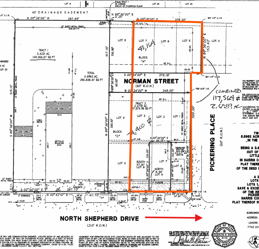
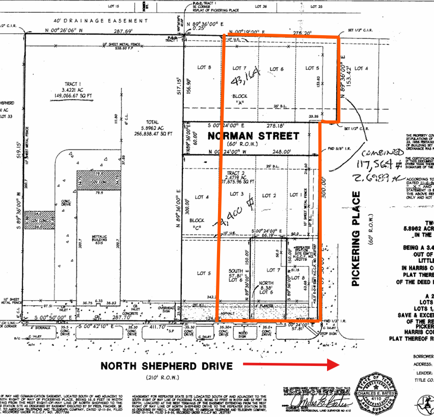
6315 N Shepherd Drive N, Houston, TX 77091
Local realty services provided by:Better Homes and Gardens Real Estate Gary Greene
6315 N Shepherd Drive N,Houston, TX 77091
$1,600,000
- 2 Acres
- Lots / Land
- Active
Listed by: amir salehian
Office: homesmart713-785-6666
MLS#:9967677
Source:HARMLS
Price summary
- Price:$1,600,000
About this home
+/- 2 acre land cleared lot with hard surface to be able to drive and park vehicles on, the +/_ 2 acres subject lot will be divided according to the highlighted parameter on the Seller's existing survey from the whole property of 6315 N. Shepherd Dr. Endless Commercial and Residential Possibilities on this corner lot with having a lot of Visibility and Signage as well as High Traffic Counts Per Day. This location has all that you need for developing your residential ideas and / or your commercial and business dreams
Contact an agent
Home facts
- Listing ID #:9967677
- Updated:April 11, 2026 at 11:46 AM
Structure and exterior
- Lot area:2 Acres
- Lot Features:Cleared, Corner Lot, Level, Open Lot, Split Possible
Schools
- High school:WASHINGTON HIGH SCHOOL
- Middle school:WILLIAMS MIDDLE SCHOOL
- Elementary school:WESLEY ELEMENTARY SCHOOL
Utilities
- Sewer:Public Sewer
Finances and disclosures
- Price:$1,600,000
New listings near 6315 N Shepherd Drive N
- Open Sun, 12 to 3pmNew
$277,900Active3 beds 2 baths1,510 sq. ft.10222 Clearwick Street, Houston, TX 77034
MLS# 10684145Listed by: KELLER WILLIAMS REALTY METROPOLITAN - New
$265,000Active1 beds 2 baths979 sq. ft.2000 Bagby Street #7412, Houston, TX 77002
MLS# 11702774Listed by: DSG REALTY - New
$1,150,000Active4 beds 2 baths2,584 sq. ft.2312 Watts Street, Houston, TX 77030
MLS# 15098647Listed by: B & W REALTY GROUP LLC - New
$204,500Active3 beds 2 baths1,180 sq. ft.919 Staffordale Manor Lane, Houston, TX 77047
MLS# 24266644Listed by: KELLER WILLIAMS REALTY PROFESSIONALS - New
$120,000Active2 beds 1 baths776 sq. ft.8055 Cambridge Street #16, Houston, TX 77054
MLS# 41027008Listed by: FOREVER REALTY, LLC - Open Sun, 3 to 5pmNew
$925,000Active4 beds 4 baths3,329 sq. ft.3326 Louvre Lane, Houston, TX 77082
MLS# 51617381Listed by: BETH WOLFF REALTORS - New
$324,900Active4 beds 3 baths2,652 sq. ft.10831 Cayman Mist Drive, Houston, TX 77075
MLS# 56195007Listed by: EXP REALTY LLC - New
$420,000Active4 beds 4 baths2,347 sq. ft.2007 Tarfite Place W, Houston, TX 77077
MLS# 56986408Listed by: JLA REALTY - New
$1,499,000Active4 beds 4 baths4,720 sq. ft.2111 Camden Creek Lane W, Houston, TX 77077
MLS# 57494806Listed by: HOMESMART - New
$835,000Active3 beds 4 baths2,572 sq. ft.3711 Somerset York Lane Lane, Houston, TX 77055
MLS# 60469605Listed by: RIVERWAY PROPERTIES