0 Sunnyhill Ave/mary Duffy Dr, Williamstown, NJ 08094
Local realty services provided by:Better Homes and Gardens Real Estate Maturo
0 Sunnyhill Ave/mary Duffy Dr,Williamstown, NJ 08094
$850,000
- 7.1 Acres
- Lots / Land
- Active
Listed by: thomas p. duffy
Office: keller williams realty - washington township
MLS#:NJGL2065000
Source:BRIGHTMLS
Price summary
- Price:$850,000
- Monthly HOA dues:$23.75
About this home
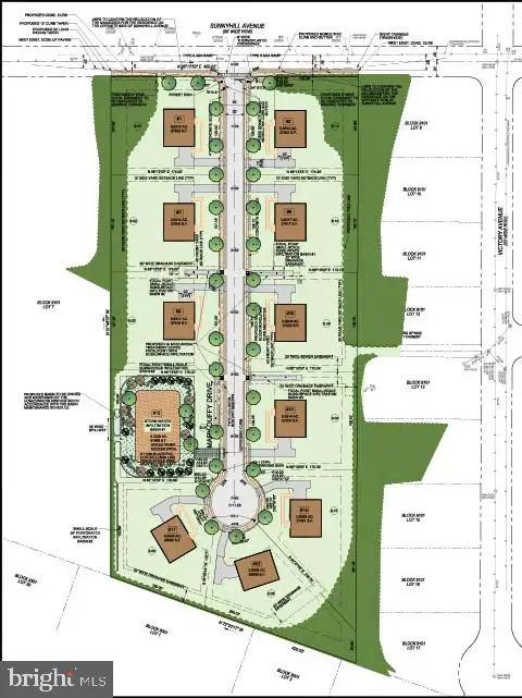
RESIDENTIAL DEVELOPMENT OPPORTUNITY: Rare, fully approved 10-lot residential subdivision in desirable Monroe Township. Skip the entitlement risk and timeline—approvals are in place so you can focus on engineering, site work, and vertical construction planning. Highlights: 10 buildable lots (final subdivision approvals in hand), Monroe Township, New Jersey – strong demand & growth corridor, All approvals complete for subdivision (docs available upon request), Phase 1 environmental available that was done on 6/24/2025. Prime location with convenient access to major roadways, schools, and amenities.
Ideal for: Builders, small-to-mid developers, and investor groups seeking an entitled project to accelerate pipeline. Due Diligence/Access: Approval and plans available for review.
Contact an agent
Home facts
- Listing ID #:NJGL2065000
- Added:48 day(s) ago
- Updated:November 27, 2025 at 02:35 AM
Structure and exterior
- Lot area:7.1 Acres
Utilities
- Water:Well Required
- Sewer:Public Hook/Up Avail
Finances and disclosures
- Price:$850,000
- Tax amount:$2,310 (2025)
New listings near 0 Sunnyhill Ave/mary Duffy Dr
- New
$298,000Active2 beds 1 baths864 sq. ft.100 Stage Coach Rd, WILLIAMSTOWN, NJ 08094
MLS# NJGL2066706Listed by: WEICHERT REALTORS - MOORESTOWN - New
$795,000Active4 beds 2 baths1,728 sq. ft.836 New Brooklyn Rd, WILLIAMSTOWN, NJ 08094
MLS# NJGL2066948Listed by: HOMESMART FIRST ADVANTAGE REALTY - New
$420,000Active4 beds 3 baths1,800 sq. ft.255 Washington Ave, WILLIAMSTOWN, NJ 08094
MLS# NJGL2066906Listed by: BHHS FOX & ROACH-MARLTON - New
$434,900Active5 beds 3 baths2,402 sq. ft.304 Thackeray, WILLIAMSTOWN, NJ 08094
MLS# NJGL2066936Listed by: BHHS FOX & ROACH-WASHINGTON-GLOUCESTER - New
$244,900Active2 beds 2 baths1,418 sq. ft.206 Raphael Ct, WILLIAMSTOWN, NJ 08094
MLS# NJGL2066834Listed by: CENTURY 21 RAUH & JOHNS - Coming Soon
$539,000Coming Soon4 beds 3 baths640 Ironwood Dr, WILLIAMSTOWN, NJ 08094
MLS# NJGL2066896Listed by: COLLINI REAL ESTATE LLC - Coming Soon
$464,900Coming Soon4 beds 2 baths134 Princeton Pl, WILLIAMSTOWN, NJ 08094
MLS# NJGL2065670Listed by: GARDEN STATE PROPERTIES GROUP - MEDFORD - Open Sat, 3 to 5pmNew
$574,900Active4 beds 3 baths3,154 sq. ft.213 Spring Beauty Dr, WILLIAMSTOWN, NJ 08094
MLS# NJGL2066708Listed by: BHHS FOX & ROACH-MULLICA HILL SOUTH - Open Sat, 11am to 1pmNew
$499,500Active3 beds 2 baths1,716 sq. ft.504 Castlebay Dr, WILLIAMSTOWN, NJ 08094
MLS# NJGL2066870Listed by: KELLER WILLIAMS REALTY - WASHINGTON TOWNSHIP - Coming Soon
$340,000Coming Soon4 beds 2 baths1638 Red Oak Rd, WILLIAMSTOWN, NJ 08094
MLS# NJGL2066786Listed by: KELLER WILLIAMS REALTY - WASHINGTON TOWNSHIP