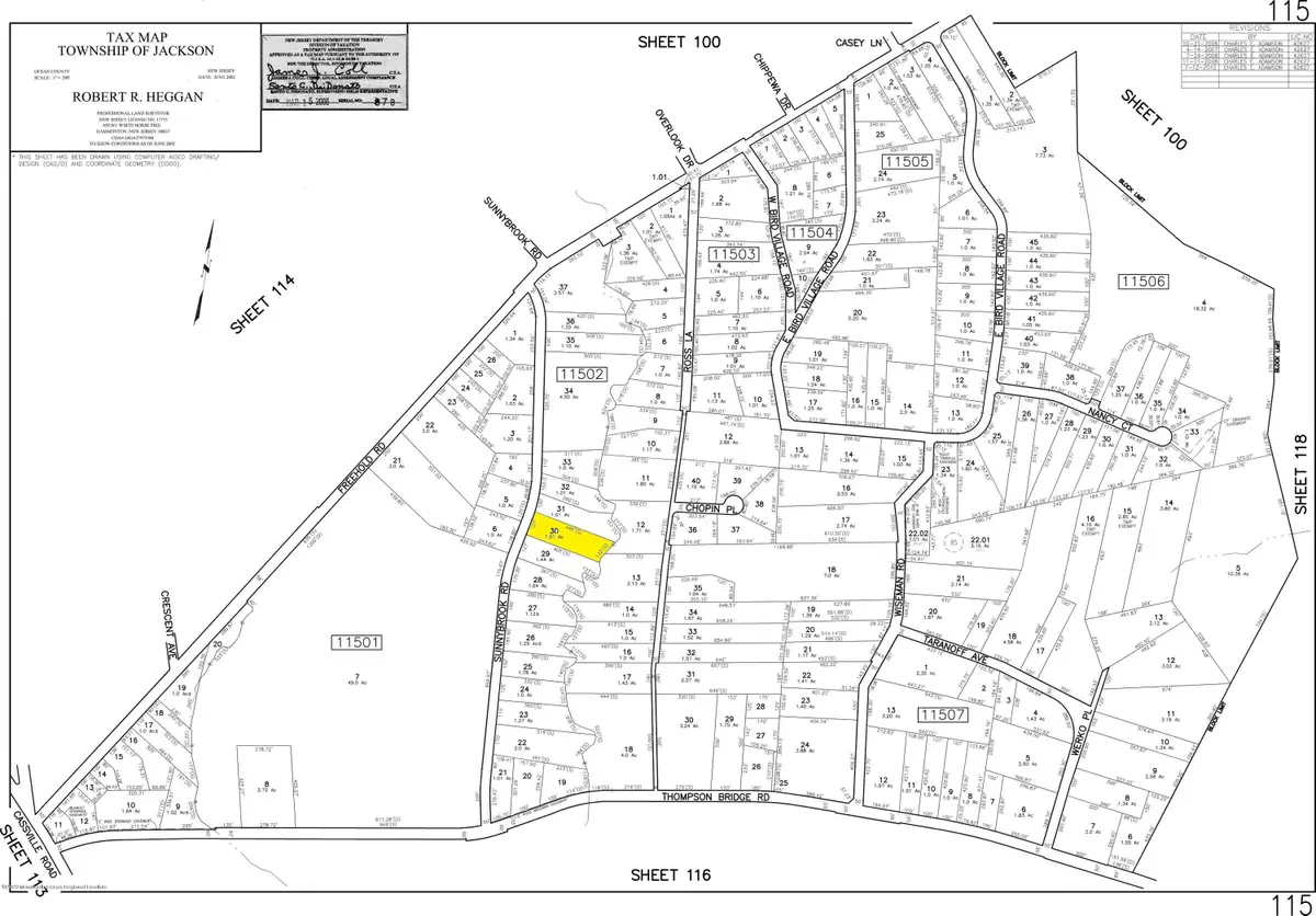
0 Sunnybrook Road, Jackson, NJ 08527
Local realty services provided by:Better Homes and Gardens Real Estate Elite
0 Sunnybrook Road,Jackson, NJ 08527
$179,990
- 1.51 Acres
- Lots / Land
- Active
Listed by: joel schachner
Office: erealty advisors, inc.
MLS#:22536077
Source:NJ_MOMLS
Price summary
- Price:$179,990
About this home
This rare 1.5-acre vacant lot in Jackson's R-1 zone offers one of the largest parcels on the block, with 120+ feet of frontage (variance likely needed) and excellent potential for a custom single-family home. The property backs directly to the C-1 conservation zone and Toms River, providing outstanding privacy and long-term protection from any rear development. Major environmental work has already been completed, including a DEP LOI and Flood Hazard approval, giving buyers confidence and reducing both time and risk. Septic is required, and the lot provides ample room for a proposed system, subject to a plot plan. Due to its size, depth, and conservation setback, the site is a strong variance candidate and ideal for a builder, investor, or end-user seeking a large, (cont.) secluded homesite. With the heavy lifting already handled, those familiar with Jackson's variance process may be able to complete approvals in as little as 4-8 months. The surrounding area continues to grow in demand, and multiple houses of worship are within walking distance, adding to the appeal of this up-and-coming neighborhood.
Contact an agent
Home facts
- Listing ID #:22536077
- Added:70 day(s) ago
- Updated:February 10, 2026 at 04:06 PM
Structure and exterior
- Lot area:1.51 Acres
Finances and disclosures
- Price:$179,990
- Tax amount:$2,860 (2025)
New listings near 0 Sunnybrook Road
- New
$700,500Active3 beds 2 baths2,384 sq. ft.1055 Farmingdale Road, Jackson, NJ 08527
MLS# 22603744Listed by: REALTY ONE GROUP LIFESTYLE HOM - New
$699,000Active3 beds 4 baths2,700 sq. ft.223 Mantoloking Drive, Jackson, NJ 08527
MLS# 22603719Listed by: WESTMARQ REALTY LLC - Coming SoonOpen Sun, 2 to 4pm
$1,075,000Coming Soon4 beds 3 baths17 Royal Grove Drive, Jackson, NJ 08527
MLS# 22603706Listed by: WEICHERT REALTORS-FREEHOLD - New
$595,000Active2 beds 1 baths1,099 sq. ft.216 Lenape Trail, Jackson, NJ 08527
MLS# 22603616Listed by: NEXTHOME REALTY PREMIER PROPERTIES - Open Sun, 12 to 2pmNew
$595,000Active1.05 Acres216 Lenape Trail, Jackson, NJ 08527
MLS# 22603617Listed by: NEXTHOME REALTY PREMIER PROPERTIES - New
$599,999Active4 beds 2 baths1,428 sq. ft.8 Trinity Place, Jackson, NJ 08527
MLS# 22603642Listed by: KELLER WILLIAMS SHORE PROPERTIES - New
$759,900Active4 beds 3 baths2,193 sq. ft.1243 Aldrich Road, Jackson, NJ 08527
MLS# 22603615Listed by: HOMESMART FIRST ADVANTAGE - New
$318,000Active1 beds 1 baths800 sq. ft.713 Veterans Highway, Jackson, NJ 08527
MLS# 22603575Listed by: RE/MAX ON THE MOVE REALTY - New
$999,999Active3 beds 2 baths1,352 sq. ft.1054 Bennetts Mills Road, Jackson, NJ 08527
MLS# 22603553Listed by: BLUE KEY REALTY, LLC - Coming Soon
$915,000Coming Soon4 beds 3 baths5 Ironwood Court, Jackson, NJ 08527
MLS# 22603541Listed by: WEICHERT REALTORS-FREEHOLD