4510 Yoakum Boulevard, Houston, TX 77006
Local realty services provided by:Better Homes and Gardens Real Estate Hometown
4510 Yoakum Boulevard,Houston, TX 77006
$2,499,999
- 0.4 Acres
- Lots / Land
- Active
Listed by: anthony monaco
Office: elka international realty
MLS#:83024984
Source:HARMLS
Price summary
- Price:$2,499,999
About this home
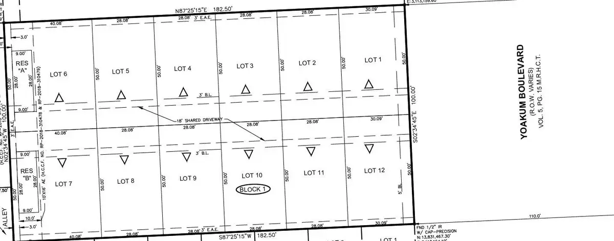
Shovel-Ready Development Opportunity – 12 Platted Single-Family Lots
Exceptional investment opportunity for builders and developers. This property has already been replated into 12 single-family residential lots, offering a streamlined path to vertical construction. All civil engineering has been completed, and architectural plans are finalized, significantly reducing time, cost, and entitlement risk.
Skip the lengthy approval process and move directly into development. With groundwork and design work already in place, this project is perfectly positioned for immediate execution and accelerated returns.
Rare chance to acquire a fully prepped residential development in a high-demand market. Contact us for plans, engineering reports, and additional details.
Contact an agent
Home facts
- Listing ID #:83024984
- Updated:April 08, 2026 at 12:19 PM
Structure and exterior
- Lot area:0.4 Acres
- Lot Features:Open Lot, Split Possible
- Architectural Style:PatioHome
Schools
- High school:LAMAR HIGH SCHOOL (HOUSTON)
- Middle school:LANIER MIDDLE SCHOOL
- Elementary school:POE ELEMENTARY SCHOOL
Utilities
- Sewer:Public Sewer
Finances and disclosures
- Price:$2,499,999
- Tax amount:$24,546 (2025)
New listings near 4510 Yoakum Boulevard
- New
$138,000Active3 beds 1 baths1,052 sq. ft.9314 Woodlyn Road, Houston, TX 77078
MLS# 17760325Listed by: HOME JOURNEY REALTORS, LLC - New
$134,000Active3 beds 2 baths1,022 sq. ft.8603 Sultan Drive, Houston, TX 77078
MLS# 29688386Listed by: HOME JOURNEY REALTORS, LLC - New
$360,000Active3 beds 2 baths1,877 sq. ft.3507 Laverne Street, Houston, TX 77080
MLS# 51183294Listed by: CB&A, REALTORS- LOOP CENTRAL - New
$161,000Active3 beds 2 baths1,034 sq. ft.9254 Richland Drive, Houston, TX 77078
MLS# 62837249Listed by: HOME JOURNEY REALTORS, LLC - New
$130,000Active3 beds 1 baths988 sq. ft.9331 Laura Koppe Road, Houston, TX 77078
MLS# 71385035Listed by: HOME JOURNEY REALTORS, LLC - New
$138,000Active3 beds 1 baths1,107 sq. ft.9330 Laura Koppe Road, Houston, TX 77078
MLS# 7464549Listed by: HOME JOURNEY REALTORS, LLC - New
$140,000Active3 beds 2 baths1,495 sq. ft.8402 Banting Street, Houston, TX 77078
MLS# 77249828Listed by: HOME JOURNEY REALTORS, LLC - New
$135,000Active3 beds 2 baths1,012 sq. ft.8602 Banting Street, Houston, TX 77078
MLS# 97955848Listed by: HOME JOURNEY REALTORS, LLC - New
$145,000Active3 beds 1 baths1,398 sq. ft.801 Redondo Drive, Houston, TX 77015
MLS# 27887578Listed by: EXECUTIVE TEXAS REALTY - Open Thu, 11am to 2pmNew
$359,900Active3 beds 3 baths1,858 sq. ft.5010 Cornish Street, Houston, TX 77007
MLS# 38528450Listed by: KELLER WILLIAMS REALTY METROPOLITAN