48.86 Acres Us-69, Trenton, TX 75491
Local realty services provided by:Better Homes and Gardens Real Estate Rhodes Realty
Listed by: james tan469-467-7755
Office: keller williams central
MLS#:21115489
Source:GDAR
Price summary
- Price:$2,343,000
About this home
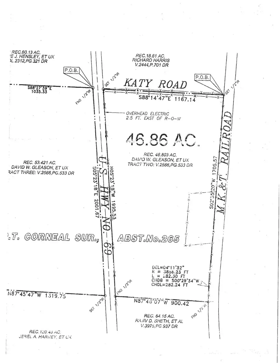
46.86 Acres on the southeast corner of US 69 and Katy Rd. 2 road frontages. Approximately 1,995 linear feet on US 69 highway frontage and 1,167 linear feet of Katy Rd frontage. The parcels just south of this property are in Whitewright. Great piece of land. Currently in Agriculture status. Opportunity to buy and hold for future potential commercial development use. According to the MLS, the property is NOT located in a floodplain. It is in zone X. There are 2 Property ID numbers for this property: 265707 (3.7 Acres) and 265708 (43.16 Acres). Please note property descriptions as follows: G-0265 CORNEAL P T A-G0265, ACRES 43.16 and G-0265 CORNEAL P T A-G0265, ACRES 3.7. All information contained in the MLS is deemed reliable, but not guaranteed. Please perform your due diligence.
Contact an agent
Home facts
- Listing ID #:21115489
- Added:1 day(s) ago
- Updated:November 20, 2025 at 01:53 PM
Structure and exterior
- Lot area:46.86 Acres
Schools
- High school:Bells
- Elementary school:Bells
Finances and disclosures
- Price:$2,343,000
- Tax amount:$124
New listings near 48.86 Acres Us-69
- New
$89,900Active3 beds 2 baths1,248 sq. ft.3956 County Road 4640, Trenton, TX 75490
MLS# 21113338Listed by: TEXAS LIFE REAL ESTATE - New
$175,000Active4.61 AcresTBD Cr 4435, Trenton, TX 75490
MLS# 21114078Listed by: WEICHERT REALTORS/PROPERTY PARTNERS - New
$1,100,000Active3 beds 2 baths1,843 sq. ft.823 Saunders, Trenton, TX 75490
MLS# 21107416Listed by: FATHOM REALTY LLC - New
$465,000Active3 beds 2 baths1,683 sq. ft.220 Delatorre Street, Trenton, TX 75490
MLS# 21109199Listed by: KELLER WILLIAMS FRISCO STARS
$550,000Active3 beds 2 baths1,843 sq. ft.823 W Saunders Street, Trenton, TX 75490
MLS# 21103687Listed by: FATHOM REALTY LLC
$550,000Active3 beds 2 baths2,328 sq. ft.651 County Road 4900, Trenton, TX 75490
MLS# 21106864Listed by: FATHOM REALTY LLC
$239,000Active3 beds 2 baths1,332 sq. ft.503 S Pearl Street, Trenton, TX 75490
MLS# 21105288Listed by: ONWARDTX REAL ESTATE ADVISORS
$1,400,000Active54.76 AcresTBD 54.757 AC County Road 4642, Trenton, TX 75490
MLS# 21101926Listed by: KELLER WILLIAMS PROSPER CELINA
$499,000Active4 beds 3 baths2,800 sq. ft.4300 County Road 4640, Trenton, TX 75490
MLS# 21100006Listed by: TEXAN TEAM