24802 Marks Road, Splendora, TX 77372

Local realty services provided by:Better Homes and Gardens Real Estate Hometown
24802 Marks Road,Splendora, TX 77372
$79,900
  • 0.75 Acres
  • Lots / Land
  • Active
Listed by: patrick ma
Office: nb elite realty844-444-6237
MLS#:39704657
Source:HARMLS

Price summary

  • Price:$79,900

About this home

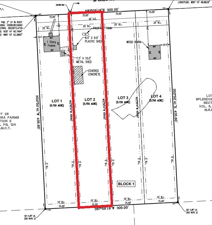
0.751-acre lot with approximately 75 feet of frontage and about 435 feet of depth. Mostly level with a mix of open space and mature trees. Features a 40' x 20' concrete slab with covered barn-style structure and a detached storage shed. Public water available. Rectangular shape with flexible use. No known restrictions. Suitable for mobile home or site-built home. Plenty of space for work trucks, trailers, equipment, or outdoor projects. Potential for animals or small livestock (buyer to verify). Ideal for those seeking freedom from HOA rules with room to live and work. Enjoy a quiet country setting while staying conveniently located approx. 6 minutes to downtown Splendora, 12 minutes to Hwy 99, and 45 minutes to downtown Houston. Pending final plat approval expected this month. Lots next to it also available.

Contact an agent

contact an agent

Yes, I would like more information. Please use and/or share my information with a BHGRE®  affiliated agent to contact me about my real estate needs. By clicking Send message, I request to be contacted by phone or text message and consent to being contacted by automated means. I understand that my consent to receive calls or texts is not a condition of purchasing any property, goods, or services. Alternatively, I understand that I can access real estate services by email or I can contact the agent myself.

If a BHGRE®  affiliated agent is not available in the area where I need assistance, I agree to be contacted by a real estate agent affiliated with another brand owned or licensed by Anywhere Real Estate (CENTURY 21® , Coldwell Banker® , Corcoran® , ERA® , Sotheby's International Realty® ).
 I acknowledge that I have read and agree to theTerms of useandPrivacy notice

Home facts

  • Listing ID #:39704657
  • Updated:May 17, 2026 at 11:54 AM

Structure and exterior

  • Lot area:0.75 Acres
  • Lot Features:Subdivision
  • Architectural Style:PatioHome

Schools

  • High school:SPLENDORA HIGH SCHOOL
  • Middle school:SPLENDORA JUNIOR HIGH
  • Elementary school:PINEY WOODS ELEMENTARY SCHOOL

Utilities

  • Sewer:Septic Tank

Finances and disclosures

  • Price:$79,900
  • Tax amount:$1,718 (2025)
Copyright 2026, Houston Realtors Information Service, Inc. All information provided is deemed reliable but is not guaranteed and should be independently verified. IDX information is provided exclusively for consumers' personal, non-commercial use, it may not be used for any purpose other than to identify prospective properties consumers may be interested in purchasing, and the data is deemed reliable but is not guaranteed accurate by the MLS.