3406 Mansfield Street, Houston, TX 77091
Local realty services provided by:Better Homes and Gardens Real Estate Hometown
3406 Mansfield Street,Houston, TX 77091
$1,500,000
- 2.91 Acres
- Lots / Land
- Active
Listed by: mahmoud khalifa
Office: walzel properties - corporate office832-674-4960
MLS#:42451294
Source:HARMLS
Price summary
- Price:$1,500,000
About this home
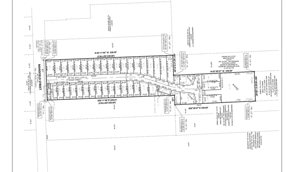
This nearly three-acre property, spanning three tax parcels (0600730230056, 0600730230011, and 0600730230096) are being platted into 40 well-proportioned lots. New Plat should be recorded by the end of September. Civil plans and permits are also up for approval, positioning the site for swift development. Located in a prime area surrounded by numerous new projects, it is just minutes from Oak Forest and Garden Oaks, with excellent access to TC Jester, The Heights, Highway 290, Interstate 45, and North Loop 610. In the heart of a rapidly transforming neighborhood and surrounded by newly constructed luxury homes, this area is quickly becoming one of Houston’s most desirable destinations. Developers and investors—seize this rare chance to build or invest in a thriving community. *All information should be independently verified by the buyer.
Contact an agent
Home facts
- Listing ID #:42451294
- Updated:April 11, 2026 at 11:46 AM
Structure and exterior
- Lot area:2.91 Acres
- Lot Features:Cleared, Split Possible
Schools
- High school:EISENHOWER HIGH SCHOOL
- Middle school:HOFFMAN MIDDLE SCHOOL
- Elementary school:HARRIS ACADEMY
Utilities
- Sewer:Public Sewer
Finances and disclosures
- Price:$1,500,000
- Tax amount:$16,720 (2024)
New listings near 3406 Mansfield Street
- Open Sun, 12 to 3pmNew
$277,900Active3 beds 2 baths1,510 sq. ft.10222 Clearwick Street, Houston, TX 77034
MLS# 10684145Listed by: KELLER WILLIAMS REALTY METROPOLITAN - New
$265,000Active1 beds 2 baths979 sq. ft.2000 Bagby Street #7412, Houston, TX 77002
MLS# 11702774Listed by: DSG REALTY - New
$1,150,000Active4 beds 2 baths2,584 sq. ft.2312 Watts Street, Houston, TX 77030
MLS# 15098647Listed by: B & W REALTY GROUP LLC - New
$204,500Active3 beds 2 baths1,180 sq. ft.919 Staffordale Manor Lane, Houston, TX 77047
MLS# 24266644Listed by: KELLER WILLIAMS REALTY PROFESSIONALS - New
$120,000Active2 beds 1 baths776 sq. ft.8055 Cambridge Street #16, Houston, TX 77054
MLS# 41027008Listed by: FOREVER REALTY, LLC - Open Sun, 3 to 5pmNew
$925,000Active4 beds 4 baths3,329 sq. ft.3326 Louvre Lane, Houston, TX 77082
MLS# 51617381Listed by: BETH WOLFF REALTORS - New
$324,900Active4 beds 3 baths2,652 sq. ft.10831 Cayman Mist Drive, Houston, TX 77075
MLS# 56195007Listed by: EXP REALTY LLC - New
$420,000Active4 beds 4 baths2,347 sq. ft.2007 Tarfite Place W, Houston, TX 77077
MLS# 56986408Listed by: JLA REALTY - New
$1,499,000Active4 beds 4 baths4,720 sq. ft.2111 Camden Creek Lane W, Houston, TX 77077
MLS# 57494806Listed by: HOMESMART - New
$835,000Active3 beds 4 baths2,572 sq. ft.3711 Somerset York Lane Lane, Houston, TX 77055
MLS# 60469605Listed by: RIVERWAY PROPERTIES