0 Fenner Rd & Jeffreys Road, Rocky Mount, NC 27804
Local realty services provided by:Better Homes and Gardens Real Estate Paracle
0 Fenner Rd & Jeffreys Road,Rocky Mount, NC 27804
$350,000
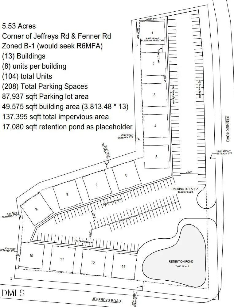
- 5.53 Acres
- Lots / Land
- Active
Listed by: benjamin david riegel
Office: braddock realty
MLS#:10146978
Source:RD
Price summary
- Price:$350,000
About this home
Prime 5.53-Acre Development Site | Corner of Jeffreys & Fenner Rd
Positioned at the high-traffic intersection of Jeffreys Road and Fenner Road, this 5.53-acre parcel offers a rare ''blank canvas'' opportunity in one of Rocky Mount's most active growth paths. Whether you are looking to capitalize on current business zoning or pivot toward high-density residential demand, this site is positioned for success.
The Opportunity
Current Zoning (B-1): Ideal for neighborhood business applications, office space, or retail services that benefit from excellent visibility and easy access.
The Vision (R-6MFA Potential): While currently commercial, a conceptual plan has been developed for R-6MFA (Multi-Family Residential). This ''Higher and Better Use'' concept addresses the surging need for quality multi-family housing in the area, offering a developer-ready roadmap for a high-density community. The provided concept plan is for conceptualization only and has not been reviewed by a civil engineer
Key Site Features
High Visibility: Extensive frontage on both Jeffreys and Fenner Roads.
Strategic Access: Minutes away from major retailers, medical facilities, and the US-64/I-95 corridor.
Infrastructure: Located in a well-served area with utilities nearby, simplifying the development timeline.
Scalable Layout: 5.53 acres provides ample room for creative site planning, including required setbacks, parking, and green space....
Contact an agent
Home facts
- Listing ID #:10146978
- Added:51 day(s) ago
- Updated:April 10, 2026 at 03:15 PM
Structure and exterior
- Lot area:5.53 Acres
Schools
- High school:Nash - Northern Nash
- Middle school:Nash - Red Oak
- Elementary school:Nash - M B Hubbard
Finances and disclosures
- Price:$350,000
- Tax amount:$3,888
New listings near 0 Fenner Rd & Jeffreys Road
- New
$135,000Active2 beds 2 baths948 sq. ft.137 Pheasant Court, Rocky Mount, NC 27804
MLS# 100566233Listed by: EXP REALTY LLC - C - New
$210,000Active2 beds 2 baths1,084 sq. ft.4721 Honeysuckle Lane, Rocky Mount, NC 27804
MLS# 100566193Listed by: REAMS TEAM REALTY, LLC - New
$395,000Active5 beds 4 baths3,329 sq. ft.224 S Englewood Drive, Rocky Mount, NC 27804
MLS# 10158922Listed by: FOOTE REAL ESTATE LLC - New
$30,000Active0.42 Acres14 Beeston Fields, Rocky Mount, NC 27804
MLS# 100566115Listed by: BULLOCK REALTY LLC - New
$354,900Active4 beds 3 baths2,181 sq. ft.168 Daughtridge Farm Road, Rocky Mount, NC 27801
MLS# 10158854Listed by: KEYSTONE REALTY, LLC - New
$90,000Active3 beds 1 baths1,322 sq. ft.733 Cedarbrook Drive, Rocky Mount, NC 27803
MLS# 100566071Listed by: BETTER HOMES AND GARDENS REAL ESTATE PARACLE - New
$16,900Active0.16 Acres330 Henry Street, Rocky Mount, NC 27803
MLS# 100565956Listed by: BEYCOME BROKERAGE REALTY LLC - New
$350,000Active4 beds 3 baths2,563 sq. ft.1721 Bethlehem Road, Rocky Mount, NC 27803
MLS# 10158405Listed by: MOOREFIELD REAL ESTATE LLC - New
$529,900Active4 beds 5 baths3,702 sq. ft.104 Stockbridge Circle, Rocky Mount, NC 27804
MLS# 100565622Listed by: MARKET LEADER REALTY, LLC. - New
$345,000Active4 beds 2 baths2,133 sq. ft.205 Stratford Road, Rocky Mount, NC 27801
MLS# 10158113Listed by: KBS REALTY