0 Melrose Rd, Roseburg, OR 97471

Local realty services provided by:Better Homes and Gardens Real Estate Realty Partners
0 Melrose Rd,Roseburg, OR 97471
$556,000
  • 2 Acres
  • Lots / Land
  • Active
Listed by: marilyn kittelman
Office: cutting edge real estate541-580-8988
MLS#:346690765
Source:PORTLAND

Price summary

  • Price:$556,000

About this home

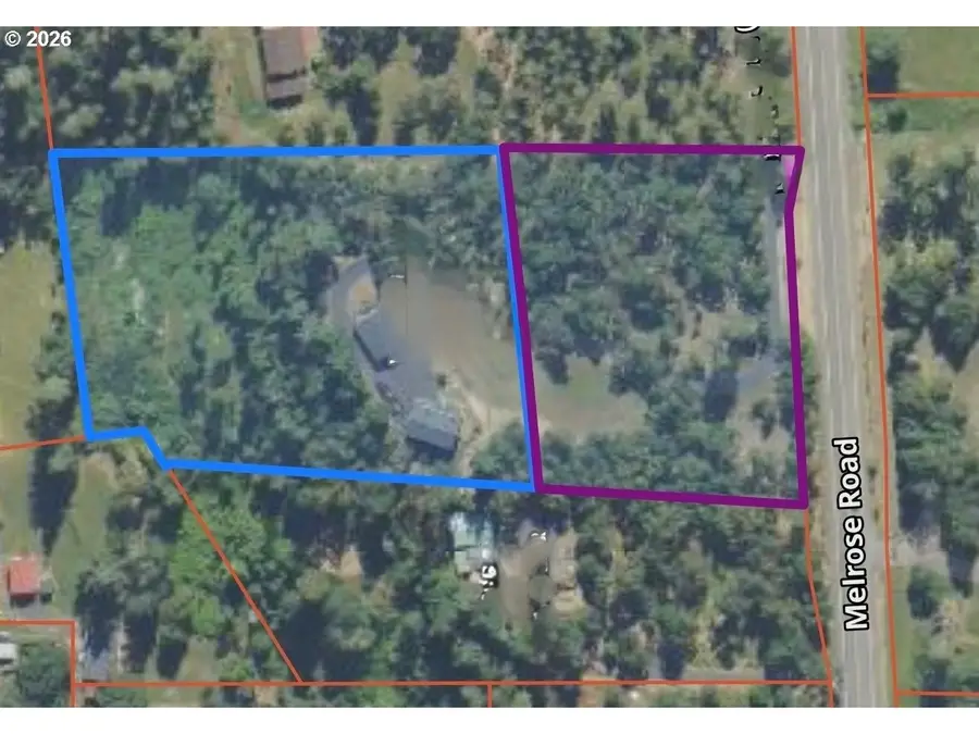
THE PRICE IS $169,000 for this 2 acres - This stupid program wont let me adjust it until Monday when the RMLS office in Portland "fixes" it...This is a beautiful place to build your new home in the very desirable Melrose area. County planning has confirmed that zoning allows for a two acre partition from the current five acre property located at 4447 Melrose. Seller will make application for partition and septic testing as soon as your offer is accepted. There is a nice area for a home, a paved driveway runs through the property which was resurfaced in 2024 and also a beautiful gated access.Looking for even more possibilities? The adjoining property has a fabulous home and an additional three acres (see ML #283892105) so you can talk your friend into purchasing next door or buy them both at a significant discount ideal for multi-generational living or investment potential.Please note: property taxes will be assessed by the county upon partition. Buyers planning to use VA, USDA, or FHA...

Contact an agent

contact an agent

Yes, I would like more information. Please use and/or share my information with a BHGRE®  affiliated agent to contact me about my real estate needs. By clicking Send message, I request to be contacted by phone or text message and consent to being contacted by automated means. I understand that my consent to receive calls or texts is not a condition of purchasing any property, goods, or services. Alternatively, I understand that I can access real estate services by email or I can contact the agent myself.

If a BHGRE®  affiliated agent is not available in the area where I need assistance, I agree to be contacted by a real estate agent affiliated with another brand owned or licensed by Anywhere Real Estate (CENTURY 21® , Coldwell Banker® , Corcoran® , ERA® , Sotheby's International Realty® ).
 I acknowledge that I have read and agree to theTerms of useandPrivacy notice

Home facts

  • Listing ID #:346690765
  • Added:1 day(s) ago
  • Updated:April 25, 2026 at 11:18 AM

Structure and exterior

  • Lot area:2 Acres
  • Lot Features:Gated, Trees, Wooded

Schools

  • High school:Roseburg
  • Middle school:Fremont
  • Elementary school:Melrose

Utilities

  • Water:Water Available

Finances and disclosures

  • Price:$556,000
MLS LogoAll information provided is deemed reliable but is not guaranteed and should be independently verified. The content relating to real estate for sale on this web site comes in part from the IDX program of the RMLS of Portland Oregon. Real estate listings held by brokerage firms other than Better Homes and Gardens Real Estate Realty Partners are marked with the RMLS logo and detailed information about these properties includes the names of the listing brokers. Copyright 2026 RMLS, Portland, Oregon. Last updated: April 25, 2026