0 Ebony Road, Edgefield, SC 29824
Local realty services provided by:Better Homes and Gardens Real Estate Elliott Coastal Living
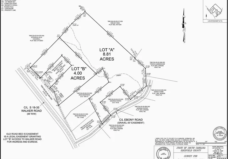
0 Ebony Road,Edgefield, SC 29824
$65,000
- 8.81 Acres
- Lots / Land
- Active
Listed by: brian katonak
Office: starnes realty inc
MLS#:543577
Source:NC_CCAR
Price summary
- Price:$65,000
About this home
Looking for land in the country? Here is 8.81 acres of wooded pristine land which will afford you privacy and solitude. The survey that is in the photos was done in 2025, so you have an accurate layout of the parcel. Only 15 minutes from Edgefield, this parcel is on Ebony Road which is directly off of Walker Road. You are not handcuffed by restrictions, so manufactured home are permitted. There is a creek that meanders through the property. With very few neighbors, this could be your country estate. At this attractive price, it won't last long.
Contact an agent
Home facts
- Listing ID #:543577
- Added:73 day(s) ago
- Updated:December 29, 2025 at 11:14 AM
Structure and exterior
- Lot area:8.81 Acres
Schools
- High school:Strom Thurmond
- Middle school:OTHER
- Elementary school:W.E Parker
Finances and disclosures
- Price:$65,000
New listings near 0 Ebony Road
- New
$99,900Active4 beds 2 baths1,425 sq. ft.404 Columbia Road, Edgefield, SC 29824
MLS# 221034Listed by: WEICHERT, REALTORS - PENDARVIS CO. - New
$210,000Active4 beds 2 baths1,419 sq. ft.1103 Jeter Street, Edgefield, SC 29824
MLS# 220998Listed by: WEICHERT, REALTORS - PENDARVIS CO. - New
$169,900Active20 Acres20ac Ouzts Road, Edgefield, SC 29824
MLS# 550308Listed by: OLDE SOUTH PROPERTIES & INVESTMENTS
$130,000Active4 beds 2 baths2,432 sq. ft.196 Garrett Road, Edgefield, SC 29824
MLS# 220941Listed by: OLDE SOUTH PROPERTIES - AIKEN
$160,000Active3 beds 1 baths1,166 sq. ft.413 Norris Street, Edgefield, SC 29824
MLS# 549992Listed by: KELLER WILLIAMS REALTY AUGUSTA
$439,900Active3 beds 2 baths1,872 sq. ft.411 Georgia Road, Edgefield, SC 29824
MLS# 549729Listed by: RE/MAX TRUE ADVANTAGE- Open Sat, 5 to 7pm
$240,000Active3 beds 2 baths1,265 sq. ft.336 Wigfall Street, Edgefield, SC 29824
MLS# 220679Listed by: REAL BROKER LLC
$89,900Active11 Acres11ac Ouzts Road, Edgefield, SC 29824
MLS# 544940Listed by: OLDE SOUTH PROPERTIES & INVESTMENTS
$350,000Active34.92 Acres0 Edgewood Drive, Edgefield, SC 29824
MLS# 549661Listed by: WEICHERT REALTORS - PENDARVIS COMPANY
$68,500Pending2 beds 1 baths1,339 sq. ft.136 Mccary Street, Edgefield, SC 29824
MLS# 220637Listed by: DONNA HAMILTON REALTY