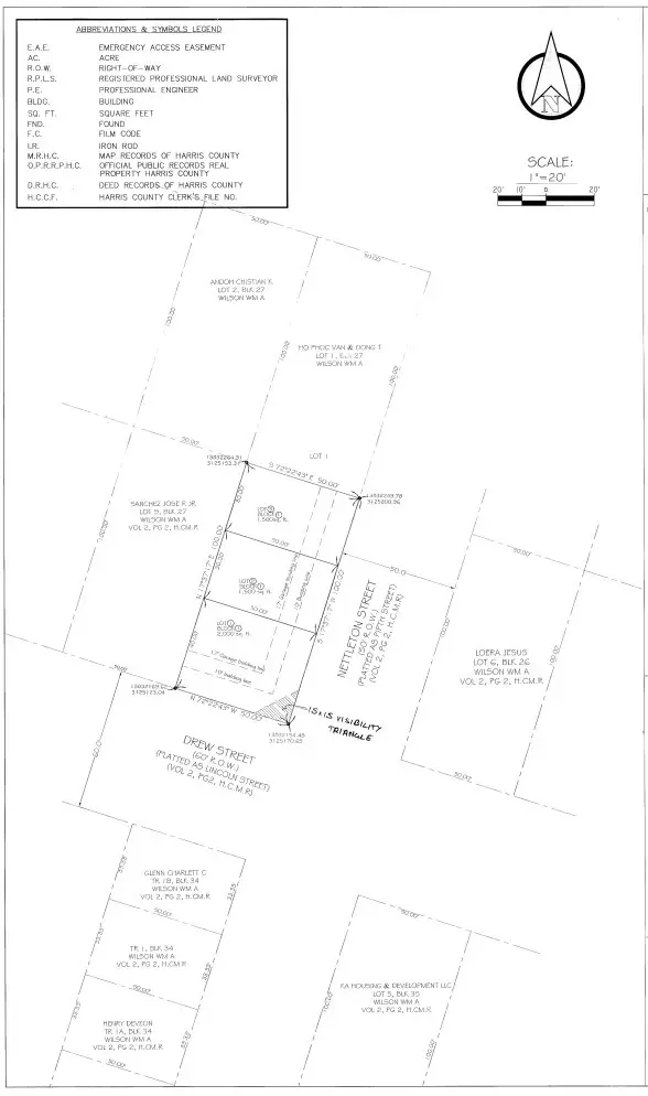
2712, 2714 & 2716 Nettleton Street, Houston, TX 77004
Local realty services provided by:Better Homes and Gardens Real Estate Hometown
2712, 2714 & 2716 Nettleton Street,Houston, TX 77004
$399,999
- 0.11 Acres
- Lots / Land
- Active
Listed by: zoya alam
Office: exp realty llc.
MLS#:84605207
Source:HARMLS
Price summary
- Price:$399,999
About this home
*SHOVEL READY* Exceptional development opportunity on a corner lot in a rapidly redeveloping inner-loop location. Property has been replatted and benefits from grandfathered-in front-loader access, a feature no longer permitted by the City, providing a rare and valuable entitlement advantage for future construction.
All major pre-development work has already been completed, significantly reducing time, cost, and risk for the next owner. Plans are ready, and the following items are fully completed and transferable:
Survey
Replat / Plat approval
Soil report
Demolition
This shovel-ready lot offers immediate build potential with regulatory advantages that are increasingly difficult to obtain. Ideal for developers or builders seeking a streamlined path to construction in a high-demand urban area. *Building plans are available upon request*
Contact an agent
Home facts
- Listing ID #:84605207
- Updated:February 11, 2026 at 12:53 PM
Structure and exterior
- Lot area:0.11 Acres
Schools
- High school:YATES HIGH SCHOOL
- Middle school:CULLEN MIDDLE SCHOOL (HOUSTON)
- Elementary school:BLACKSHEAR ELEMENTARY SCHOOL (HOUSTON)
Utilities
- Sewer:Public Sewer
Finances and disclosures
- Price:$399,999
- Tax amount:$1,996 (2025)
New listings near 2712, 2714 & 2716 Nettleton Street
- New
$384,900Active4 beds 3 baths2,416 sq. ft.8907 Aberdeen Park Drive, Houston, TX 77095
MLS# 89386522Listed by: COLDWELL BANKER REALTY - LAKE CONROE/WILLIS - New
$210,000Active3 beds 2 baths1,670 sq. ft.2326 Hazy Creek Drive, Houston, TX 77084
MLS# 55520142Listed by: O'HARA & COMPANY REAL ESTATE
$310,490Pending4 beds 3 baths1,719 sq. ft.2807 Milton Lodge Lane, Houston, TX 77051
MLS# 55878662Listed by: EXCLUSIVE PRIME REALTY, LLC- Open Sun, 11am to 1pmNew
$238,000Active3 beds 2 baths1,396 sq. ft.17218 Valemist Court, Houston, TX 77084
MLS# 11311149Listed by: KELLER WILLIAMS MEMORIAL - New
$199,900Active4 beds 2 baths1,698 sq. ft.5823 Lyndhurst Drive E, Houston, TX 77033
MLS# 11994935Listed by: SUMMIT PROPERTIES - Open Sun, 1 to 3pmNew
$285,000Active3 beds 2 baths1,546 sq. ft.922 Innsdale Drive, Houston, TX 77076
MLS# 13114787Listed by: COLDWELL BANKER REALTY - MEMORIAL OFFICE - Open Sun, 1 to 4pmNew
$315,000Active3 beds 2 baths2,138 sq. ft.5443 Kingfisher Drive, Houston, TX 77096
MLS# 15794180Listed by: WEICHERT, REALTORS - THE MURRAY GROUP - Open Sat, 1 to 4pmNew
$419,700Active3 beds 4 baths2,025 sq. ft.719 Thornton Road #B, Houston, TX 77018
MLS# 16750885Listed by: OAKHOUSE REAL ESTATE - New
$474,990Active2 beds 2 baths2,194 sq. ft.11407 Iberia Drive, Houston, TX 77065
MLS# 21403985Listed by: KELLER WILLIAMS REALTY METROPOLITAN - New
$215,000Active3 beds 2 baths1,199 sq. ft.8115 Betty Boop Street, Houston, TX 77028
MLS# 24690370Listed by: EXCLUSIVE PRIME REALTY, LLC