Crescent Dr, Forest Grove, OR 97116
Local realty services provided by:Better Homes and Gardens Real Estate Realty Partners
Crescent Dr,Forestgrove, OR 97116
$190,000
- 0 Acres
- Lots / Land
- Active
Listed by:elias berhanu
Office:realty first
MLS#:450407982
Source:PORTLAND
Price summary
- Price:$190,000
About this home
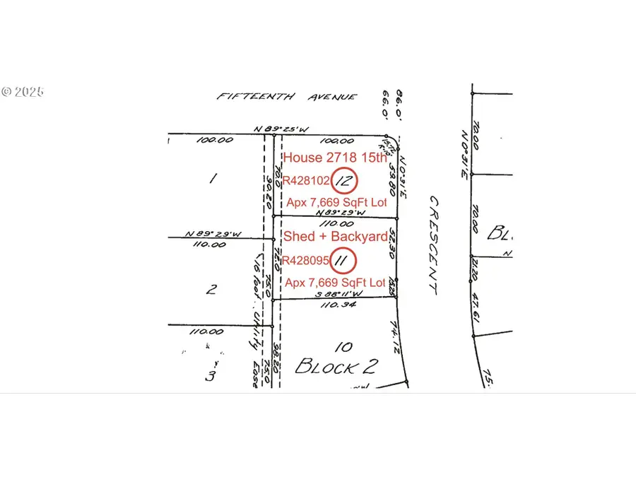
SHEELAR MANOR, BLOCK 2, LOT 11. Approximate 7,669 SqFt Lot.Buyer is encouraged to conduct their own due diligence with the City and County to explore the full range of building options and zoning possibilities. Seize the chance to start fresh!
Contact an agent
Home facts
- Listing ID #:450407982
- Added:189 day(s) ago
- Updated:September 20, 2025 at 12:17 AM
Schools
- High school:Forest Grove
- Middle school:Neil Armstrong
- Elementary school:Joseph Gale
Finances and disclosures
- Price:$190,000
- Tax amount:$1,159 (2024)
New listings near Crescent Dr
- New$225,000Active3 beds 2 baths1,296 sq. ft.
4403 Wagon Wheel Cir, ForestGrove, OR 97116
MLS# 666101931Listed by: BERKSHIRE HATHAWAY HOMESERVICES NW REAL ESTATE - Open Sun, 11am to 1pmNew$558,000Active4 beds 2 baths2,640 sq. ft.
534 Watercrest Rd, ForestGrove, OR 97116
MLS# 700555019Listed by: URBAN NEST REALTY - New$889,946Active5 beds 4 baths3,726 sq. ft.
3317 Butte Dr, ForestGrove, OR 97116
MLS# 509271180Listed by: STONE BRIDGE REALTY, INC - Open Thu, 12 to 4pmNew$399,900Active3 beds 3 baths1,563 sq. ft.
3559 Chestnut St #Lot 43, ForestGrove, OR 97116
MLS# 144219374Listed by: KELLER WILLIAMS SUNSET CORRIDOR - Open Thu, 12 to 4pmNew$399,900Active3 beds 3 baths1,563 sq. ft.
3613 Chestnut St #Lot 48, ForestGrove, OR 97116
MLS# 702073033Listed by: KELLER WILLIAMS SUNSET CORRIDOR - New$225,000Active2 beds 1 baths834 sq. ft.
3404 19th Ave #215, ForestGrove, OR 97116
MLS# 403311040Listed by: SUMMA REAL ESTATE GROUP - $450,000Pending3 beds 2 baths1,383 sq. ft.
2750 Maywood Dr, ForestGrove, OR 97116
MLS# 134175843Listed by: JOHNSON REAL ESTATE BROKERS, P.C. - New$525,000Active3 beds 2 baths1,296 sq. ft.
1119 Hawthorne St, ForestGrove, OR 97116
MLS# 317834226Listed by: GENESIS REALTY - New$165,000Active3 beds 2 baths1,188 sq. ft.
3300 Main St #110, ForestGrove, OR 97116
MLS# 341173175Listed by: JOHN L. SCOTT MARKET CENTER - Open Sat, 11am to 4:30pmNew$582,995Active4 beds 3 baths2,332 sq. ft.
2002 Aspen Ln, ForestGrove, OR 97116
MLS# 252364152Listed by: D. R. HORTON, INC PORTLAND