000 Tbd Lancaster Store Road Road, Spring Hope, NC 27882
Local realty services provided by:Better Homes and Gardens Real Estate Treasure
000 Tbd Lancaster Store Road Road,Spring Hope, NC 27882
$449,900
- 23.5 Acres
- Lots / Land
- Active
Listed by: brent bass
Office: brent bass & associates
MLS#:100568497
Source:NC_CCAR
Price summary
- Price:$449,900
About this home
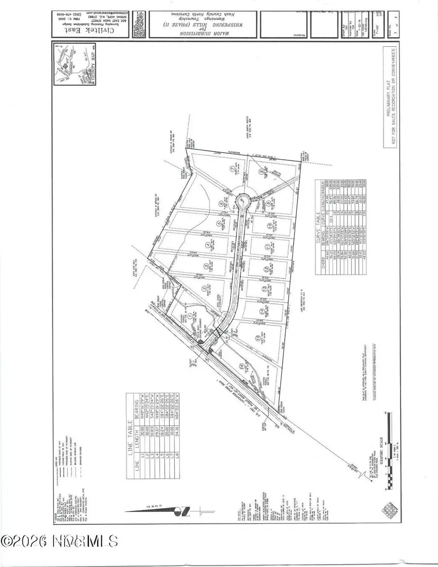
Brent Bass & Associates presents a prime opportunity to acquire this ideally located tract in Nash County's Peachtree Community, with strong potential for a residential subdivision. The property is well-suited for a small-scale development project, with the capacity to yield approximately 15 residential lots. The tract is ideally positioned in a growing area of eastern North Carolina, benefiting from proximity to regional employment centers, transportation corridors, and expanding residential demand. The surrounding area features a mix of rural and low-density residential development, making it attractive for buyers seeking new construction homes on moderately sized lots.
Please call agent to discuss what is needed for the final approval of proposed ''Whispering Hills'' subdivision.
Contact an agent
Home facts
- Listing ID #:100568497
- Added:2 day(s) ago
- Updated:April 24, 2026 at 10:14 AM
Structure and exterior
- Lot area:23.5 Acres
Schools
- High school:Southern Nash
- Middle school:Southern Nash
- Elementary school:Spring Hope
Finances and disclosures
- Price:$449,900
New listings near 000 Tbd Lancaster Store Road Road
- New
$1,500,000Active89.17 Acres5570 Lancaster Store Road, Spring Hope, NC 27882
MLS# 100569257Listed by: BRENT BASS & ASSOCIATES - Open Sat, 12 to 2pmNew
$336,500Active5 beds 3 baths2,586 sq. ft.360 Riley Way, Spring Hope, NC 27882
MLS# 10162081Listed by: EXP REALTY, LLC - C - New
$355,000Active4 beds 3 baths1,732 sq. ft.9574 Stallings Road, Spring Hope, NC 27882
MLS# 10161613Listed by: ON POINT PROPERTIES NC - Open Fri, 5 to 6pmNew
$850,000Active3 beds 2 baths2,691 sq. ft.5000 Nc-97, Spring Hope, NC 27882
MLS# 100568494Listed by: EXP REALTY LLC - C - New
$430,000Active4 beds 3 baths3,098 sq. ft.4662 W Old Spring Hope Road, Spring Hope, NC 27882
MLS# 10161169Listed by: NORTHGROUP REAL ESTATE, INC. - New
$79,900Active1.28 Acres2379 Peachtree Hills Road, Spring Hope, NC 27882
MLS# 10161137Listed by: THE CLEARWATER GROUP - New
$269,500Active3 beds 2 baths1,512 sq. ft.75 Robert Sledge Road, Spring Hope, NC 27882
MLS# 100567944Listed by: EXP REALTY LLC - C - New
$79,900Active0.96 Acres2345 Peachtree Hills Road, Spring Hope, NC 27882
MLS# 10160961Listed by: THE CLEARWATER GROUP - New
$449,900Active4 beds 3 baths2,345 sq. ft.1978 Hayes Road #1978, Spring Hope, NC 27882
MLS# 10160027Listed by: SUNFLOWER REALTY, LLC