TBD Lot 2 Adams Road, Sherman, TX 75090
Local realty services provided by:Better Homes and Gardens Real Estate Winans
Listed by: lauren hagan
Office: re/max signature properties
MLS#:21158205
Source:GDAR
Price summary
- Price:$89,000
About this home
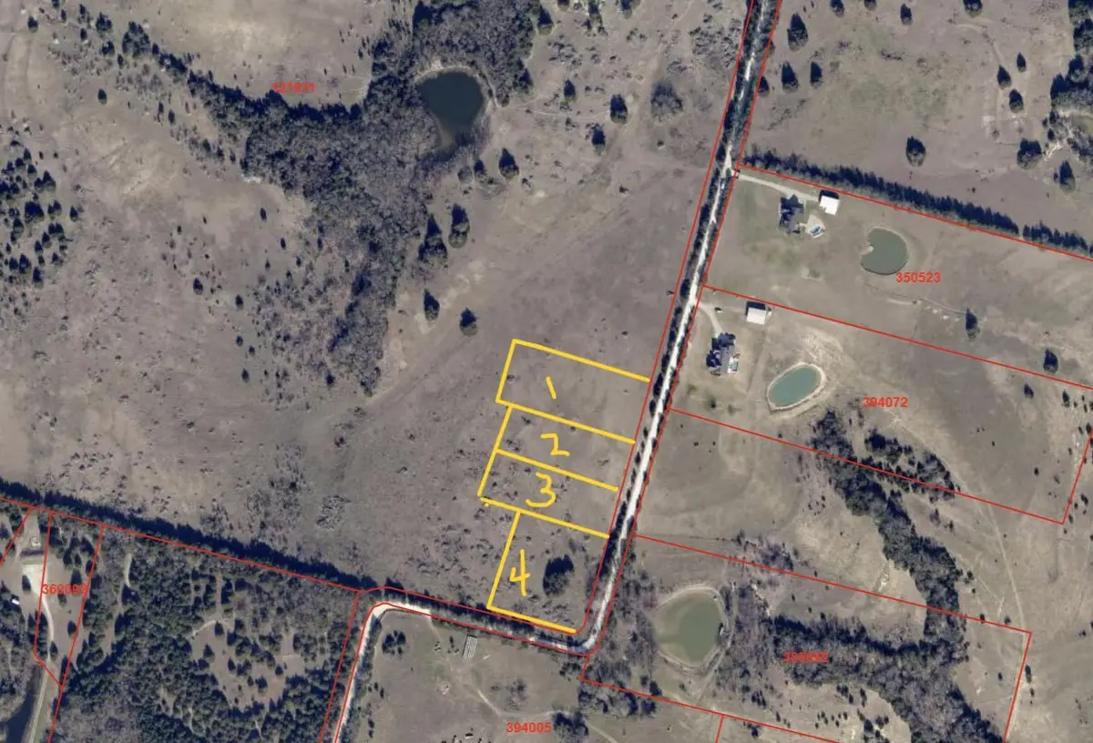
Looking for the perfect acreage for your new home? This is it! Conveniently located just a few miles outside Sherman city limits, these 1-2 acre lots offer beautiful views and peaceful serenity. Co-op water and electric service this area, individual septic system is required by the county. Desirable but limited deed restrictions are in place to protect your homestead investment. Lot 2 and 3 are each 1.0 acre listed at $89,000 each. Lot 1 is 2 acres listed at $129,000. Lot 4 is 2.148 acres listed at $140,000. These 4 lots have been subdivided out of a 150-acre parcel. Offers for larger lots of land from adjacent 146-acre and 25-acre parcels will be considered. Please register showing requests as noted in agent showing instructions. Be advised, land is in its natural state; dress accordingly and be prepared for brush, tall grass, rocks, uneven and or muddy ground surfaces, snakes, ticks, etc. Cattle may be present on the land, do not attempt to approach cattle. All info deemed reliable but not guaranteed. Buyer and buyer's agent to verify any and all information....
Contact an agent
Home facts
- Listing ID #:21158205
- Added:95 day(s) ago
- Updated:April 25, 2026 at 11:46 AM
Structure and exterior
- Lot area:1 Acres
- Lot Features:Acreage
Schools
- High school:Sherman
- Middle school:Sherman
- Elementary school:Dillingham
Finances and disclosures
- Price:$89,000
New listings near TBD Lot 2 Adams Road
- New
Listed by BHGRE$174,900Active2 beds 1 baths1,058 sq. ft.1428 S Austin Street, Sherman, TX 75090
MLS# 21249783Listed by: BETTER HOMES & GARDENS, WINANS - New
$294,999Active4 beds 2 baths1,760 sq. ft.405 Mcnelly Lane, Sherman, TX 75092
MLS# 21250572Listed by: TURNER MANGUM,LLC - New
$270,999Active3 beds 2 baths1,302 sq. ft.307 Mcnelly Lane, Sherman, TX 75092
MLS# 21250584Listed by: TURNER MANGUM,LLC - Open Sun, 12 to 3pmNew
$659,000Active3 beds 3 baths2,672 sq. ft.6027 Fm 697, Sherman, TX 75090
MLS# 21194490Listed by: HBL, REALTORS - New
$220,000Active3 beds 2 baths1,377 sq. ft.1110 N Ross Avenue, Sherman, TX 75090
MLS# 21250321Listed by: REAL BROKER, LLC - New
$291,990Active4 beds 3 baths2,208 sq. ft.3302 Catamount Drive, Sherman, TX 75090
MLS# 21249956Listed by: D.R. HORTON, AMERICA'S BUILDER - New
$324,900Active5 beds 4 baths2,271 sq. ft.833 W Pecan Street, Sherman, TX 75092
MLS# 21244212Listed by: EXP REALTY LLC - Open Sat, 1 to 3pmNew
$399,990Active4 beds 3 baths2,698 sq. ft.909 Gambel Drive, Sherman, TX 75092
MLS# 21247883Listed by: DHS REALTY - New
$219,999Active3 beds 2 baths1,411 sq. ft.3813 Ontario Way, Sherman, TX 75090
MLS# 21249249Listed by: TURNER MANGUM,LLC - New
$234,899Active3 beds 2 baths1,402 sq. ft.3911 Ontario Way, Sherman, TX 75090
MLS# 21249255Listed by: TURNER MANGUM,LLC