0 Sunnyhill Ave/mary Duffy Dr, Williamstown, NJ 08094
Local realty services provided by:Better Homes and Gardens Real Estate Valley Partners
0 Sunnyhill Ave/mary Duffy Dr,Williamstown, NJ 08094
$699,890
- 7.1 Acres
- Lots / Land
- Active
Listed by: thomas p. duffy
Office: keller williams realty - washington township
MLS#:NJGL2071222
Source:BRIGHTMLS
Price summary
- Price:$699,890
- Monthly HOA dues:$23.75
About this home
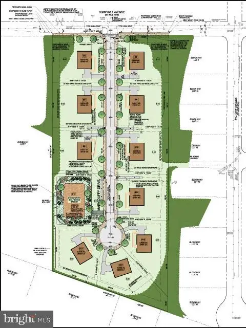
RESIDENTIAL DEVELOPMENT OPPORTUNITY: Rare opportunity to acquire a fully approved 10-lot residential subdivision in desirable Monroe Township, New Jersey. Buyers should independently verify with the township any potential tax abatement opportunities associated with the lots. Skip the entitlement risk, township meetings, added costs, and lengthy approval timelines—subdivision approvals are already in place, allowing you to move directly into site work and vertical construction planning. Property Highlights:10 buildable lots with final subdivision approvals in hand. Located in Monroe Township, NJ, a strong growth market with public sewer availability. Subdivision approvals are complete, with supporting documents available upon request. Phase I Environmental Report completed on June 24, 2025, and available for review. Prime location with convenient access to major roadways, schools, shopping, and everyday amenities. Ideal For: Builders, small- to mid-size developers, and investor groups seeking a manageable project to quickly add to their development pipeline. Due Diligence / Access: Subdivision approvals, plans, and related documents are available for review upon request....
Contact an agent
Home facts
- Listing ID #:NJGL2071222
- Added:50 day(s) ago
- Updated:May 24, 2026 at 01:31 PM
Structure and exterior
- Lot area:7.1 Acres
- Lot Features:Backs to Trees, Premium, Private, Subdivision Possible, Trees/Wooded
Utilities
- Water:Well Required
- Sewer:Public Hook/Up Avail
Finances and disclosures
- Price:$699,890
- Tax amount:$2,310 (2025)
New listings near 0 Sunnyhill Ave/mary Duffy Dr
- Coming Soon
$374,900Coming Soon4 beds 3 baths528 Denise Ct, WILLIAMSTOWN, NJ 08094
MLS# NJGL2073490Listed by: EXP REALTY, LLC - New
$349,900Active4 beds 2 baths2,422 sq. ft.343 Blue Bell Rd, WILLIAMSTOWN, NJ 08094
MLS# NJGL2073618Listed by: A J FALCIANI REALTY - Coming SoonOpen Sat, 12 to 3pm
$485,000Coming Soon3 beds 3 baths207 Dickens Ct, WILLIAMSTOWN, NJ 08094
MLS# NJGL2073592Listed by: FOX & FOXX REALTY LLC - Coming Soon
$675,000Coming Soon4 beds 3 baths74 Candlewood Rd, WILLIAMSTOWN, NJ 08094
MLS# NJGL2073536Listed by: RE/MAX COMMUNITY-WILLIAMSTOWN - Open Sun, 11am to 3pmNew
$600,000Active5 beds 4 baths2,567 sq. ft.2429 Sunnyhill Ave, WILLIAMSTOWN, NJ 08094
MLS# NJGL2073572Listed by: KELLER WILLIAMS REALTY - MOORESTOWN - Coming SoonOpen Fri, 5 to 7pm
$649,890Coming Soon4 beds 4 baths312 Bon Air Dr, WILLIAMSTOWN, NJ 08094
MLS# NJGL2073442Listed by: KELLER WILLIAMS REALTY - WASHINGTON TOWNSHIP - Coming Soon
$375,000Coming Soon4 beds 2 baths622 Westover Ct, WILLIAMSTOWN, NJ 08094
MLS# NJGL2070740Listed by: WEICHERT REALTORS-MULLICA HILL - New
$999,999Active25.81 AcresPenny Pot Rd, WILLIAMSTOWN, NJ 08094
MLS# NJGL2073212Listed by: AGENT06 LLC - New
$235,000Active3 beds 2 baths1,536 sq. ft.45 Carroll Ave, WILLIAMSTOWN, NJ 08094
MLS# NJGL2072334Listed by: WEICHERT REALTORS-TURNERSVILLE - New
$250,000Active4 beds 2 baths1,780 sq. ft.1879 York Ave, WILLIAMSTOWN, NJ 08094
MLS# NJGL2073476Listed by: TOWNSHIP REALTY