0 Green Street, Laurens, SC 29360
Local realty services provided by:Better Homes and Gardens Real Estate Young & Company
0 Green Street,Laurens, SC 29360
$140,000
- 0 Acres
- Lots / Land
- Active
Listed by: kent prain
Office: bhhs c dan joyner - midtown
MLS#:1586482
Source:SC_GGAR
Price summary
- Price:$140,000
About this home
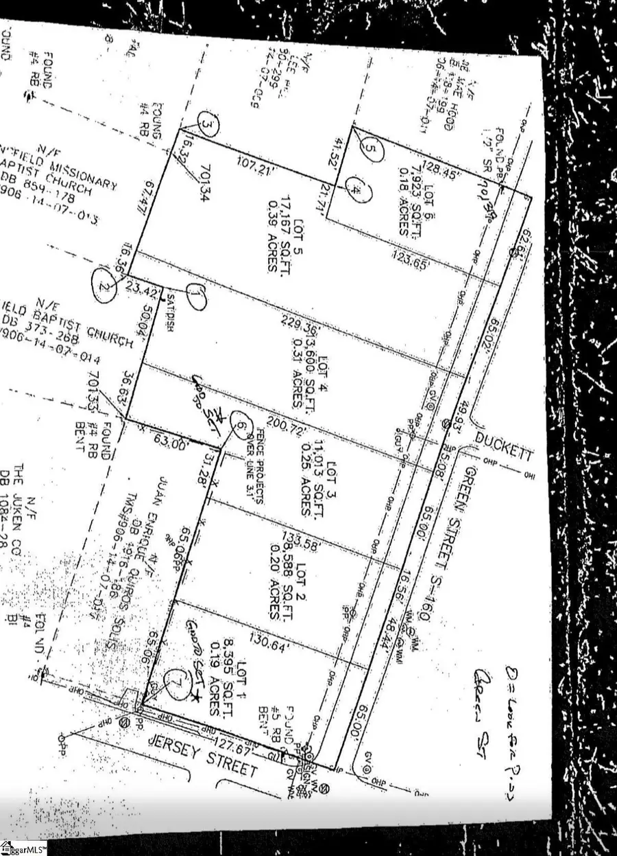
Unlock an exceptional investment opportunity with this 1.5-acre parcel subdivided into six individual lots. The property is cleared, level, and development-ready—ideal for builders, investors, or those looking to create a small residential community. Utilities are available, streamlining the construction process. With its versatile layout and ready-to-build condition, this property offers outstanding potential. Buyers are encouraged to verify residential requirements and restrictions with the City of Laurens.
Contact an agent
Home facts
- Listing ID #:1586482
- Added:44 day(s) ago
- Updated:May 15, 2026 at 01:46 AM
Structure and exterior
- Lot Features:1 - 2 Acres, Corner Lot, Open Lot
Schools
- High school:Laurens Dist 55
- Middle school:Laurens
- Elementary school:Laurens
Utilities
- Water:Public
- Sewer:Public Sewer
Finances and disclosures
- Price:$140,000
- Tax amount:$391
New listings near 0 Green Street
- New
$350,000Active0 Acres00 Highway 76 West, Laurens, SC 29360
MLS# 1591739Listed by: EXP REALTY LLC - New
$329,500Active3 beds 2 baths401 Woodland Way, Laurens, SC 29360
MLS# 1591637Listed by: FATHOM REALTY - WOODRUFF RD. - New
$589,000Active4 beds 3 baths218 Adair Place, Laurens, SC 29630
MLS# 1591521Listed by: KELLER WILLIAMS GREENVILLE CENTRAL - New
$207,000Active2 beds 2 baths1003 W Main Street, Laurens, SC 29360
MLS# 1591373Listed by: SIMPSON LAND AND HOME - New
$525,000Active3 beds 2 baths7446 Neely Ferry Road, Laurens, SC 29360
MLS# 1591293Listed by: KELLER WILLIAMS GRV UPST - New
$164,360Active3 beds 2 baths400 Meadow Road, Laurens, SC 29360
MLS# 1590871Listed by: HERLONG SOTHEBY'S INTERNATIONAL REALTY - New
$499,900Active4 beds 3 baths208 Pinehaven Street, Laurens, SC 29360
MLS# 1590742Listed by: KELLER WILLIAMS ONE - New
$190,000Active3 beds 2 baths300 London Drive, Laurens, SC 29360
MLS# 1590714Listed by: EPIQUE REALTY INC - New
$72,000Active1 beds 1 baths318 Cora Street, Laurens, SC 29360
MLS# 1590704Listed by: EPIQUE REALTY INC - New
$277,990Active3 beds 3 baths205 Pengrove Place, Laurens, SC 29360
MLS# 1590643Listed by: D.R. HORTON