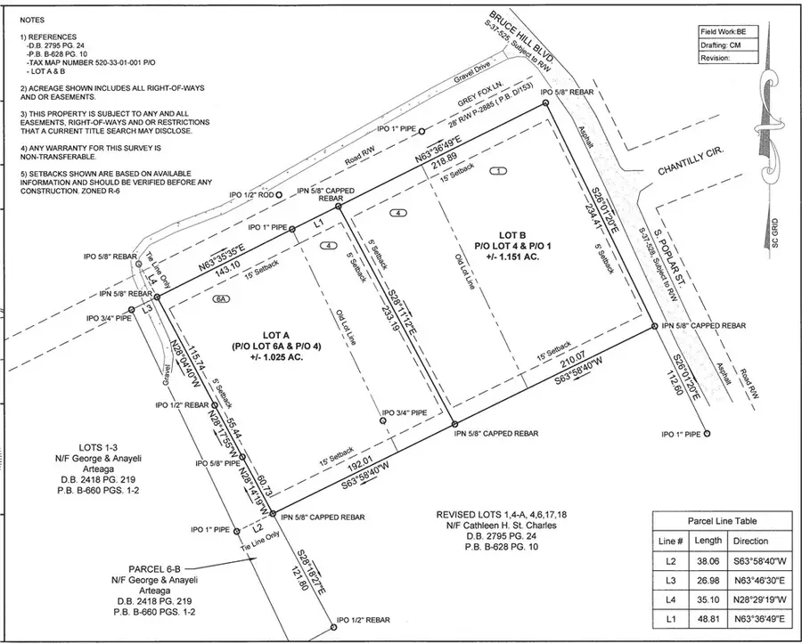
TBD - Lot A Grey Fox Lane, Seneca, SC 29678
Local realty services provided by:Better Homes and Gardens Real Estate Medley
TBD - Lot A Grey Fox Lane,Seneca, SC 29678
$65,000
- 1.03 Acres
- Lots / Land
- Active
Listed by: tookie nemchak
Office: northgroup real estate - greenville
MLS#:20297072
Source:SC_AAR
Price summary
- Price:$65,000
About this home
The best of both worlds. Privacy and location! This over an acre, wooded private lot is oh so close to all that downtown Seneca has to offer. Easy build sites on this rare downtown Seneca location. Steps from Ram Cat Alley, the Lunney Museum and easy access to shopping and excellent dining opportunities. Public water and sewer available. Listed individually or with the 1.151 acre lot next door as a package. Seller is in the process of obtaining new tax map numbers. Refer to the survey in the pictures for accurate lot info. Parcel map on the MLS is INACCURATE and shows the original lot.
Contact an agent
Home facts
- Listing ID #:20297072
- Added:6 day(s) ago
- Updated:February 11, 2026 at 03:25 PM
Structure and exterior
- Lot area:1.03 Acres
Schools
- High school:Seneca High
- Middle school:Seneca Middle
- Elementary school:Northside Elem
Finances and disclosures
- Price:$65,000
New listings near TBD - Lot A Grey Fox Lane
- New
$230,000Active3 beds 1 baths310 Gracie Street, Seneca, SC 29678
MLS# 20297254Listed by: RE/MAX MOVES - FOUNTAIN INN
$487,990Pending3 beds 4 baths245 Summerall Lane, Seneca, SC 29678
MLS# 1581346Listed by: DRB GROUP SOUTH CAROLINA, LLC- New
$267,500Active3 beds 2 baths401 Margie Court, Seneca, SC 29678
MLS# 20297153Listed by: HOWARD HANNA ALLEN TATE - LAKE KEOWEE SENECA - New
$825,000Active3 beds 3 baths104 Emerald Pointe Drive, Seneca, SC 29672
MLS# 1581259Listed by: KELLER WILLIAMS GREENVILLE CENTRAL - New
$3,495,000Active5 beds 6 baths4,639 sq. ft.639 Marina Bay Drive, Seneca, SC 29672
MLS# 20297127Listed by: CLARDY REAL ESTATE - LAKE KEOWEE - New
$675,000Active3 beds 2 baths2,905 sq. ft.510 Heron Cove Circle, Seneca, SC 29672
MLS# 20296548Listed by: HOWARD HANNA ALLEN TATE - LAKE KEOWEE SENECA - New
$850,000Active3 beds 3 baths1,808 sq. ft.603 Lighthouse Court, Seneca, SC 29672
MLS# 20296636Listed by: HOWARD HANNA ALLEN TATE - MELANIE FINK & ASSOC - New
$675,000Active3 beds 2 baths510 Heron Cove Circle #Lot 64 Stillwater, Seneca, SC 29672
MLS# 1581205Listed by: HOWARD HANNA ALLEN TATE - LAKE - New
$479,000Active4 beds 3 baths404 S Old Mill Road, Seneca, SC 29678
MLS# 20297163Listed by: REAL LOCAL/REAL BROKER, LLC - New
$1,850,000Active4 beds 4 baths3,718 sq. ft.613 Lighthouse Court, Seneca, SC 29672
MLS# 20297144Listed by: HOWARD HANNA ALLEN TATE - MELANIE FINK & ASSOC