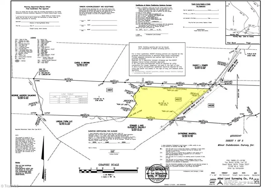
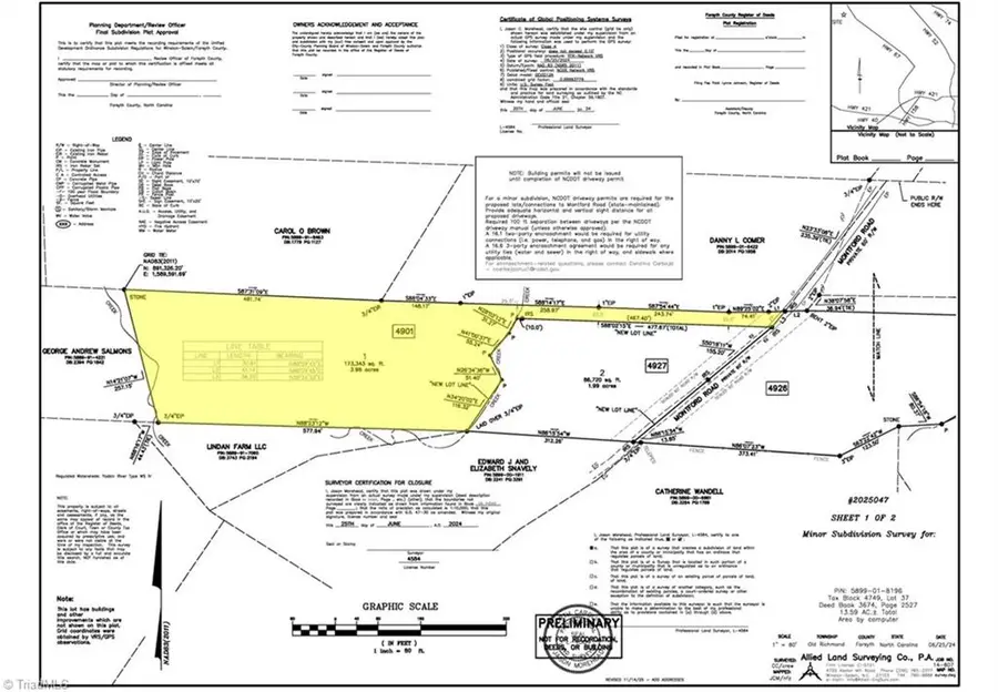
4901 & 4927 Montford Road, Pfafftown, NC 27040

Local realty services provided by:Better Homes and Gardens Real Estate Paracle
4901 & 4927 Montford Road,Pfafftown, NC 27040
$170,000
  • - Acres
  • Lots / Land
  • Active
Listed by: shelly hartman
Office: re/max preferred properties
MLS#:1202324
Source:NC_TRIAD

Price summary

  • Price:$170,000

About this home

Build your dream home or homes in Pfafftown on approx. 6 acres of wooded land with creek running through property ... Secluded ... Soil evaluation/Perc testing completed for 4 bedroom home in multiple site locations ... See attached survey Including Tract 1 and 2 ... Notice the red metal stakes -- when facing the property, the stakes are the property line for this land and the neighbor's property ... Property line starts at the red stakes and runs left ... Notice the lot line is at an angle... Septic and well will be required ... Soil Reports & Road Maintenance Agreement under attachments ... (Waiting on county for updated Tax PIN/Parcel IDs) (Note - two parcels combined on this listing but can be bought separately as an approx. 4 acre and 2 acre parcel -- also listed separately on MLS) NOTE: Wear appropriate shoes to cross (walk through) the creek to get to the back half of land -- creek runs through about midway of the land

Contact an agent

contact an agent

Yes, I would like more information from BHGRE®. Please use and/or share my information with an BHGRE affiliated agent to contact me about my real estate needs. By clicking Send message, I agree an BHGRE affiliated agent may contact me by phone or text message including by automated means about real estate services, and that I can access real estate services without providing my phone number. I acknowledge that I have read and agree to theTerms of useandPrivacy notice

Home facts

  • Listing ID #:1202324
  • Added:1 day(s) ago
  • Updated:November 17, 2025 at 09:45 PM

Finances and disclosures

  • Price:$170,000
MLS Logo2025 Triad MLS, Inc. All rights reserved. IDX information is provided exclusively for personal, non-commercial use, and may not be used for any purpose other than to identify prospective properties consumers may be interested in purchasing. Information is deemed reliable but not guaranteed. This site will be monitored for ‘scraping’ and any use of search facilities of data on the site other than by potential buyers/sellers is prohibited. All Sale data is for informational purposes only and is not an indication of a market analysis or appraisal. Properties marked with the Triad MLS, Inc. icon are provided courtesy of the Triad MLS, Inc.’s, Internet Data Exchange Database.