15618 Cricket Creek Court, Willis, TX 77378
Local realty services provided by:Better Homes and Gardens Real Estate Hometown
15618 Cricket Creek Court,Willis, TX 77378
$295,000
- 3.01 Acres
- Lots / Land
- Active
Listed by: jennifer ryan
Office: 4 star brokerage, llc.281-475-5111
MLS#:97444844
Source:HARMLS
Price summary
- Price:$295,000
- Monthly HOA dues:$41.25
About this home
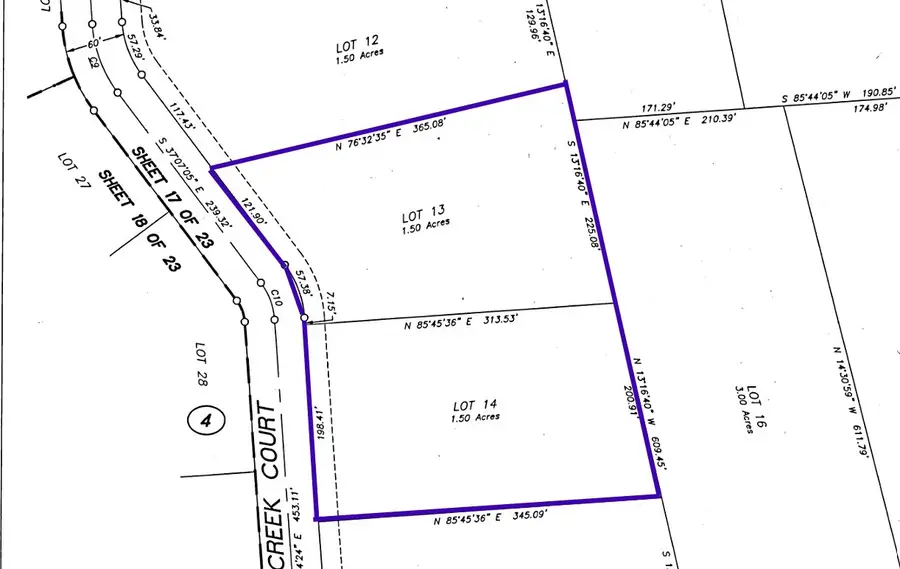
Rare opportunity to purchase two premier 1.5-acre homesites together for a combined 3.0-acre estate on a quiet, non-through street leading to a small cul-de-sac, the setting is peaceful and removed from traffic. Offering approximately 385 feet of road frontage and 365 feet of depth, this level property is framed by mature pines and provides exceptional space for a private luxury retreat. Surrounded by high-end custom homes, the setting delivers both prestige and peaceful seclusion. Build with one of the community’s Approved Custom Home Builders—respected Texas craftsmen known for bespoke design, superior quality, and timeless architecture. No two homes are alike, each reflecting your personal vision. Enjoy luxury living in the forest with privacy and connection through 65+ active community groups. Under 10 minutes from town and less than 20 minutes to Lake Conroe and The Woodlands. This homesite, and community, has everything that you are looking for and more.
Contact an agent
Home facts
- Listing ID #:97444844
- Updated:April 25, 2026 at 11:46 AM
Structure and exterior
- Lot area:3.01 Acres
- Lot Features:Level, Subdivision, Wooded
Schools
- High school:WILLIS HIGH SCHOOL
- Middle school:LYNN LUCAS MIDDLE SCHOOL
- Elementary school:EDWARD B. CANNAN ELEMENTARY SCHOOL
Finances and disclosures
- Price:$295,000
- Tax amount:$2,087 (2025)
New listings near 15618 Cricket Creek Court
- New
$415,000Active3 beds 2 baths1,928 sq. ft.11755 Oakwood Ranch Drive, Willis, TX 77378
MLS# 18555681Listed by: CONNECT REALTY.COM - New
$1,130,000Active4 beds 7 baths5,503 sq. ft.10887 Decatur Street, Willis, TX 77318
MLS# 44466246Listed by: TOP GUNS REALTY ON LAKE CONROE - New
Listed by BHGRE$175,000Active2.25 Acres10693 Ruger Road, Willis, TX 77378
MLS# 70555605Listed by: BETTER HOMES AND GARDENS REAL ESTATE GARY GREENE - THE WOODLANDS - New
$350,000Active4 beds 3 baths1,788 sq. ft.12295 Pegasus Drive, Willis, TX 77318
MLS# 71951042Listed by: 1ST CLASS REAL ESTATE ELEVATE - New
Listed by BHGRE$128,990Active3 beds 2 baths1,216 sq. ft.13214 Captain Circle, Willis, TX 77318
MLS# 9159560Listed by: BETTER HOMES AND GARDENS REAL ESTATE GARY GREENE - LAKE CONROE NORTH - New
$949,000Active3 beds 5 baths3,498 sq. ft.12590 St Peter Ct, Willis, TX 77318
MLS# 2140359Listed by: NB REGAL REAL ESTATE, LLC - New
$95,000Active1 Acres323 Iron Horse Road, Willis, TX 77358
MLS# 30317449Listed by: KELLER WILLIAMS REALTY NORTHEAST - New
$385,000Active3 beds 2 baths1,412 sq. ft.12889 Point Drive, Willis, TX 77318
MLS# 36014783Listed by: 5TH STREAM REALTY - New
$256,080Active3 beds 3 baths1,908 sq. ft.2527 Eden Ridge Way, Willis, TX 77378
MLS# 93333223Listed by: KB HOME HOUSTON - New
$250,000Active2.5 Acres15693 Wooded Trail Way, Willis, TX 77378
MLS# 49126715Listed by: REALTY ONE GROUP ICONIC