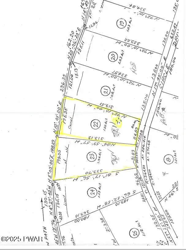
22 & 23 Circle Drive, Hawley, PA 18428

Local realty services provided by:Better Homes and Gardens Real Estate Wilkins & Associates
22 & 23 Circle Drive,Hawley, PA 18428
$165,000
  • 1.96 Acres
  • Lots / Land
  • Active
Listed by: robert mcginnis
Office: coldwell banker lakeview realtors
MLS#:PW260752
Source:PA_PWAR

Price summary

  • Price:$165,000

About this home

STUNNING DOUBLE LOT OVERLOOKING LACKAWAXEN RIVER- FANTASTIC VIEWS! 1.96 acres , No HOA restrictions. No HOA restrictions! A charming 5-ft wide walking path leads you to the nearby towpath. Recent survey and perc tests completed. No deeded river access with 195 ft. of road frontage on a paved road, this property offers magnificent river views and endless potential.

Contact an agent

contact an agent

Yes, I would like more information. Please use and/or share my information with a BHGRE®  affiliated agent to contact me about my real estate needs. By clicking Send message, I request to be contacted by phone or text message and consent to being contacted by automated means. I understand that my consent to receive calls or texts is not a condition of purchasing any property, goods, or services. Alternatively, I understand that I can access real estate services by email or I can contact the agent myself.

If a BHGRE®  affiliated agent is not available in the area where I need assistance, I agree to be contacted by a real estate agent affiliated with another brand owned or licensed by Anywhere Real Estate (CENTURY 21® , Coldwell Banker® , Corcoran® , ERA® , Sotheby's International Realty® ).
 I acknowledge that I have read and agree to theTerms of useandPrivacy notice

Home facts

  • Listing ID #:PW260752
  • Added:49 day(s) ago
  • Updated:May 22, 2026 at 02:15 PM

Structure and exterior

  • Lot area:1.96 Acres
  • Lot Features:Wetlands, Wooded Lot

Utilities

  • Water:Public
  • Sewer:Perc Test On File

Finances and disclosures

  • Price:$165,000
  • Tax amount:$728
Copyright 2026 Pike Wayne MLS. All rights reserved. Listings courtesy of Pike Wayne MLS MLS as distributed by MLS GRID<lastMLSCheckTimestamp>. Pike Wayne MLS provides content displayed here (“provided content”) on an “as is” basis and makes no representations or warranties regarding the provided content, including, but not limited to those of non-infringement, timeliness, accuracy, or completeness. Individuals and companies using information presented are responsible for verification and validation of information they utilize and present to their customers and clients. Pike Wayne MLS MLS will not be liable for any damage or loss resulting from use of the provided content or the products available through Portals, IDX, VOW, and/or Syndication. Recipients of this information shall not resell, redistribute, reproduce, modify, or otherwise copy any portion thereof without the expressed written consent of Pike Wayne MLS.