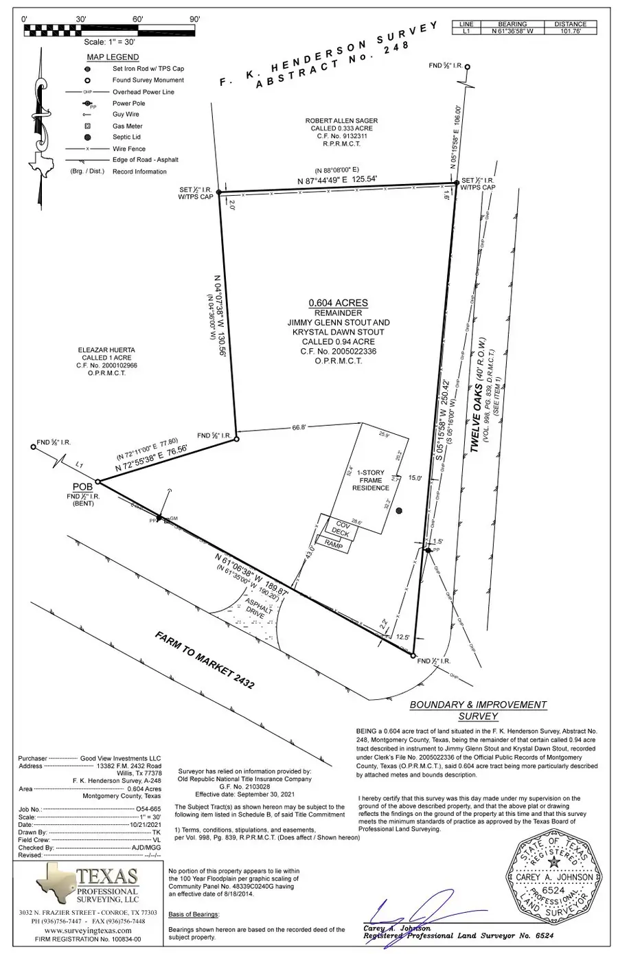
13382 Fm 2432 Road, Willis, TX 77378

Local realty services provided by:Better Homes and Gardens Real Estate Gary Greene
13382 Fm 2432 Road,Willis, TX 77378
$600,000
  • 1.56 Acres
  • Lots / Land
  • Active
Listed by: robert graham
Office: arrowstar realty936-672-2472
MLS#:78077882
Source:HARMLS

Price summary

  • Price:$600,000

About this home

Prime opportunity with this unrestricted 1.56-acre hard corner property located at FM 2432 & Twelve Oaks in Willis, TX! Positioned in a highly visible and accessible location, this tract offers excellent potential for commercial or residential use. Conveniently situated just 1 mile from Highway 75 and Downtown Willis, and only 2.1 miles from I-45, providing quick access to major routes, shopping, dining, and local amenities. The property consists of two lots (13382 & 13420 FM 2432). Existing structures on-site are given no value—this is a land value opportunity, ready for your vision and development. Don’t miss this versatile property in a rapidly growing area!

Contact an agent

contact an agent

Yes, I would like more information. Please use and/or share my information with a BHGRE®  affiliated agent to contact me about my real estate needs. By clicking Send message, I request to be contacted by phone or text message and consent to being contacted by automated means. I understand that my consent to receive calls or texts is not a condition of purchasing any property, goods, or services. Alternatively, I understand that I can access real estate services by email or I can contact the agent myself.

If a BHGRE®  affiliated agent is not available in the area where I need assistance, I agree to be contacted by a real estate agent affiliated with another brand owned or licensed by Anywhere Real Estate (CENTURY 21® , Coldwell Banker® , Corcoran® , ERA® , Sotheby's International Realty® ).
 I acknowledge that I have read and agree to theTerms of useandPrivacy notice

Home facts

  • Listing ID #:78077882
  • Updated:April 24, 2026 at 11:51 AM

Structure and exterior

  • Lot area:1.56 Acres
  • Lot Features:Corner Lot

Schools

  • High school:WILLIS HIGH SCHOOL
  • Middle school:ROBERT P. BRABHAM MIDDLE SCHOOL
  • Elementary school:EDWARD B. CANNAN ELEMENTARY SCHOOL

Finances and disclosures

  • Price:$600,000
  • Tax amount:$2,339 (2025)
Copyright 2026, Houston Realtors Information Service, Inc. All information provided is deemed reliable but is not guaranteed and should be independently verified. IDX information is provided exclusively for consumers' personal, non-commercial use, it may not be used for any purpose other than to identify prospective properties consumers may be interested in purchasing, and the data is deemed reliable but is not guaranteed accurate by the MLS.