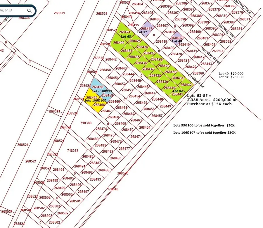
000 Lot 65-82 Wolfe Airpark, Manvel, TX 77578
Local realty services provided by:Better Homes and Gardens Real Estate Gary Greene
000 Lot 65-82 Wolfe Airpark,Manvel, TX 77578
$200,000
- 2.3 Acres
- Lots / Land
- Active
Listed by: faye ausmus
Office: ausmus premier properties, llc.
MLS#:41214525
Source:HARMLS
Price summary
- Price:$200,000
- Monthly HOA dues:$19
About this home
Bulk Lot Purchase: This is for Lots 65-81, Blk 2. Fantastic opportunity to own an airplane hangar lot in high-growth Manvel, TX. Ideal for investors or owner-users looking to build a hangar, warehouse, or hobby storage. Various lot sizes available for aircraft storage, RVs, boats, vehicles, or recreational use. Located in a strong growth area south of Houston. Contact for site plans, pricing, and bulk purchase options. Features well-maintained grass strip, taxiway, electric, community water, and paved road access to Wolfe Airpark. Electricity and Water are Available. Additional lots can be purchased for septic installation. Design/build information available. Don't miss the improvements at Wolfe Airpark - Don't miss this opportunity to save by buying multiple lots together. Identifier: 3T2.
Contact an agent
Home facts
- Listing ID #:41214525
- Updated:March 07, 2026 at 12:54 PM
Structure and exterior
- Lot area:2.3 Acres
- Lot Features:Airpark, Cleared
Schools
- High school:MANVEL HIGH SCHOOL
- Middle school:MANVEL JUNIOR HIGH SCHOOL
- Elementary school:E C MASON ELEMENTARY SCHOOL
Utilities
- Sewer:Public Sewer
Finances and disclosures
- Price:$200,000
- Tax amount:$180 (2025)
New listings near 000 Lot 65-82 Wolfe Airpark
- New
$642,758Active4 beds 4 baths3,464 sq. ft.6330 Sparkling Citrus Street, Manvel, TX 77578
MLS# 84832463Listed by: EXP REALTY LLC - New
$265,000Active4 beds 2 baths1,893 sq. ft.25 Wheeler Ridge Circle, Manvel, TX 77578
MLS# 25785287Listed by: RE/MAX AMERICAN DREAM - Open Sat, 11am to 1pmNew
$675,000Active4 beds 4 baths3,432 sq. ft.6203 Silver Lake Lane, Manvel, TX 77578
MLS# 78937418Listed by: REDFIN CORPORATION - Open Sat, 1 to 3pmNew
$619,900Active4 beds 4 baths3,841 sq. ft.9951 Chapman Trail, Manvel, TX 77578
MLS# 14985436Listed by: EXP REALTY LLC
$589,900Active4 beds 5 baths4,298 sq. ft.9514 Sanger Way, Rosharon, TX 77583
MLS# 97229624Listed by: APLOMB REAL ESTATE- Open Sun, 12:30 to 3:30pmNew
$299,000Active3 beds 2 baths1,556 sq. ft.7020 Terra Lane, Manvel, TX 77578
MLS# 84256376Listed by: KELLER WILLIAMS PREFERRED - New
$399,900Active3 beds 2 baths1,890 sq. ft.7430 Rodgers Road, Manvel, TX 77578
MLS# 42944616Listed by: VYLLA HOME - Open Sat, 11am to 1pmNew
$349,000Active4 beds 3 baths2,125 sq. ft.6739 Conroe Circle, Manvel, TX 77578
MLS# 65919523Listed by: WALZEL PROPERTIES - CORPORATE OFFICE - Open Sat, 10am to 1pmNew
$499,450Active4 beds 3 baths2,586 sq. ft.5138 Walnut Grove Lane, Manvel, TX 77578
MLS# 69587981Listed by: KELLER WILLIAMS PREFERRED - New
Listed by BHGRE$425,000Active4 beds 4 baths3,004 sq. ft.3910 Lupin Bush Lane, Manvel, TX 77578
MLS# 85668890Listed by: BETTER HOMES AND GARDENS REAL ESTATE GARY GREENE - SUGAR LAND