00 Frey Rd, Manvel, TX 77578

Local realty services provided by:Better Homes and Gardens Real Estate Hometown
00 Frey Rd,Manvel, TX 77578
$100,000
  • 0.16 Acres
  • Lots / Land
  • Active
Listed by: faye ausmus
Office: ausmus premier properties, llc.832-563-4157
MLS#:92557488
Source:HARMLS

Price summary

  • Price:$100,000
  • Monthly HOA dues:$19

About this home

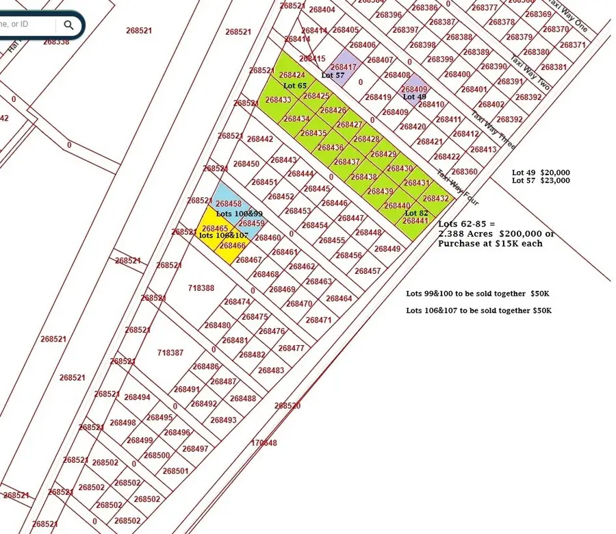
Fantastic opportunity to own an airplane hangar lot in high-growth Manvel, TX. Ideal for investors or owner-users looking to build a hangar, warehouse, or hobby storage. Various lot sizes available for aircraft storage, RVs, boats, vehicles, or recreational use. Located in a strong growth area south of Houston. Contact for site plans, pricing, and bulk purchase options. Features well-maintained grass strip, taxiway, electric, community water, and paved road access to Wolfe Airpark. Electricity and Water are Available. This 2-Lot Bundle must be bought together. Additional lots can be purchased for septic installation. You need 1/2 Acre for Septic Tank Approval. Design/build information available. Don't miss the improvements at Wolfe Airpark - Identifier: 3T2.

Contact an agent

contact an agent

Yes, I would like more information. Please use and/or share my information with a BHGRE®  affiliated agent to contact me about my real estate needs. By clicking Send message, I request to be contacted by phone or text message and consent to being contacted by automated means. I understand that my consent to receive calls or texts is not a condition of purchasing any property, goods, or services. Alternatively, I understand that I can access real estate services by email or I can contact the agent myself.

If a BHGRE®  affiliated agent is not available in the area where I need assistance, I agree to be contacted by a real estate agent affiliated with another brand owned or licensed by Anywhere Real Estate (CENTURY 21® , Coldwell Banker® , Corcoran® , ERA® , Sotheby's International Realty® ).
 I acknowledge that I have read and agree to theTerms of useandPrivacy notice

Home facts

  • Listing ID #:92557488
  • Updated:May 13, 2026 at 11:42 AM

Structure and exterior

  • Lot area:0.16 Acres
  • Lot Features:Airpark, Cleared

Schools

  • High school:MANVEL HIGH SCHOOL
  • Middle school:MANVEL JUNIOR HIGH SCHOOL
  • Elementary school:E C MASON ELEMENTARY SCHOOL

Utilities

  • Sewer:Public Sewer

Finances and disclosures

  • Price:$100,000
  • Tax amount:$180 (2025)
Copyright 2026, Houston Realtors Information Service, Inc. All information provided is deemed reliable but is not guaranteed and should be independently verified. IDX information is provided exclusively for consumers' personal, non-commercial use, it may not be used for any purpose other than to identify prospective properties consumers may be interested in purchasing, and the data is deemed reliable but is not guaranteed accurate by the MLS.