2615 Graystone Drive, Sherman, TX 75090
Local realty services provided by:Better Homes and Gardens Real Estate Edwards & Associates
Listed by: jordan cortez
Office: vanguard real estsate advisors
MLS#:21127015
Source:GDAR
Price summary
- Price:$1,600,000
About this home
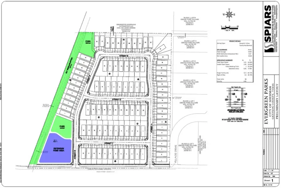
Vanguard Real Estate Advisors (“VREA”) has been exclusively retained by Ownership to present qualified builders and developers with the opportunity to purchase 96 engineered 40-foot paper lots (19.95+- acres) located at 2615 Graystone Drive in Sherman, TX (“the Site”). The Site is centrally located within the Sherman-Denison MSA, less than 1.5 miles east of US Highway 75, less than a 10-minute drive to downtown Sherman, and less than 8 miles north of both the new GlobiTech and Texas Instruments facilities. This represents a great opportunity to acquire a fully engineered single family lot opportunity at a recently reduced price of $16,666 per paper lot, down from $18,500.
Contact an agent
Home facts
- Listing ID #:21127015
- Added:160 day(s) ago
- Updated:May 15, 2026 at 11:55 AM
Structure and exterior
- Lot area:19.95 Acres
- Lot Features:Acreage
Schools
- High school:Sherman
- Middle school:Sherman
- Elementary school:Crutchfield
Finances and disclosures
- Price:$1,600,000
New listings near 2615 Graystone Drive
- New
$425,000Active5 beds 3 baths2,963 sq. ft.1814 Oak Creek Drive, Sherman, TX 75092
MLS# 21268015Listed by: PARAGON, REALTORS - New
$186,000Active3 beds 1 baths1,024 sq. ft.2028 E Jones Street, Sherman, TX 75090
MLS# 21270582Listed by: C-21 DEAN GILBERT, REALTORS - New
$215,000Active3 beds 2 baths1,446 sq. ft.401 E Kansas, Sherman, TX 75090
MLS# 21270275Listed by: WILLIAMS REALTY AND AUCTION LLC - Open Sat, 12 to 2pmNew
$315,000Active4 beds 3 baths2,160 sq. ft.612 N Frisco Road, Sherman, TX 75090
MLS# 21259464Listed by: COLDWELL BANKER APEX, REALTORS - New
$249,999Active4 beds 2 baths1,648 sq. ft.1712 Timberline Lane, Sherman, TX 75092
MLS# 21269066Listed by: MKT REALTY CO - New
$210,000Active3 beds 2 baths1,691 sq. ft.2009 Oak Creek Drive, Sherman, TX 75092
MLS# 21269579Listed by: EBBY HALLIDAY REALTORS - New
$179,500Active2 beds 1 baths1,238 sq. ft.303 E Brockett Street, Sherman, TX 75090
MLS# 21268761Listed by: HBL, REALTORS - Open Sun, 1 to 4pmNew
$348,000Active3 beds 2 baths1,848 sq. ft.1109 Beach Boulevard, Sherman, TX 75090
MLS# 21269798Listed by: EXIT JRAGZ REALTY ELITE - New
$50,000Active1 beds 1 baths420 sq. ft.1407 E Wells Avenue, Sherman, TX 75090
MLS# 21265733Listed by: REAL BROKER, LLC - New
$1,235,000Active13.15 AcresTBD Pleasant Home Road, Sherman, TX 75092
MLS# 21259659Listed by: CRAWFORD AND COMPANY, REALTORS