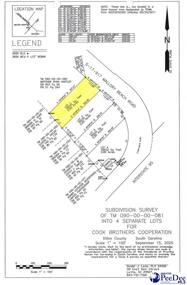
Lot 1 Mallory Beach Road, Latta, SC 29565
Local realty services provided by:Better Homes and Gardens Real Estate Segars Realty
Lot 1 Mallory Beach Road,Latta, SC 29565
$16,900
- 0.85 Acres
- Lots / Land
- Active
Listed by: sara b rogers
Office: dillon realty inc
MLS#:20254519
Source:SC_RAGPD
Price summary
- Price:$16,900
About this home
Mobile homes are allowed; however, they must meet the following criteria: 1. NO Singlewides 2. Doublewides cannot be older than a 2015. Land is already fairly cleared with brush on some lots. TRICO water does run down Catfish Church Road and Mallory Beach Road. Call TRICO to find out what it cost to tap at (843)-774-4802. You would also need to put a septic down for sewer. Perc test not conducted and would be a buyer's expense at $150 via DHEC, which you can apply for online following a signed ratified contract. Both Catfish Church Road & Mallory Beach Road are paved roads & are county-maintained roads. High speed internet is available. Cash Price $16,900. We do offer owner financing on this lot; it is as follows: *Owner financing price is $18,900, with $2,000 down payment, leaving $16,900 financed. *The owner will finance for up to 5 years at 12% interest. *Making monthly payments as follows: 1 year: $1,501.54/mo. 2 years: $795.54/mo. 3 years: $561.32/mo. 4 years: $445.04/mo. 5 years: $375.93/mo. 6 years: $330.40/mo. 7 years: $298.33/mo. **PUT IN 821 Mallory Beach Road, Latta, SC into GPS and it will take you to where all the lots are located.**
Contact an agent
Home facts
- Listing ID #:20254519
- Added:4 day(s) ago
- Updated:December 09, 2025 at 03:43 PM
Structure and exterior
- Lot area:0.85 Acres
Schools
- High school:Latta
- Middle school:Latta
- Elementary school:Latta
Finances and disclosures
- Price:$16,900
- Tax amount:$16
New listings near Lot 1 Mallory Beach Road
- New
$19,900Active0.7 AcresTBD Catfish Court, Latta, SC 29565
MLS# 20254546Listed by: RE/MAX PROFESSIONALS - New
$16,900Active0.81 AcresLot 4 Mallory Beach Road, Latta, SC 29565
MLS# 20254528Listed by: DILLON REALTY INC - New
$16,900Active0.97 AcresLot 5 Mallory Beach Road, Latta, SC 29565
MLS# 20254529Listed by: DILLON REALTY INC - New
$16,900Active0.96 AcresLot 6 Mallory Beach Road, Latta, SC 29565
MLS# 20254530Listed by: DILLON REALTY INC - New
$19,900Active3.12 AcresLot 1 Catfish Church Road, Latta, SC 29565
MLS# 20254525Listed by: DILLON REALTY INC - New
$16,900Active0.66 AcresLot 2 Catfish Church Road, Latta, SC 29565
MLS# 20254526Listed by: DILLON REALTY INC - New
$16,900Active0.93 AcresLot 7 Mallory Beach Road, Latta, SC 29565
MLS# 20254522Listed by: DILLON REALTY INC - New
$16,900Active1.07 AcresLot 8 Mallory Beach Road, Latta, SC 29565
MLS# 20254523Listed by: DILLON REALTY INC - New
$16,900Active0.63 AcresLot 3 Mallory Beach Road, Latta, SC 29565
MLS# 20254520Listed by: DILLON REALTY INC