for intended use.

Contact an agent

contact an agent

Yes, I would like more information. Please use and/or share my information with a BHGRE®  affiliated agent to contact me about my real estate needs. By clicking Send message, I request to be contacted by phone or text message and consent to being contacted by automated means. I understand that my consent to receive calls or texts is not a condition of purchasing any property, goods, or services. Alternatively, I understand that I can access real estate services by email or I can contact the agent myself.

If a BHGRE®  affiliated agent is not available in the area where I need assistance, I agree to be contacted by a real estate agent affiliated with another brand owned or licensed by Anywhere Real Estate (CENTURY 21® , Coldwell Banker® , Corcoran® , ERA® , Sotheby's International Realty® ).
 I acknowledge that I have read and agree to theTerms of useandPrivacy notice

Home facts

  • Listing ID #:4326028
  • Updated:January 16, 2026 at 12:58 PM

Structure and exterior

  • Lot area:0.53 Acres

Schools

  • High school:Bandys
  • Elementary school:Balls Creek

Utilities

  • Sewer:Septic Needed

Finances and disclosures

  • Price:$30,000
MLS LogoListings courtesy of Canopy MLS as distributed by MLS GRID. Copyright 2021 Canopy MLS. All rights reserved. Canopy MLS, provides content displayed here (“provided content”) on an “as is” basis and makes no representations or warranties regarding the provided content, including, but not limited to those of non-infringement, timeliness, accuracy, or completeness. Individuals and companies using information presented are responsible for verification and validation of information they utilize and present to their customers and clients. Canopy MLS will not be liable for any damage or loss resulting from use of the provided content or the products available through Portals, IDX, VOW, and/or Syndication. Recipients of this information shall not resell, redistribute, reproduce, modify, or otherwise copy any portion thereof without the expressed written consent of Canopy MLS.