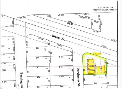
3711 Dorchester Street, Houston, TX 77016
Local realty services provided by:Better Homes and Gardens Real Estate Hometown
3711 Dorchester Street,Houston, TX 77016
$108,000
- 0.19 Acres
- Lots / Land
- Active
Listed by: bahar niksima
Office: co/max holding & realty co.
MLS#:45354895
Source:HARMLS
Price summary
- Price:$108,000
About this home
Builder's Special! Great location on 59 N. and Bennington St. (Westcott Gardens, Sec. 4). Lots 6 and 7 will be sold together, $237,000, totaling 18,456 SF. This property can be Builder's Special! Great location on 59 N. and Bennington St. (Westcott Gardens, Sec. 4). Lots 6 and 7 will be sold together, totaling 18,456 SF. This property can be replatted for six single-family units and is priced at only $39,500 per proposed lot. The attached proposal outlines a potential layout with two 1,350 SF (30'x45') units and four 1,100 SF (22'x50') units. No appointment is required to visit the land. for six single-family units and is priced at only $39,500 per proposed lot. The attached proposal outlines a potential layout with two 1,350 SF (30'x45') units and four 1,100 SF (22'x50') units. No appointment is required to visit the land.
Contact an agent
Home facts
- Listing ID #:45354895
- Updated:February 11, 2026 at 12:41 PM
Structure and exterior
- Lot area:0.19 Acres
Schools
- High school:KASHMERE HIGH SCHOOL
- Middle school:KEY MIDDLE SCHOOL
- Elementary school:PAIGE ELEMENTARY SCHOOL
Utilities
- Sewer:Public Sewer
Finances and disclosures
- Price:$108,000
- Tax amount:$1,306 (2025)
New listings near 3711 Dorchester Street
- New
$310,000Active3 beds 3 baths2,089 sq. ft.3643 Main Plaza Drive, Houston, TX 77025
MLS# 41702071Listed by: MARTHA TURNER SOTHEBY'S INTERNATIONAL REALTY - New
$384,900Active4 beds 3 baths2,416 sq. ft.8907 Aberdeen Park Drive, Houston, TX 77095
MLS# 89386522Listed by: COLDWELL BANKER REALTY - LAKE CONROE/WILLIS - New
$210,000Active3 beds 2 baths1,670 sq. ft.2326 Hazy Creek Drive, Houston, TX 77084
MLS# 55520142Listed by: O'HARA & COMPANY REAL ESTATE
$310,490Pending4 beds 3 baths1,719 sq. ft.2807 Milton Lodge Lane, Houston, TX 77051
MLS# 55878662Listed by: EXCLUSIVE PRIME REALTY, LLC- Open Sun, 11am to 1pmNew
$238,000Active3 beds 2 baths1,396 sq. ft.17218 Valemist Court, Houston, TX 77084
MLS# 11311149Listed by: KELLER WILLIAMS MEMORIAL - New
$199,900Active4 beds 2 baths1,698 sq. ft.5823 Lyndhurst Drive E, Houston, TX 77033
MLS# 11994935Listed by: SUMMIT PROPERTIES - Open Sun, 1 to 3pmNew
$285,000Active3 beds 2 baths1,546 sq. ft.922 Innsdale Drive, Houston, TX 77076
MLS# 13114787Listed by: COLDWELL BANKER REALTY - MEMORIAL OFFICE - Open Sun, 1 to 4pmNew
$315,000Active3 beds 2 baths2,138 sq. ft.5443 Kingfisher Drive, Houston, TX 77096
MLS# 15794180Listed by: WEICHERT, REALTORS - THE MURRAY GROUP - Open Sat, 1 to 4pmNew
$419,700Active3 beds 4 baths2,025 sq. ft.719 Thornton Road #B, Houston, TX 77018
MLS# 16750885Listed by: OAKHOUSE REAL ESTATE - New
$474,990Active2 beds 2 baths2,194 sq. ft.11407 Iberia Drive, Houston, TX 77065
MLS# 21403985Listed by: KELLER WILLIAMS REALTY METROPOLITAN