Athboy Road, Marlboro, NY 12542
Local realty services provided by:Better Homes and Gardens Real Estate Choice Realty
Athboy Road,Marlboro, NY 12542
$499,000
- 19.1 Acres
- Lots / Land
- Active
Listed by: virginia corbett
Office: exp realty
MLS#:934848
Source:OneKey MLS
Price summary
- Price:$499,000
About this home
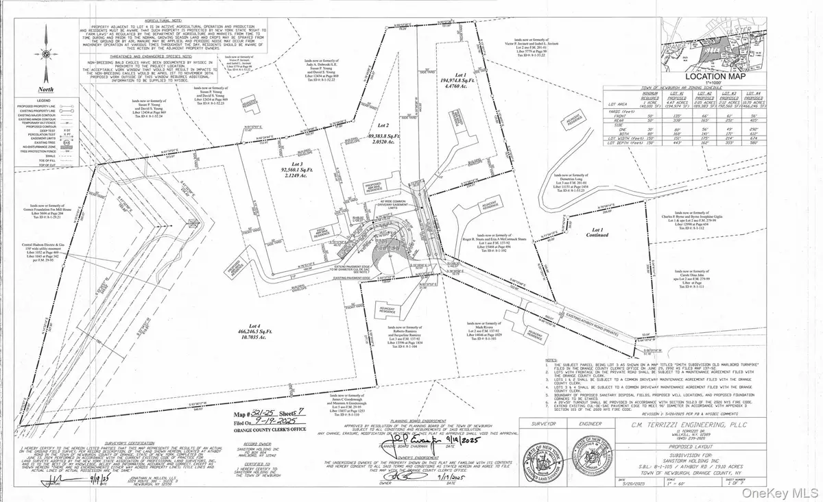
Calling all builders! This 19.1 acre, fully approved four lot subdivision offers a "shovel ready" opportunity for builders seeking a streamlined project in the Marlboro School District. All engineering, Board of Health approvals, septic designs, and roadway plans are complete, allowing a developer to move directly into construction without delays. The subdivision includes four well proportioned lots: Lot 1 with 4.47 acres, Lot 2 with 2.05 acres, Lot 3 with 2.12 acres, and Lot 4 with 10.7 acres, all arranged around a cul de sac design that supports a range of home styles and site plans. Further subdivision of the largest lot is possible in 3 years.
The topography and lot configuration provide flexibility for builders who want to offer homes with outdoor entertaining space, walkout lower levels, or views depending on the final building design. With the groundwork already completed, this property allows a builder to focus on construction and marketing rather than navigating the approval process.
This offering delivers a strong development opportunity in a desirable Hudson Valley location. With its multiple approved homesites and accessible acreage, it is well suited for builders looking to bring new construction to market efficiently and with confidence.
Contact an agent
Home facts
- Listing ID #:934848
- Added:1 day(s) ago
- Updated:November 15, 2025 at 12:19 AM
Structure and exterior
- Lot area:19.1 Acres
Schools
- High school:Marlboro Central High School
- Middle school:Marlboro Middle School
- Elementary school:Marlboro Elementary School
Finances and disclosures
- Price:$499,000
- Tax amount:$3,650 (2025)
New listings near Athboy Road
- New
$349,999Active3 beds 1 baths1,332 sq. ft.317 Lattintown Road, Marlboro, NY 12542
MLS# 934343Listed by: KELLER WILLIAMS HUDSON VALLEY - Open Sun, 1 to 3pmNew
$499,000Active3 beds 3 baths2,222 sq. ft.102 Old Post Road, Marlboro, NY 12542
MLS# 931782Listed by: BHHS HUDSON VALLEY PROPERTIES - New
$549,000Active3 beds 2 baths1,514 sq. ft.350 Old Post Road, Marlboro, NY 12542
MLS# 931863Listed by: EREALTY ADVISORS, INC - Coming Soon
$450,000Coming Soon4 beds 2 baths624 Huckleberry Turnpike, Marlboro, NY 12542
MLS# 931315Listed by: JOHN J LEASE REALTORS INC
$749,500Active4 beds 3 baths3,400 sq. ft.20 Dogwood Lane, Marlboro, NY 12542
MLS# 907994Listed by: KELLER WILLIAMS REALTY PARTNER
$649,995Active4 beds 5 baths4,000 sq. ft.348 Old Post Road, Marlboro, NY 12542
MLS# 926094Listed by: RPB REALTY
$1,675,000Active5 beds 7 baths5,072 sq. ft.46 Idlewild Road, Marlboro, NY 12542
MLS# 927795Listed by: CORCORAN COUNTRY LIVING- Open Sun, 1 to 3pm
$549,000Active3 beds 2 baths1,171 sq. ft.143 Old Post Road, Marlboro, NY 12542
MLS# 923789Listed by: BHHS HUDSON VALLEY PROPERTIES
$720,000Active3 beds 2 baths2,480 sq. ft.7 Mount Rose Road, Marlboro, NY 12542
MLS# 923525Listed by: REAL BROKER NY LLC