9th, Metolius, OR 97741
Local realty services provided by:Better Homes and Gardens Real Estate Equinox
9th,Metolius, OR 97741
$2,700,000
- 37.95 Acres
- Lots / Land
- Active
Listed by:erin campbell541-410-0872
Office:re/max key properties
MLS#:220210276
Source:OR_SOMLS
Price summary
- Price:$2,700,000
About this home
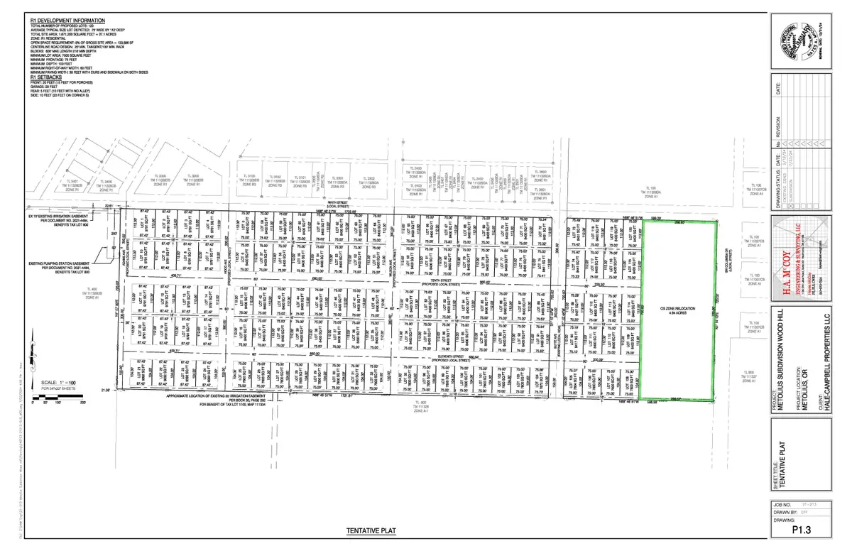
Prime development opportunity in the growing community of Metolius, Oregon. This 37.95-acre parcel is zoned R-1, with Preliminary Plat Approval in place for 120 single-family detached homes. This land is located within city limits, with flat topography and utilities available at site, making it ideal for development. Phase one engineering is underway with 25 lots. Whether you're a builder, developer, or investor looking for a shovel-ready subdivision project, this opportunity checks all the boxes.
Contact an agent
Home facts
- Listing ID #:220210276
- Added:16 day(s) ago
- Updated:October 24, 2025 at 02:51 PM
Structure and exterior
- Lot area:37.95 Acres
Utilities
- Water:Public
- Sewer:Public Sewer
Finances and disclosures
- Price:$2,700,000
- Tax amount:$2,329 (2025)
New listings near 9th
$339,900Pending3 beds 2 baths1,608 sq. ft.667 Liberty, Metolius, OR 97741
MLS# 220208600Listed by: KELLER WILLIAMS REALTY CENTRAL OREGON
$449,900Active3 beds 2 baths1,316 sq. ft.416 6th, Metolius, OR 97741
MLS# 220207857Listed by: JOHN L SCOTT BEND
$389,000Active3 beds 2 baths1,958 sq. ft.443 9th St, Metolius, OR 97741
MLS# 270701468Listed by: THE 503 REAL ESTATE CO.
$349,900Active3 beds 2 baths1,133 sq. ft.518 SW 6th St, Metolius, OR 97741
MLS# 198104362Listed by: MORE REALTY
$357,500Active3 beds 2 baths1,230 sq. ft.516 SW 6th, Metolius, OR 97741
MLS# 220206913Listed by: MORE REALTY, INC.
$349,900Active3 beds 2 baths1,133 sq. ft.518 SW 6th, Metolius, OR 97741
MLS# 220206917Listed by: MORE REALTY, INC.
$525,000Active-- beds -- baths2,016 sq. ft.573 7th, Metolius, OR 97741
MLS# 220204885Listed by: KELLER WILLIAMS REALTY CENTRAL OREGON
$70,000Active2 beds 2 baths924 sq. ft.346 SW Dover, Metolius, OR 97741
MLS# 220202296Listed by: REALTY ONE GROUP DISCOVERY
$349,000Active3 beds 2 baths1,346 sq. ft.541 Sunrise, Metolius, OR 97741
MLS# 220202192Listed by: LEGACY REALTY LLC